
Waverveense pad 15-A-7 is gelegen in de plaats Vinkeveen, de gemeente De Ronde Venen en de provincie Utrecht. Het verblijfsobject is vergeleken met het Nederlandse gemiddelde aan de kleine kant: de oppervlakte is 30 m². Het perceel waarop het adres zich bevindt heeft een oppervlakte van 5,7 ha. Het adres is klein vergeleken met andere objecten in de straat. Het grootste object in de straat heeft een oppervlakte van 1245 m², het kleinste is 12 m² groot. De meeste Nederlandse gebouwen zijn gebouwd in de periode 1965-1984. Zo ook het pand waarin Waverveense pad 15-A-7 ligt, dat gebouwd is in 1979. Het nieuwste gebouw in de straat komt uit 2024 en het oudste uit 1911. Dit object is relatief oud. De volgende gebruiksdoelen zijn geregistreerd voor dit adres: 'logiesfunctie'.
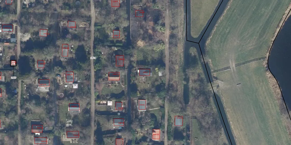
Het adres ligt op het perceel WVV00-B-2421, dat zich in de kadastrale gemeente Waverveen bevindt. De oppervlakte van het perceel is 5,7 ha. Dat is groter dan gemiddeld in Waverveen, waar de gemiddelde perceeloppervlakte op 1,5 ha ligt. De grootste perceeloppervlakte in de kadastrale gemeente is 33,7 ha. De kleinste oppervlakte bedraagt 4 m². Op het perceel liggen in totaal 100 adressen. De laatste wijziging in het de Basisregistratie Kadaster (BRK) was op 19-09-1997.
Er is geen energielabel geregistreerd voor het adres. Het hoogste energielabel in de straat is A++; het laagste is G. Het gemiddelde energielabel is er C. Het adres Waverveense pad 15-A-7 heeft als status: 'verblijfsobject in gebruik'. Het pand waarin dit adres ligt heeft als status: 'pand in gebruik'.
Waverveense pad 15-A-7 is een adres gelegen in de gemeente De Ronde Venen, provincie Utrecht. Dit adres is geregistreerd in de Basisregistratie Adressen en Gebouwen (BAG) met als unieke identificatie 0736010000013523.
Het pand op Waverveense pad 15-A-7 is gebouwd in 1979, wat betekent dat het 47 jaar oud is. Dit is een pand van middelbare leeftijd. Het pand is van gemiddelde leeftijd en zal waarschijnlijk verouderde elementen bevatten.
De woning op Waverveense pad 15-A-7 heeft een gebruiksoppervlakte van 30 m². Dit is relatief klein vergeleken met de gemiddelde Nederlandse woning, die een oppervlakte heeft van ongeveer 119 m². De gebruiksoppervlakte is de maat die wordt gebruikt in de BAG-registratie, de landelijke registratie van de Nederlandse overheid.
Waverveense pad 15-A-7 heeft als functie: logies/verblijf. Deze gebruiksfunctie(s) zijn vastgelegd in de BAG-registratie en geven aan waarvoor het adres officieel mag worden gebruikt.
Waverveense pad 15-A-7 is gelegen op kadastraal perceel WVV00B2421. Deze kadastrale aanduiding is uniek en wordt gebruikt door het Kadaster om eigendomsrechten en andere zakelijke rechten vast te leggen. Het perceel maakt onderdeel uit van de kadastrale gemeente Waverveen.
Het perceel waarop Waverveense pad 15-A-7 staat heeft een oppervlakte van 5,7 ha. Dit is een zeer groot perceel. De perceeloppervlakte wordt geregistreerd door het Kadaster. Gedetailleerde informatie over de maten van dit perceel kunt u vinden in het rapport Kadastrale kaart met maatvoering van Waverveense pad 15-A-7.
De eigenaar van Waverveense pad 15-A-7 is op te vragen op deze pagina.
De informatie over dit adres is afkomstig uit officiële overheidsregistraties, voornamelijk de Basisregistratie Adressen en Gebouwen (BAG) en de Basisregistratie Kadaster (BRK). Deze gegevens worden beheerd door respectievelijk gemeenten en het Kadaster, en worden regelmatig bijgewerkt. Energielabelgegevens komen uit de database van de Rijksdienst voor Ondernemend Nederland (RVO).
