
Overloonseweg 11-c is een adres in Vierlingsbeek, dat zich bevindt binnen de gemeentegrenzen van Vierlingsbeek en de grenzen van de provincie Noord-Brabant. Het object heeft een oppervlakte van 2821 m², wat relatief groot is. Het perceel waarop het adres ligt is 1,7 ha groot. Dit is het adres met de grootste oppervlakte van alle adressen in de straat. Gemiddeld hebben de objecten in de straat een oppervlakte van 429 m². De kleinste oppervlakte is er 97 m². De meeste Nederlandse gebouwen zijn gebouwd in de periode 1965-1984. Zo ook het pand waarin Overloonseweg 11-c ligt, dat gebouwd is in 1983. Vergeleken met de andere panden in de straat is dit gebouw nieuw. Het vroegste bouwjaar is er 1902 en het laatste is 2009. Het verblijfsobject heeft de volgende gebruiksdoelen: 'industriefunctie'.
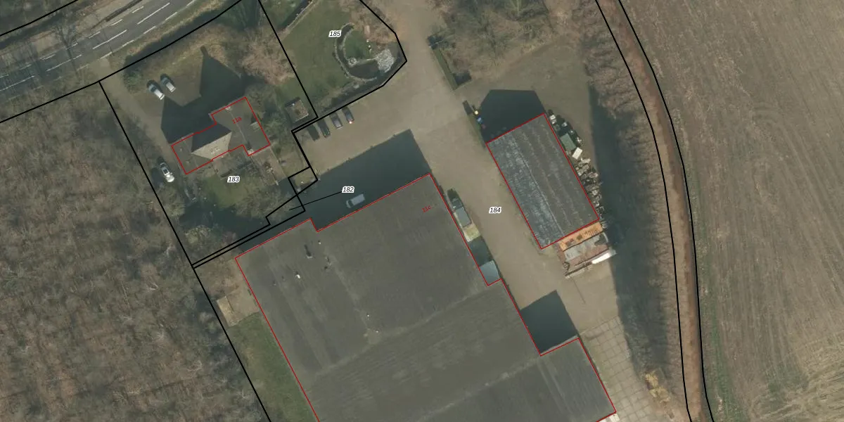
Het adres ligt op het perceel VLB00-P-184, dat zich in de kadastrale gemeente Vierlingsbeek bevindt. De gemiddelde perceeloppervlakte in de kadastrale gemeente Vierlingsbeek is 7833,61 m². Dit perceel is met zijn 1,7 ha dus groter dan gemiddeld. De grootste perceeloppervlakte in de kadastrale gemeente is 1,01 km². De kleinste oppervlakte bedraagt 0 m². Dit is het enige adres dat aanwezig is op het perceel. De huidige grenzen van het perceel zijn digitaal in de Basisregistratie Kadaster (BRK) geregistreerd op 06-01-2009.
Er is geen energielabel geregistreerd voor het adres. Het hoogste energielabel in de straat is A; het laagste is G. Het gemiddelde energielabel is er D. Het adres Overloonseweg 11-c heeft als status: 'verblijfsobject in gebruik'. Het pand waarin dit adres ligt heeft als status: 'pand in gebruik'.
Overloonseweg 11-c is een adres gelegen in de gemeente Land van Cuijk, provincie Noord-Brabant. Dit adres is geregistreerd in de Basisregistratie Adressen en Gebouwen (BAG) met als unieke identificatie 0756010000007162.
Het pand op Overloonseweg 11-c is gebouwd in 1983, wat betekent dat het 43 jaar oud is. Dit is een pand van middelbare leeftijd. Het pand is van gemiddelde leeftijd en zal waarschijnlijk verouderde elementen bevatten.
De woning op Overloonseweg 11-c heeft een gebruiksoppervlakte van 2821 m². Dit is ruim vergeleken met de gemiddelde Nederlandse woning, die een oppervlakte heeft van ongeveer 119 m². De gebruiksoppervlakte is de maat die wordt gebruikt in de BAG-registratie, de landelijke registratie van de Nederlandse overheid.
Overloonseweg 11-c heeft als functie: industrie. Deze gebruiksfunctie(s) zijn vastgelegd in de BAG-registratie en geven aan waarvoor het adres officieel mag worden gebruikt.
Overloonseweg 11-c is gelegen op kadastraal perceel VLB00P184. Deze kadastrale aanduiding is uniek en wordt gebruikt door het Kadaster om eigendomsrechten en andere zakelijke rechten vast te leggen. Het perceel maakt onderdeel uit van de kadastrale gemeente Vierlingsbeek.
Het perceel waarop Overloonseweg 11-c staat heeft een oppervlakte van 1,7 ha. Dit is een zeer groot perceel. De perceeloppervlakte wordt geregistreerd door het Kadaster. Gedetailleerde informatie over de maten van dit perceel kunt u vinden in het rapport Kadastrale kaart met maatvoering van Overloonseweg 11-c.
De eigenaar van Overloonseweg 11-c is op te vragen op deze pagina.
De informatie over dit adres is afkomstig uit officiële overheidsregistraties, voornamelijk de Basisregistratie Adressen en Gebouwen (BAG) en de Basisregistratie Kadaster (BRK). Deze gegevens worden beheerd door respectievelijk gemeenten en het Kadaster, en worden regelmatig bijgewerkt. Energielabelgegevens komen uit de database van de Rijksdienst voor Ondernemend Nederland (RVO).
