
Het adres Bedafseweg 8-a bevindt zich in de plaats Vorstenbosch, in de gemeente Vorstenbosch en de provincie Noord-Brabant. De oppervlakte bedraagt 236 m², waarmee het adres groter dan gemiddeld is. De grootte van het perceel waarop het adres ligt is 2,0 ha. Het object is klein ten opzichte van de andere adressen in de straat. Het grootste verblijfsobject is 477 m² groot en het kleinste is 153 m². De gemiddelde bouwperiode van gebouwen in Nederland ligt tussen de jaren 1965-1984. Dat geldt ook voor het bouwjaar van Bedafseweg 8-a: het is gebouwd in het jaar 1975. Veel andere gebouwen in de straat zijn ouder dan dit pand. Het oudste pand komt uit het jaar 1950 en het nieuwste uit 2002. Voor het verblijfsobject gelden deze gebruiksdoelen: 'woonfunctie'.
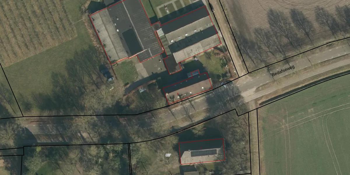
Het perceel waarop het adres ligt is NTR00-G-739. De afkorting 'NTR00' staat voor kadastrale gemeente Nistelrode. Het perceel is met 2,0 ha relatief groot. Het gemiddelde ligt in de kadastrale gemeente Nistelrode op 5089,74 m². Het kleinste perceel in de kadastrale gemeente is 0 m² groot. De grootste perceeloppervlakte is 85,7 ha. Op het perceel zijn 2 adressen aanwezig. In de Basisregistratie Kadaster (BRK) werden de grenzen van het perceel geregistreerd op 11-03-2009.
Er is geen energielabel geregistreerd voor het adres. Het hoogste energielabel in de straat is C; het laagste is G. Het gemiddelde energielabel is er D. Het adres Bedafseweg 8-a heeft als status: 'verblijfsobject in gebruik'. Het pand waarin dit adres ligt heeft als status: 'pand in gebruik'.
Bedafseweg 8-a is een adres gelegen in de gemeente Bernheze, provincie Noord-Brabant. Dit adres is geregistreerd in de Basisregistratie Adressen en Gebouwen (BAG) met als unieke identificatie 1721010000014687.
Het pand op Bedafseweg 8-a is gebouwd in 1975, wat betekent dat het 51 jaar oud is. Dit is een ouder pand. Het pand heeft mogelijk aanzienlijke renovaties nodig om aan de huidige standaarden te voldoen.
De woning op Bedafseweg 8-a heeft een gebruiksoppervlakte van 236 m². Dit is ruim vergeleken met de gemiddelde Nederlandse woning, die een oppervlakte heeft van ongeveer 119 m². De gebruiksoppervlakte is de maat die wordt gebruikt in de BAG-registratie, de landelijke registratie van de Nederlandse overheid.
Bedafseweg 8-a heeft als functie: wonen. Deze gebruiksfunctie(s) zijn vastgelegd in de BAG-registratie en geven aan waarvoor het adres officieel mag worden gebruikt.
Bedafseweg 8-a is gelegen op kadastraal perceel NTR00G739. Deze kadastrale aanduiding is uniek en wordt gebruikt door het Kadaster om eigendomsrechten en andere zakelijke rechten vast te leggen. Het perceel maakt onderdeel uit van de kadastrale gemeente Nistelrode.
Het perceel waarop Bedafseweg 8-a staat heeft een oppervlakte van 2,0 ha. Dit is een zeer groot perceel. De perceeloppervlakte wordt geregistreerd door het Kadaster. Gedetailleerde informatie over de maten van dit perceel kunt u vinden in het rapport Kadastrale kaart met maatvoering van Bedafseweg 8-a.
De eigenaar van Bedafseweg 8-a is op te vragen op deze pagina.
De informatie over dit adres is afkomstig uit officiële overheidsregistraties, voornamelijk de Basisregistratie Adressen en Gebouwen (BAG) en de Basisregistratie Kadaster (BRK). Deze gegevens worden beheerd door respectievelijk gemeenten en het Kadaster, en worden regelmatig bijgewerkt. Energielabelgegevens komen uit de database van de Rijksdienst voor Ondernemend Nederland (RVO).
