
Nunspeterweg 120-d is gelegen in de plaats Vierhouten, de gemeente Nunspeet en de provincie Gelderland. De oppervlakte van het object bedraagt 28 m². Dat is klein vergeleken met het Nederlandse gemiddelde. Het perceel waarop het adres ligt is 7,9 ha groot. De oppervlakte van het adres is klein vergeleken met de andere objecten in de straat. De oppervlakte van het kleinste object in de straat bedraagt 22 m², terwijl het grootste object 3129 m² groot is. Nunspeterweg 120-d ligt in een gebouw uit het jaar 2018. Daarmee behoort het tot de groep panden van na 1984, die we als relatief nieuw bestempelen. Veel andere gebouwen in de straat zijn ouder dan dit pand. Het oudste pand komt uit het jaar 1843 en het nieuwste uit 2026. Het verblijfsobject heeft de volgende gebruiksdoelen: 'gezondheidszorgfunctie'.
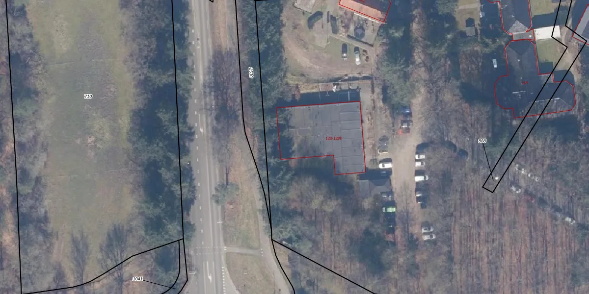
Het adres is gelegen op perceel 889 in de sectie C en de kadastrale gemeente Nunspeet. De kadastrale aanduiding is aldus NST01-C-889. De gemiddelde perceeloppervlakte in de kadastrale gemeente Nunspeet is 7195,08 m². Dit perceel is met zijn 7,9 ha dus groter dan gemiddeld. Het grootste perceel in de kadastrale gemeente is 1,70 km². Het kleinste perceel heeft een oppervlakte van 0 m². Op het perceel zijn 38 adressen aanwezig. De laatste wijziging in het de Basisregistratie Kadaster (BRK) was op 03-01-2025.
Er is geen energielabel geregistreerd voor het adres. Het hoogste energielabel in de straat is A+++++; het laagste is G. Het gemiddelde energielabel is er A+. Het adres Nunspeterweg 120-d heeft als status: 'verblijfsobject in gebruik'. Het pand waarin dit adres ligt heeft als status: 'pand in gebruik'.
Nunspeterweg 120-d is een adres gelegen in de gemeente Nunspeet, provincie Gelderland. Dit adres is geregistreerd in de Basisregistratie Adressen en Gebouwen (BAG) met als unieke identificatie 0302010000053322.
Het pand op Nunspeterweg 120-d is gebouwd in 2018, wat betekent dat het 8 jaar oud is. Dit is een vrij nieuw pand. Het pand is dus waarschijnlijk goed geïsoleerd, geluidsdicht en voldoet aan de huidige bouwstandaarden. Op korte termijn zijn er waarschijnlijk weinig onderhoudskosten.
De woning op Nunspeterweg 120-d heeft een gebruiksoppervlakte van 28 m². Dit is relatief klein vergeleken met de gemiddelde Nederlandse woning, die een oppervlakte heeft van ongeveer 119 m². De gebruiksoppervlakte is de maat die wordt gebruikt in de BAG-registratie, de landelijke registratie van de Nederlandse overheid.
Nunspeterweg 120-d heeft als functie: gezondheidszorg. Deze gebruiksfunctie(s) zijn vastgelegd in de BAG-registratie en geven aan waarvoor het adres officieel mag worden gebruikt.
Nunspeterweg 120-d is gelegen op kadastraal perceel NST01C889. Deze kadastrale aanduiding is uniek en wordt gebruikt door het Kadaster om eigendomsrechten en andere zakelijke rechten vast te leggen. Het perceel maakt onderdeel uit van de kadastrale gemeente Nunspeet.
Het perceel waarop Nunspeterweg 120-d staat heeft een oppervlakte van 7,9 ha. Dit is een zeer groot perceel. De perceeloppervlakte wordt geregistreerd door het Kadaster. Gedetailleerde informatie over de maten van dit perceel kunt u vinden in het rapport Kadastrale kaart met maatvoering van Nunspeterweg 120-d.
De eigenaar van Nunspeterweg 120-d is op te vragen op deze pagina.
De informatie over dit adres is afkomstig uit officiële overheidsregistraties, voornamelijk de Basisregistratie Adressen en Gebouwen (BAG) en de Basisregistratie Kadaster (BRK). Deze gegevens worden beheerd door respectievelijk gemeenten en het Kadaster, en worden regelmatig bijgewerkt. Energielabelgegevens komen uit de database van de Rijksdienst voor Ondernemend Nederland (RVO).
