
Plaggeweg 32 is gelegen in de plaats Vierhouten, de gemeente Nunspeet en de provincie Gelderland. De oppervlakte van het object bedraagt 47 m². Dat is klein vergeleken met het Nederlandse gemiddelde. Het perceel waarop het adres ligt is 1060 m² groot. Het object is klein ten opzichte van de andere adressen in de straat. Het grootste verblijfsobject is 699 m² groot en het kleinste is 6 m². Het adres Plaggeweg 32 ligt in een relatief oud pand uit het jaar 1819. Panden van vóór het jaar 1965 hebben we hier geclassificeerd als oud. Dit is het oudste object in de straat. Het nieuwste pand komt uit 2023 en het gemiddelde bouwjaar in de straat is 1992. Het verblijfsobject heeft de volgende gebruiksdoelen: 'woonfunctie'.
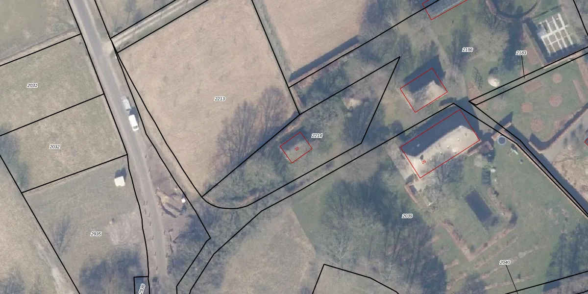
Het perceel waarop het adres ligt is NST01-E-2214. De afkorting 'NST01' staat voor kadastrale gemeente Nunspeet. Het perceel is kleiner dan gemiddeld in Nunspeet. Het perceel is 1060 m² groot, terwijl het gemiddelde ligt op 7212,31 m². De grootste perceeloppervlakte in de kadastrale gemeente is 1,70 km². De kleinste oppervlakte bedraagt 0 m². Er zijn geen andere adressen aanwezig op het perceel. De laatste wijziging in het de Basisregistratie Kadaster (BRK) was op 08-03-2000.
Er is geen energielabel geregistreerd voor het adres. Het hoogste energielabel in de straat is A; het laagste is G. Het gemiddelde energielabel is er C. Het adres Plaggeweg 32 heeft als status: 'verblijfsobject in gebruik'. Het pand waarin dit adres ligt heeft als status: 'pand in gebruik'.
Plaggeweg 32 is een adres gelegen in de gemeente Nunspeet, provincie Gelderland. Dit adres is geregistreerd in de Basisregistratie Adressen en Gebouwen (BAG) met als unieke identificatie 0302010000006111.
Het pand op Plaggeweg 32 is gebouwd in 1819, wat betekent dat het 207 jaar oud is. Dit is een ouder pand. Het pand heeft mogelijk aanzienlijke renovaties nodig om aan de huidige standaarden te voldoen.
De woning op Plaggeweg 32 heeft een gebruiksoppervlakte van 47 m². Dit is relatief klein vergeleken met de gemiddelde Nederlandse woning, die een oppervlakte heeft van ongeveer 119 m². De gebruiksoppervlakte is de maat die wordt gebruikt in de BAG-registratie, de landelijke registratie van de Nederlandse overheid.
Plaggeweg 32 heeft als functie: wonen. Deze gebruiksfunctie(s) zijn vastgelegd in de BAG-registratie en geven aan waarvoor het adres officieel mag worden gebruikt.
Plaggeweg 32 is gelegen op kadastraal perceel NST01E2214. Deze kadastrale aanduiding is uniek en wordt gebruikt door het Kadaster om eigendomsrechten en andere zakelijke rechten vast te leggen. Het perceel maakt onderdeel uit van de kadastrale gemeente Nunspeet.
Het perceel waarop Plaggeweg 32 staat heeft een oppervlakte van 1060 m². Dit is een zeer groot perceel. De perceeloppervlakte wordt geregistreerd door het Kadaster. Gedetailleerde informatie over de maten van dit perceel kunt u vinden in het rapport Kadastrale kaart met maatvoering van Plaggeweg 32.
De eigenaar van Plaggeweg 32 is op te vragen op deze pagina.
De informatie over dit adres is afkomstig uit officiële overheidsregistraties, voornamelijk de Basisregistratie Adressen en Gebouwen (BAG) en de Basisregistratie Kadaster (BRK). Deze gegevens worden beheerd door respectievelijk gemeenten en het Kadaster, en worden regelmatig bijgewerkt. Energielabelgegevens komen uit de database van de Rijksdienst voor Ondernemend Nederland (RVO).
