
Het adres Roelenengweg 21 bevindt zich in de plaats Voorthuizen, in de gemeente Voorthuizen en de provincie Gelderland. De oppervlakte bedraagt 152 m², waarmee het adres groter dan gemiddeld is. De grootte van het perceel waarop het adres ligt is 3491 m². Het object is klein ten opzichte van de andere adressen in de straat. Het grootste verblijfsobject is 3700 m² groot en het kleinste is 60 m². Roelenengweg 21 bevindt zich in een pand uit het jaar 1930. Daarmee behoort het tot de groep relatief oude panden in Nederland die gebouwd zijn vóór 1965. Dit is het oudste object in de straat. Het nieuwste pand komt uit 2013 en het gemiddelde bouwjaar in de straat is 1973. Het verblijfsobject heeft de volgende gebruiksdoelen: 'woonfunctie'.
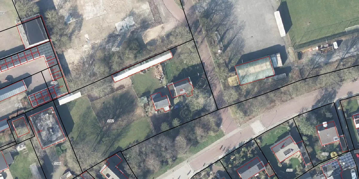
Het perceel waarop het adres ligt is VHZ02-E-1442. De afkorting 'VHZ02' staat voor kadastrale gemeente Voorthuizen. De gemiddelde perceeloppervlakte in de kadastrale gemeente Voorthuizen is 3366,08 m². Dit perceel is met zijn 3491 m² dus groter dan gemiddeld. Het grootste perceel in de kadastrale gemeente is 61,0 ha. Het kleinste perceel heeft een oppervlakte van 0 m². Er zijn geen andere adressen aanwezig op het perceel. In de Basisregistratie Kadaster (BRK) werden de grenzen van het perceel geregistreerd op 01-11-2007.
Er is geen energielabel geregistreerd voor het adres. Het hoogste energielabel in de straat is A++++; het laagste is G. Het gemiddelde energielabel is er C. Het adres Roelenengweg 21 heeft als status: 'verblijfsobject in gebruik'. Het pand waarin dit adres ligt heeft als status: 'pand in gebruik'.
Roelenengweg 21 is een adres gelegen in de gemeente Barneveld, provincie Gelderland. Dit adres is geregistreerd in de Basisregistratie Adressen en Gebouwen (BAG) met als unieke identificatie 0203010000373689.
Het pand op Roelenengweg 21 is gebouwd in 1930, wat betekent dat het 96 jaar oud is. Dit is een ouder pand. Het pand heeft mogelijk aanzienlijke renovaties nodig om aan de huidige standaarden te voldoen.
De woning op Roelenengweg 21 heeft een gebruiksoppervlakte van 152 m². Dit is ruim vergeleken met de gemiddelde Nederlandse woning, die een oppervlakte heeft van ongeveer 119 m². De gebruiksoppervlakte is de maat die wordt gebruikt in de BAG-registratie, de landelijke registratie van de Nederlandse overheid.
Roelenengweg 21 heeft als functie: wonen. Deze gebruiksfunctie(s) zijn vastgelegd in de BAG-registratie en geven aan waarvoor het adres officieel mag worden gebruikt.
Roelenengweg 21 is gelegen op kadastraal perceel VHZ02E1442. Deze kadastrale aanduiding is uniek en wordt gebruikt door het Kadaster om eigendomsrechten en andere zakelijke rechten vast te leggen. Het perceel maakt onderdeel uit van de kadastrale gemeente Voorthuizen.
Het perceel waarop Roelenengweg 21 staat heeft een oppervlakte van 3491 m². Dit is een zeer groot perceel. De perceeloppervlakte wordt geregistreerd door het Kadaster. Gedetailleerde informatie over de maten van dit perceel kunt u vinden in het rapport Kadastrale kaart met maatvoering van Roelenengweg 21.
De eigenaar van Roelenengweg 21 is op te vragen op deze pagina
De informatie over dit adres is afkomstig uit officiële overheidsregistraties, voornamelijk de Basisregistratie Adressen en Gebouwen (BAG) en de Basisregistratie Kadaster (BRK). Deze gegevens worden beheerd door respectievelijk gemeenten en het Kadaster, en worden regelmatig bijgewerkt. Energielabelgegevens komen uit de database van de Rijksdienst voor Ondernemend Nederland (RVO).
