
Hamsveldseweg 2 is een adres in Vorden, dat zich bevindt binnen de gemeentegrenzen van Vorden en de grenzen van de provincie Gelderland. Het verblijfsobject is 150 m² groot en bevindt zich op een perceel met een oppervlakte van 1270 m². Gemiddeld hebben adressen in Nederland een oppervlakte van 119 m². Het object is klein ten opzichte van de andere adressen in de straat. Het grootste verblijfsobject is 313 m² groot en het kleinste is 62 m². Het adres Hamsveldseweg 2 ligt in een relatief oud pand uit het jaar 1955. Panden van vóór het jaar 1965 hebben we hier geclassificeerd als oud. Het bouwjaar is oud vergeleken met dat van de andere panden in de straat. Het oudste bouwjaar is er 1920 en de nieuwste is 2016. Voor het verblijfsobject gelden deze gebruiksdoelen: 'woonfunctie'.
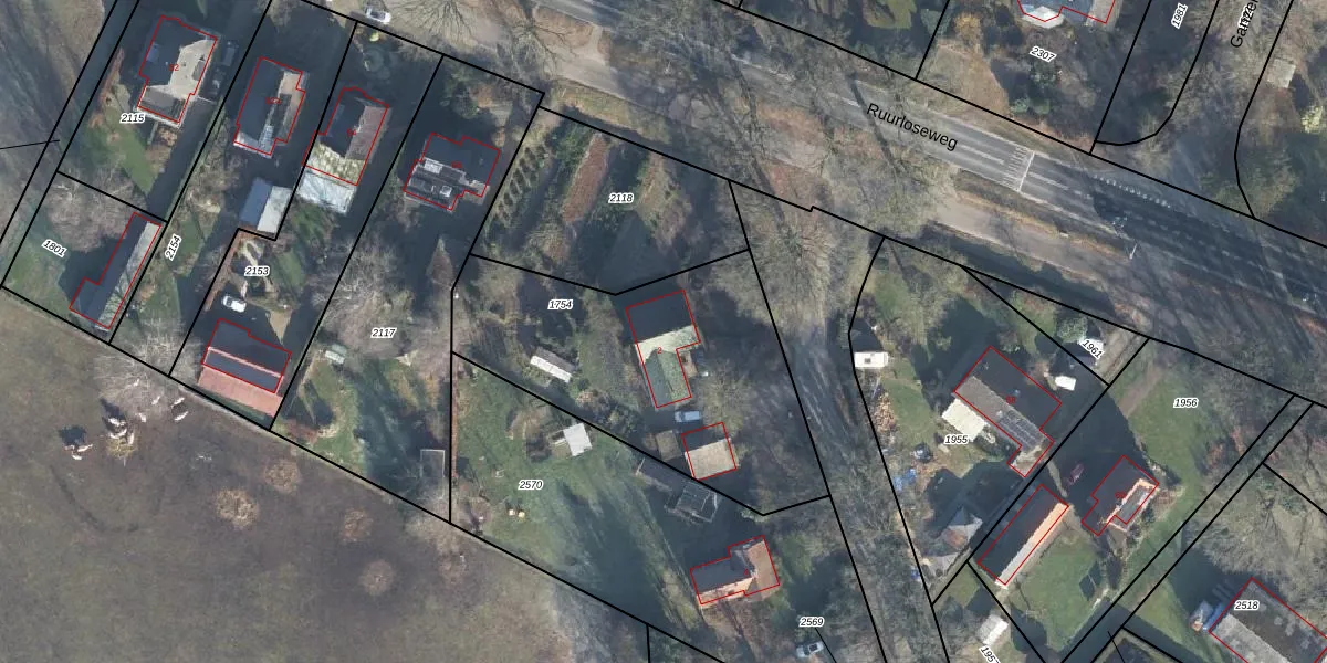
Het perceel waarop het adres ligt is VDN02-D-1754. De afkorting 'VDN02' staat voor kadastrale gemeente Vorden. De gemiddelde perceelgrootte in Vorden is 8276,09 m². Dit perceel is kleiner: de perceeloppervlakte bedraagt 1270 m². De grootste perceeloppervlakte in de kadastrale gemeente is 70,5 ha. De kleinste oppervlakte bedraagt 0 m². Dit is het enige adres dat aanwezig is op het perceel. De huidige grenzen van het perceel zijn digitaal in de Basisregistratie Kadaster (BRK) geregistreerd op 19-01-2004.
Er is geen energielabel geregistreerd voor het adres. Het hoogste energielabel in de straat is A; het laagste is G. Het gemiddelde energielabel is er B. Het adres Hamsveldseweg 2 heeft als status: 'verblijfsobject in gebruik'. Het pand waarin dit adres ligt heeft als status: 'pand in gebruik'.
Hamsveldseweg 2 is een adres gelegen in de gemeente Bronckhorst, provincie Gelderland. Dit adres is geregistreerd in de Basisregistratie Adressen en Gebouwen (BAG) met als unieke identificatie 1876010001011192.
Het pand op Hamsveldseweg 2 is gebouwd in 1955, wat betekent dat het 71 jaar oud is. Dit is een ouder pand. Het pand heeft mogelijk aanzienlijke renovaties nodig om aan de huidige standaarden te voldoen.
De woning op Hamsveldseweg 2 heeft een gebruiksoppervlakte van 150 m². Dit is ruim vergeleken met de gemiddelde Nederlandse woning, die een oppervlakte heeft van ongeveer 119 m². De gebruiksoppervlakte is de maat die wordt gebruikt in de BAG-registratie, de landelijke registratie van de Nederlandse overheid.
Hamsveldseweg 2 heeft als functie: wonen. Deze gebruiksfunctie(s) zijn vastgelegd in de BAG-registratie en geven aan waarvoor het adres officieel mag worden gebruikt.
Hamsveldseweg 2 is gelegen op kadastraal perceel VDN02D1754. Deze kadastrale aanduiding is uniek en wordt gebruikt door het Kadaster om eigendomsrechten en andere zakelijke rechten vast te leggen. Het perceel maakt onderdeel uit van de kadastrale gemeente Vorden.
Het perceel waarop Hamsveldseweg 2 staat heeft een oppervlakte van 1270 m². Dit is een zeer groot perceel. De perceeloppervlakte wordt geregistreerd door het Kadaster. Gedetailleerde informatie over de maten van dit perceel kunt u vinden in het rapport Kadastrale kaart met maatvoering van Hamsveldseweg 2.
De eigenaar van Hamsveldseweg 2 is op te vragen op deze pagina.
De informatie over dit adres is afkomstig uit officiële overheidsregistraties, voornamelijk de Basisregistratie Adressen en Gebouwen (BAG) en de Basisregistratie Kadaster (BRK). Deze gegevens worden beheerd door respectievelijk gemeenten en het Kadaster, en worden regelmatig bijgewerkt. Energielabelgegevens komen uit de database van de Rijksdienst voor Ondernemend Nederland (RVO).
