
Enkweg 28 is gelegen in de plaats Vorden, de gemeente Bronckhorst en de provincie Gelderland. Het object heeft een oppervlakte van 175 m², wat relatief groot is. Het perceel waarop het adres ligt is 708 m² groot. Het object is klein ten opzichte van de andere adressen in de straat. Het grootste verblijfsobject is 6283 m² groot en het kleinste is 16 m². In het jaar 1988 is het pand waarin Enkweg 28 ligt gebouwd. Dat is relatief recent: de meeste gebouwen in Nederland zijn gebouwd in de periode 1965-1984. Vergeleken met de andere panden in de straat is dit gebouw nieuw. Het vroegste bouwjaar is er 1935 en het laatste is 2012. Voor het verblijfsobject gelden deze gebruiksdoelen: 'woonfunctie'.
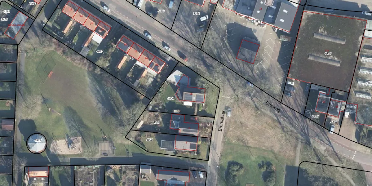
Het perceel waarop het adres ligt is VDN02-K-4806. De afkorting 'VDN02' staat voor kadastrale gemeente Vorden. De gemiddelde perceelgrootte in Vorden is 8274,07 m². Dit perceel is kleiner: de perceeloppervlakte bedraagt 708 m². De grootste perceeloppervlakte in de kadastrale gemeente is 70,5 ha. De kleinste oppervlakte bedraagt 0 m². Dit is het enige adres dat aanwezig is op het perceel. De laatste wijziging in het de Basisregistratie Kadaster (BRK) was op 11-04-2011.
Er is geen energielabel geregistreerd voor het adres. Het hoogste energielabel in de straat is A; het laagste is G. Het gemiddelde energielabel is er C. Het adres Enkweg 28 heeft als status: 'verblijfsobject in gebruik'. Het pand waarin dit adres ligt heeft als status: 'pand in gebruik'.
Enkweg 28 is een adres gelegen in de gemeente Bronckhorst, provincie Gelderland. Dit adres is geregistreerd in de Basisregistratie Adressen en Gebouwen (BAG) met als unieke identificatie 1876010001011100.
Het pand op Enkweg 28 is gebouwd in 1988, wat betekent dat het 38 jaar oud is. Dit is een pand van middelbare leeftijd. Het pand is van gemiddelde leeftijd en zal waarschijnlijk verouderde elementen bevatten.
De woning op Enkweg 28 heeft een gebruiksoppervlakte van 175 m². Dit is ruim vergeleken met de gemiddelde Nederlandse woning, die een oppervlakte heeft van ongeveer 119 m². De gebruiksoppervlakte is de maat die wordt gebruikt in de BAG-registratie, de landelijke registratie van de Nederlandse overheid.
Enkweg 28 heeft als functie: wonen. Deze gebruiksfunctie(s) zijn vastgelegd in de BAG-registratie en geven aan waarvoor het adres officieel mag worden gebruikt.
Enkweg 28 is gelegen op kadastraal perceel VDN02K4806. Deze kadastrale aanduiding is uniek en wordt gebruikt door het Kadaster om eigendomsrechten en andere zakelijke rechten vast te leggen. Het perceel maakt onderdeel uit van de kadastrale gemeente Vorden.
Het perceel waarop Enkweg 28 staat heeft een oppervlakte van 708 m². Dit is een groot perceel. De perceeloppervlakte wordt geregistreerd door het Kadaster. Gedetailleerde informatie over de maten van dit perceel kunt u vinden in het rapport Kadastrale kaart met maatvoering van Enkweg 28.
De eigenaar van Enkweg 28 is op te vragen op deze pagina.
De informatie over dit adres is afkomstig uit officiële overheidsregistraties, voornamelijk de Basisregistratie Adressen en Gebouwen (BAG) en de Basisregistratie Kadaster (BRK). Deze gegevens worden beheerd door respectievelijk gemeenten en het Kadaster, en worden regelmatig bijgewerkt. Energielabelgegevens komen uit de database van de Rijksdienst voor Ondernemend Nederland (RVO).
