
Dillenburgsingel 9-Z-R731 is gelegen in de plaats Vlaardingen, de gemeente Vlaardingen en de provincie Zuid-Holland. Het verblijfsobject is vergeleken met het Nederlandse gemiddelde aan de kleine kant: de oppervlakte is 69 m². Het perceel waarop het adres zich bevindt heeft een oppervlakte van 9892 m². Het object is klein ten opzichte van de andere adressen in de straat. Het grootste verblijfsobject is 4,4 ha groot en het kleinste is 15 m². De meeste Nederlandse gebouwen zijn gebouwd in de periode 1965-1984. Zo ook het pand waarin Dillenburgsingel 9-Z-R731 ligt, dat gebouwd is in 1966. Gemiddeld zijn de gebouwen in de straat gebouwd in 1969. Dit is het oudste pand in de straat. Het meest recente komt uit het jaar 2010. Voor het verblijfsobject gelden deze gebruiksdoelen: 'woonfunctie' en 'gezondheidszorgfunctie'.
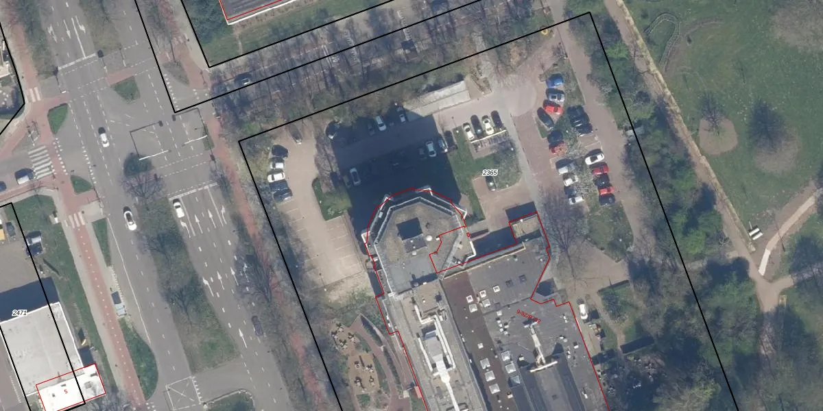
Het perceel waarop het adres ligt is VDG00-E-2365. De afkorting 'VDG00' staat voor kadastrale gemeente Vlaardingen. Het perceel is met 9892 m² relatief groot. Het gemiddelde ligt in de kadastrale gemeente Vlaardingen op 1372,52 m². De grootste perceeloppervlakte in de kadastrale gemeente is 1,02 km². De kleinste oppervlakte bedraagt 0 m². Op het perceel liggen in totaal 166 adressen. De laatste wijziging in het de Basisregistratie Kadaster (BRK) was op 05-02-1998.
Er is geen energielabel geregistreerd voor het adres. Het hoogste energielabel in de straat is B; het laagste is G. Het gemiddelde energielabel is er C. Het adres Dillenburgsingel 9-Z-R731 heeft als status: 'verblijfsobject in gebruik'. Het pand waarin dit adres ligt heeft als status: 'pand in gebruik'.
Dillenburgsingel 9-Z-R731 is een adres gelegen in de gemeente Vlaardingen, provincie Zuid-Holland. Dit adres is geregistreerd in de Basisregistratie Adressen en Gebouwen (BAG) met als unieke identificatie 0622010000107049.
Het pand op Dillenburgsingel 9-Z-R731 is gebouwd in 1966, wat betekent dat het 60 jaar oud is. Dit is een ouder pand. Het pand heeft mogelijk aanzienlijke renovaties nodig om aan de huidige standaarden te voldoen.
De woning op Dillenburgsingel 9-Z-R731 heeft een gebruiksoppervlakte van 69 m². Dit is relatief klein vergeleken met de gemiddelde Nederlandse woning, die een oppervlakte heeft van ongeveer 119 m². De gebruiksoppervlakte is de maat die wordt gebruikt in de BAG-registratie, de landelijke registratie van de Nederlandse overheid.
Dillenburgsingel 9-Z-R731 heeft als functie: wonen en gezondheidszorg. Deze gebruiksfunctie(s) zijn vastgelegd in de BAG-registratie en geven aan waarvoor het adres officieel mag worden gebruikt.
Dillenburgsingel 9-Z-R731 is gelegen op kadastraal perceel VDG00E2365. Deze kadastrale aanduiding is uniek en wordt gebruikt door het Kadaster om eigendomsrechten en andere zakelijke rechten vast te leggen. Het perceel maakt onderdeel uit van de kadastrale gemeente Vlaardingen.
Het perceel waarop Dillenburgsingel 9-Z-R731 staat heeft een oppervlakte van 9892 m². Dit is een zeer groot perceel. De perceeloppervlakte wordt geregistreerd door het Kadaster. Gedetailleerde informatie over de maten van dit perceel kunt u vinden in het rapport Kadastrale kaart met maatvoering van Dillenburgsingel 9-Z-R731.
De eigenaar van Dillenburgsingel 9-Z-R731 is op te vragen op deze pagina.
De informatie over dit adres is afkomstig uit officiële overheidsregistraties, voornamelijk de Basisregistratie Adressen en Gebouwen (BAG) en de Basisregistratie Kadaster (BRK). Deze gegevens worden beheerd door respectievelijk gemeenten en het Kadaster, en worden regelmatig bijgewerkt. Energielabelgegevens komen uit de database van de Rijksdienst voor Ondernemend Nederland (RVO).
