
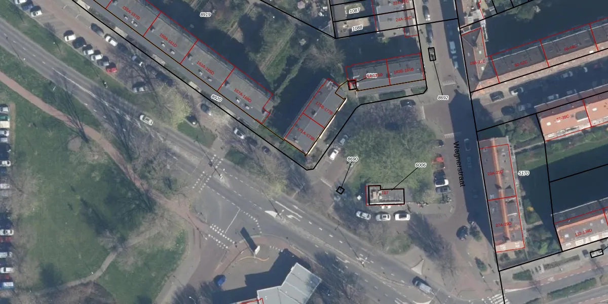
van Beethovensingel 171-A is gelegen in de plaats Vlaardingen, de gemeente Vlaardingen en de provincie Zuid-Holland. Het verblijfsobject is vergeleken met het Nederlandse gemiddelde aan de kleine kant: de oppervlakte is 64 m². Het perceel waarop het adres zich bevindt heeft een oppervlakte van 4284 m². Het adres is klein vergeleken met andere objecten in de straat. Het grootste object in de straat heeft een oppervlakte van 2692 m², het kleinste is 5 m² groot. van Beethovensingel 171-A bevindt zich in een pand uit het jaar 1954. Daarmee behoort het tot de groep relatief oude panden in Nederland die gebouwd zijn vóór 1965. Het nieuwste gebouw in de straat komt uit 2024 en het oudste uit 1939. Dit object is relatief oud. Voor het verblijfsobject gelden deze gebruiksdoelen: 'woonfunctie'.
Het adres ligt op het perceel VDG00-D-8919, dat zich in de kadastrale gemeente Vlaardingen bevindt. Het perceel is met 4284 m² relatief groot. Het gemiddelde ligt in de kadastrale gemeente Vlaardingen op 1372,24 m². Het grootste perceel in de kadastrale gemeente is 1,02 km². Het kleinste perceel heeft een oppervlakte van 0 m². Op het perceel liggen in totaal 68 adressen. De laatste wijziging in het de Basisregistratie Kadaster (BRK) was op 31-10-2019.
Het adres ligt in een gebouw van het type 'appartement met het subtype hoekvloer'. Bij de laatste meting is voor het adres het energielabel D geregistreerd. Het hoogste energielabel in de straat is A++; het laagste is G. Het gemiddelde energielabel is er C. Het adres van Beethovensingel 171-A heeft als status: 'verblijfsobject in gebruik'. Het pand waarin dit adres ligt heeft als status: 'pand in gebruik'.
van Beethovensingel 171-A is een adres gelegen in de gemeente Vlaardingen, provincie Zuid-Holland. Dit adres is geregistreerd in de Basisregistratie Adressen en Gebouwen (BAG) met als unieke identificatie 0622010000067622.
Het pand op van Beethovensingel 171-A is gebouwd in 1954, wat betekent dat het 72 jaar oud is. Dit is een ouder pand. Het pand heeft mogelijk aanzienlijke renovaties nodig om aan de huidige standaarden te voldoen.
De woning op van Beethovensingel 171-A heeft een gebruiksoppervlakte van 64 m². Dit is relatief klein vergeleken met de gemiddelde Nederlandse woning, die een oppervlakte heeft van ongeveer 119 m². De gebruiksoppervlakte is de maat die wordt gebruikt in de BAG-registratie, de landelijke registratie van de Nederlandse overheid.
van Beethovensingel 171-A heeft als functie: wonen. Deze gebruiksfunctie(s) zijn vastgelegd in de BAG-registratie en geven aan waarvoor het adres officieel mag worden gebruikt.
van Beethovensingel 171-A is gelegen op kadastraal perceel VDG00D8919. Deze kadastrale aanduiding is uniek en wordt gebruikt door het Kadaster om eigendomsrechten en andere zakelijke rechten vast te leggen. Het perceel maakt onderdeel uit van de kadastrale gemeente Vlaardingen.
Het perceel waarop van Beethovensingel 171-A staat heeft een oppervlakte van 4284 m². Dit is een zeer groot perceel. De perceeloppervlakte wordt geregistreerd door het Kadaster. Gedetailleerde informatie over de maten van dit perceel kunt u vinden in het rapport Kadastrale kaart met maatvoering van van Beethovensingel 171-A.
De eigenaar van van Beethovensingel 171-A is op te vragen op deze pagina.
De informatie over dit adres is afkomstig uit officiële overheidsregistraties, voornamelijk de Basisregistratie Adressen en Gebouwen (BAG) en de Basisregistratie Kadaster (BRK). Deze gegevens worden beheerd door respectievelijk gemeenten en het Kadaster, en worden regelmatig bijgewerkt. Energielabelgegevens komen uit de database van de Rijksdienst voor Ondernemend Nederland (RVO).
