
Het adres Hunnenweg 22-01 bevindt zich in de plaats Voorthuizen, in de gemeente Voorthuizen en de provincie Gelderland. Het perceel waarop het adres gelegen is heeft een oppervlakte van 16 m². Het verblijfsobject is met 2 m² relatief klein. Er zijn geen kleinere objecten in deze straat. De gemiddelde oppervlakte is er 343 m². Het grootste verblijfsobject is 3880 m². Hunnenweg 22-01 ligt in een gebouw uit het jaar 1987. Daarmee behoort het tot de groep panden van na 1984, die we als relatief nieuw bestempelen. Vergeleken met de andere panden in de straat is dit gebouw nieuw. Het vroegste bouwjaar is er 1900 en het laatste is 2025. De volgende gebruiksdoelen zijn geregistreerd voor dit adres: 'overige gebruiksfunctie'.
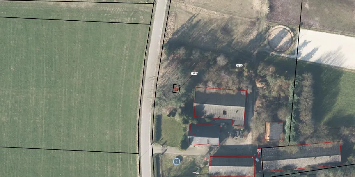
Het adres ligt op het perceel VHZ02-E-1445, dat zich in de kadastrale gemeente Voorthuizen bevindt. Het perceel is 16 m² groot. Dat is kleiner dan de gemiddelde perceeloppervlakte in Voorthuizen, dat op 3361,21 m² ligt. Het grootste perceel in de kadastrale gemeente is 61,0 ha. Het kleinste perceel heeft een oppervlakte van 0 m². Dit is het enige adres dat aanwezig is op het perceel. In de Basisregistratie Kadaster (BRK) werden de grenzen van het perceel geregistreerd op 17-08-2007.
Er is geen energielabel geregistreerd voor het adres. Het hoogste energielabel in de straat is A++++; het laagste is G. Het gemiddelde energielabel is er C. Het adres Hunnenweg 22-01 heeft als status: 'verblijfsobject in gebruik'. Het pand waarin dit adres ligt heeft als status: 'pand in gebruik'.
Hunnenweg 22-01 is een adres gelegen in de gemeente Barneveld, provincie Gelderland. Dit adres is geregistreerd in de Basisregistratie Adressen en Gebouwen (BAG) met als unieke identificatie 0203010000366017.
Het pand op Hunnenweg 22-01 is gebouwd in 1987, wat betekent dat het 39 jaar oud is. Dit is een pand van middelbare leeftijd. Het pand is van gemiddelde leeftijd en zal waarschijnlijk verouderde elementen bevatten.
De woning op Hunnenweg 22-01 heeft een gebruiksoppervlakte van 2 m². Dit is relatief klein vergeleken met de gemiddelde Nederlandse woning, die een oppervlakte heeft van ongeveer 119 m². De gebruiksoppervlakte is de maat die wordt gebruikt in de BAG-registratie, de landelijke registratie van de Nederlandse overheid.
Hunnenweg 22-01 heeft als functie: overige doeleinden. Deze gebruiksfunctie(s) zijn vastgelegd in de BAG-registratie en geven aan waarvoor het adres officieel mag worden gebruikt.
Hunnenweg 22-01 is gelegen op kadastraal perceel VHZ02E1445. Deze kadastrale aanduiding is uniek en wordt gebruikt door het Kadaster om eigendomsrechten en andere zakelijke rechten vast te leggen. Het perceel maakt onderdeel uit van de kadastrale gemeente Voorthuizen.
Het perceel waarop Hunnenweg 22-01 staat heeft een oppervlakte van 16 m². Dit is een klein perceel. De perceeloppervlakte wordt geregistreerd door het Kadaster. Gedetailleerde informatie over de maten van dit perceel kunt u vinden in het rapport Kadastrale kaart met maatvoering van Hunnenweg 22-01.
De eigenaar van Hunnenweg 22-01 is op te vragen op deze pagina.
De informatie over dit adres is afkomstig uit officiële overheidsregistraties, voornamelijk de Basisregistratie Adressen en Gebouwen (BAG) en de Basisregistratie Kadaster (BRK). Deze gegevens worden beheerd door respectievelijk gemeenten en het Kadaster, en worden regelmatig bijgewerkt. Energielabelgegevens komen uit de database van de Rijksdienst voor Ondernemend Nederland (RVO).
