
Nieuwstad 35 is een adres in Vorden, dat zich bevindt binnen de gemeentegrenzen van Vorden en de grenzen van de provincie Gelderland. De oppervlakte van het verblijfsobject is met 256 m² aan de grote kant. Het perceel heeft een oppervlakte van 475 m². Het object is klein ten opzichte van de andere adressen in de straat. Het grootste verblijfsobject is 3011 m² groot en het kleinste is 75 m². Nieuwstad 35 bevindt zich in een pand uit het jaar 1935. Daarmee behoort het tot de groep relatief oude panden in Nederland die gebouwd zijn vóór 1965. Het nieuwste gebouw in de straat komt uit 2004 en het oudste uit 1838. Dit object is relatief oud. De volgende gebruiksdoelen zijn geregistreerd voor dit adres: 'woonfunctie'.
Deze woning is voor het laatst verkocht op 1 maart 2026. Meer informatie over deze transactie? Bestel het Woningtransactierapport om de verkoopprijs en andere informatie te zien.
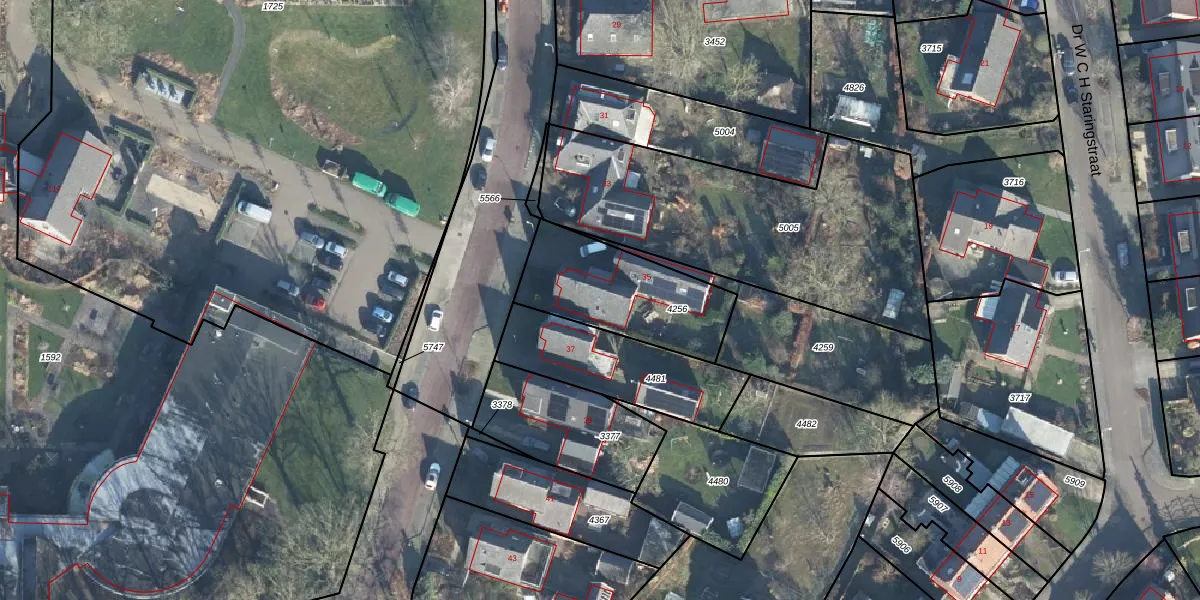
Het perceel waarop het adres ligt is VDN02-K-4256. De afkorting 'VDN02' staat voor kadastrale gemeente Vorden. Het perceel is 475 m² groot. Dat is kleiner dan de gemiddelde perceeloppervlakte in Vorden, dat op 8271,04 m² ligt. Het grootste perceel in de kadastrale gemeente is 70,5 ha. Het kleinste perceel heeft een oppervlakte van 0 m². Op het perceel bevinden zich geen andere adressen. De huidige grenzen van het perceel zijn digitaal in de Basisregistratie Kadaster (BRK) geregistreerd op 04-01-2011.
Het adres ligt in een gebouw van het type 'vrijstaande woning'. Bij de laatste meting is voor het adres het energielabel D geregistreerd. Het hoogste energielabel in de straat is A+++; het laagste is G. Het gemiddelde energielabel is er D. Het adres Nieuwstad 35 heeft als status: 'verblijfsobject in gebruik'. Het pand waarin dit adres ligt heeft als status: 'pand in gebruik'.
Nieuwstad 35 is een adres gelegen in de gemeente Bronckhorst, provincie Gelderland. Dit adres is geregistreerd in de Basisregistratie Adressen en Gebouwen (BAG) met als unieke identificatie 1876010001012450.
Het pand op Nieuwstad 35 is gebouwd in 1935, wat betekent dat het 91 jaar oud is. Dit is een ouder pand. Het pand heeft mogelijk aanzienlijke renovaties nodig om aan de huidige standaarden te voldoen.
De woning op Nieuwstad 35 heeft een gebruiksoppervlakte van 256 m². Dit is ruim vergeleken met de gemiddelde Nederlandse woning, die een oppervlakte heeft van ongeveer 119 m². De gebruiksoppervlakte is de maat die wordt gebruikt in de BAG-registratie, de landelijke registratie van de Nederlandse overheid.
Nieuwstad 35 heeft als functie: wonen. Deze gebruiksfunctie(s) zijn vastgelegd in de BAG-registratie en geven aan waarvoor het adres officieel mag worden gebruikt.
Nieuwstad 35 is gelegen op kadastraal perceel VDN02K4256. Deze kadastrale aanduiding is uniek en wordt gebruikt door het Kadaster om eigendomsrechten en andere zakelijke rechten vast te leggen. Het perceel maakt onderdeel uit van de kadastrale gemeente Vorden.
Het perceel waarop Nieuwstad 35 staat heeft een oppervlakte van 475 m². Dit is een groot perceel. De perceeloppervlakte wordt geregistreerd door het Kadaster. Gedetailleerde informatie over de maten van dit perceel kunt u vinden in het rapport Kadastrale kaart met maatvoering van Nieuwstad 35.
De eigenaar van Nieuwstad 35 is op te vragen op deze pagina.
De informatie over dit adres is afkomstig uit officiële overheidsregistraties, voornamelijk de Basisregistratie Adressen en Gebouwen (BAG) en de Basisregistratie Kadaster (BRK). Deze gegevens worden beheerd door respectievelijk gemeenten en het Kadaster, en worden regelmatig bijgewerkt. Energielabelgegevens komen uit de database van de Rijksdienst voor Ondernemend Nederland (RVO).
