
Het adres Sint Eustatiuslaan 18-G7 bevindt zich in de plaats Vlissingen, in de gemeente Vlissingen en de provincie Zeeland. De oppervlakte van het object bedraagt 18 m². Dat is klein vergeleken met het Nederlandse gemiddelde. Het perceel waarop het adres ligt is 2205 m² groot. Het object is klein ten opzichte van de andere adressen in de straat. Het grootste verblijfsobject is 160 m² groot en het kleinste is 17 m². De gemiddelde bouwperiode van gebouwen in Nederland ligt tussen de jaren 1965-1984. Dat geldt ook voor het bouwjaar van Sint Eustatiuslaan 18-G7: het is gebouwd in het jaar 1965. In de straat is dit het nieuwste pand en stamt het oudste object uit het jaar 1958. Het gemiddelde bouwjaar in de straat is 1962. De volgende gebruiksdoelen zijn geregistreerd voor dit adres: 'overige gebruiksfunctie'.
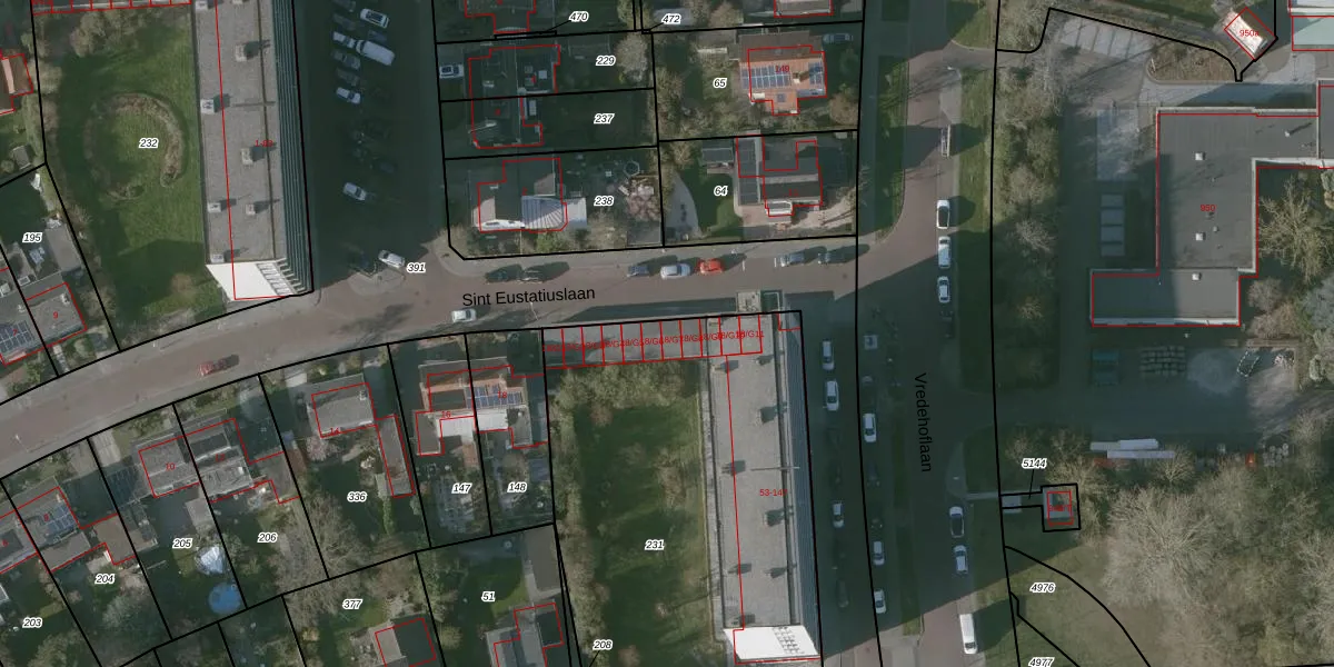
Het perceel waarop het adres ligt is VSG00-G-231. De afkorting 'VSG00' staat voor kadastrale gemeente Vlissingen. Het perceel is 2205 m² groot. Dat is kleiner dan de gemiddelde perceeloppervlakte in Vlissingen, dat op 1,7 ha ligt. Het kleinste perceel in de kadastrale gemeente is 0 m² groot. De grootste perceeloppervlakte is 75,72 km². Op het perceel zijn 64 adressen aanwezig. In de Basisregistratie Kadaster (BRK) werden de grenzen van het perceel geregistreerd op 05-03-2003.
Er is geen energielabel geregistreerd voor het adres. Het hoogste energielabel in de straat is B; het laagste is G. Het gemiddelde energielabel is er D. Het adres Sint Eustatiuslaan 18-G7 heeft als status: 'verblijfsobject in gebruik'. Het pand waarin dit adres ligt heeft als status: 'pand in gebruik'.
Sint Eustatiuslaan 18-G7 is een adres gelegen in de gemeente Vlissingen, provincie Zeeland. Dit adres is geregistreerd in de Basisregistratie Adressen en Gebouwen (BAG) met als unieke identificatie 0718010000018384.
Het pand op Sint Eustatiuslaan 18-G7 is gebouwd in 1965, wat betekent dat het 61 jaar oud is. Dit is een ouder pand. Het pand heeft mogelijk aanzienlijke renovaties nodig om aan de huidige standaarden te voldoen.
De woning op Sint Eustatiuslaan 18-G7 heeft een gebruiksoppervlakte van 18 m². Dit is relatief klein vergeleken met de gemiddelde Nederlandse woning, die een oppervlakte heeft van ongeveer 119 m². De gebruiksoppervlakte is de maat die wordt gebruikt in de BAG-registratie, de landelijke registratie van de Nederlandse overheid.
Sint Eustatiuslaan 18-G7 heeft als functie: overige doeleinden. Deze gebruiksfunctie(s) zijn vastgelegd in de BAG-registratie en geven aan waarvoor het adres officieel mag worden gebruikt.
Sint Eustatiuslaan 18-G7 is gelegen op kadastraal perceel VSG00G231. Deze kadastrale aanduiding is uniek en wordt gebruikt door het Kadaster om eigendomsrechten en andere zakelijke rechten vast te leggen. Het perceel maakt onderdeel uit van de kadastrale gemeente Vlissingen.
Het perceel waarop Sint Eustatiuslaan 18-G7 staat heeft een oppervlakte van 2205 m². Dit is een zeer groot perceel. De perceeloppervlakte wordt geregistreerd door het Kadaster. Gedetailleerde informatie over de maten van dit perceel kunt u vinden in het rapport Kadastrale kaart met maatvoering van Sint Eustatiuslaan 18-G7.
De eigenaar van Sint Eustatiuslaan 18-G7 is op te vragen op deze pagina.
De informatie over dit adres is afkomstig uit officiële overheidsregistraties, voornamelijk de Basisregistratie Adressen en Gebouwen (BAG) en de Basisregistratie Kadaster (BRK). Deze gegevens worden beheerd door respectievelijk gemeenten en het Kadaster, en worden regelmatig bijgewerkt. Energielabelgegevens komen uit de database van de Rijksdienst voor Ondernemend Nederland (RVO).
