
Marathonweg 73-C is een adres in Vlaardingen, dat zich bevindt binnen de gemeentegrenzen van Vlaardingen en de grenzen van de provincie Zuid-Holland. De oppervlakte van het object bedraagt 38 m². Dat is klein vergeleken met het Nederlandse gemiddelde. Het perceel waarop het adres ligt is 345 m² groot. In de straat is dit het kleinste object. Het grootste verblijfsobject heeft een oppervlakte van 674 m². De gemiddelde grootte is er 136 m². Marathonweg 73-C ligt in een gebouw uit het jaar 1990. Daarmee behoort het tot de groep panden van na 1984, die we als relatief nieuw bestempelen. In de straat is dit het nieuwste pand en stamt het oudste object uit het jaar 1968. Het gemiddelde bouwjaar in de straat is 1985. Voor het verblijfsobject gelden deze gebruiksdoelen: 'overige gebruiksfunctie'.
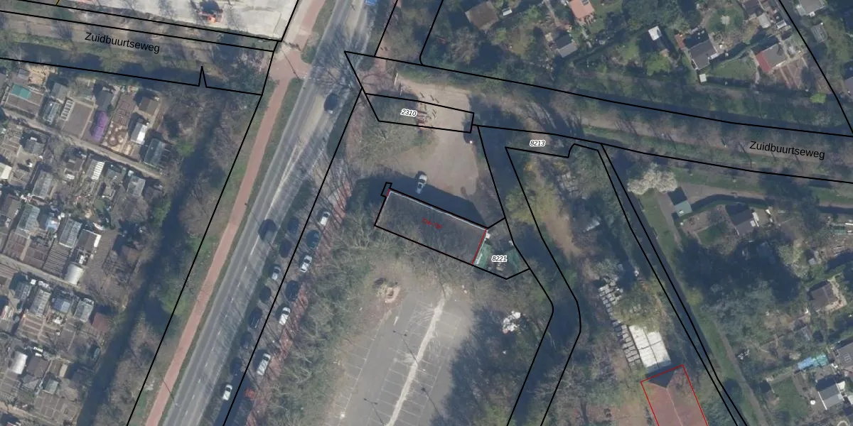
Het perceel waarop het adres ligt is VDG00-D-8221. De afkorting 'VDG00' staat voor kadastrale gemeente Vlaardingen. De gemiddelde perceelgrootte in Vlaardingen is 1372,52 m². Dit perceel is kleiner: de perceeloppervlakte bedraagt 345 m². Het grootste perceel in de kadastrale gemeente is 1,02 km². Het kleinste perceel heeft een oppervlakte van 0 m². Op het perceel zijn 6 adressen aanwezig. De huidige grenzen van het perceel zijn digitaal in de Basisregistratie Kadaster (BRK) geregistreerd op 17-07-2014.
Er is geen energielabel geregistreerd voor het adres. Het hoogste energielabel in de straat is G; het laagste is G. Het gemiddelde energielabel is er G. Het adres Marathonweg 73-C heeft als status: 'verblijfsobject in gebruik'. Het pand waarin dit adres ligt heeft als status: 'pand in gebruik'.
Marathonweg 73-C is een adres gelegen in de gemeente Vlaardingen, provincie Zuid-Holland. Dit adres is geregistreerd in de Basisregistratie Adressen en Gebouwen (BAG) met als unieke identificatie 0622010000106866.
Het pand op Marathonweg 73-C is gebouwd in 1990, wat betekent dat het 36 jaar oud is. Dit is een pand van middelbare leeftijd. Het pand is van gemiddelde leeftijd en zal waarschijnlijk verouderde elementen bevatten.
De woning op Marathonweg 73-C heeft een gebruiksoppervlakte van 38 m². Dit is relatief klein vergeleken met de gemiddelde Nederlandse woning, die een oppervlakte heeft van ongeveer 119 m². De gebruiksoppervlakte is de maat die wordt gebruikt in de BAG-registratie, de landelijke registratie van de Nederlandse overheid.
Marathonweg 73-C heeft als functie: overige doeleinden. Deze gebruiksfunctie(s) zijn vastgelegd in de BAG-registratie en geven aan waarvoor het adres officieel mag worden gebruikt.
Marathonweg 73-C is gelegen op kadastraal perceel VDG00D8221. Deze kadastrale aanduiding is uniek en wordt gebruikt door het Kadaster om eigendomsrechten en andere zakelijke rechten vast te leggen. Het perceel maakt onderdeel uit van de kadastrale gemeente Vlaardingen.
Het perceel waarop Marathonweg 73-C staat heeft een oppervlakte van 345 m². Dit is een groot perceel. De perceeloppervlakte wordt geregistreerd door het Kadaster. Gedetailleerde informatie over de maten van dit perceel kunt u vinden in het rapport Kadastrale kaart met maatvoering van Marathonweg 73-C.
De eigenaar van Marathonweg 73-C is op te vragen op deze pagina.
De informatie over dit adres is afkomstig uit officiële overheidsregistraties, voornamelijk de Basisregistratie Adressen en Gebouwen (BAG) en de Basisregistratie Kadaster (BRK). Deze gegevens worden beheerd door respectievelijk gemeenten en het Kadaster, en worden regelmatig bijgewerkt. Energielabelgegevens komen uit de database van de Rijksdienst voor Ondernemend Nederland (RVO).
