
Rietdijk 16-a is gelegen in de plaats Vorstenbosch, de gemeente Bernheze en de provincie Noord-Brabant. De oppervlakte van het verblijfsobject is met 299 m² aan de grote kant. Het perceel heeft een oppervlakte van 1,6 ha. De oppervlakte van dit adres is groot vergeleken met de oppervlaktes van andere adressen in de straat. De kleinste oppervlakte bedraagt er 86 m², de grootste 319 m². Rietdijk 16-a ligt in een gebouw uit het jaar 1994. Daarmee behoort het tot de groep panden van na 1984, die we als relatief nieuw bestempelen. Dit object is relatief nieuw in de straat. Het nieuwste gebouw komt er uit het jaar 2023 en het oudste uit het jaar 1901. De volgende gebruiksdoelen zijn geregistreerd voor dit adres: 'woonfunctie'.
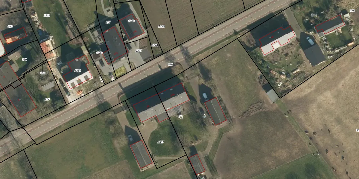
Het adres ligt op het perceel NTR00-G-909, dat zich in de kadastrale gemeente Nistelrode bevindt. De oppervlakte van het perceel is 1,6 ha. Dat is groter dan gemiddeld in Nistelrode, waar de gemiddelde perceeloppervlakte op 5089,74 m² ligt. Het grootste perceel in de kadastrale gemeente is 85,7 ha. Het kleinste perceel heeft een oppervlakte van 0 m². Op het perceel bevinden zich geen andere adressen. De laatste wijziging in het de Basisregistratie Kadaster (BRK) was op 28-12-2021.
Er is geen energielabel geregistreerd voor het adres. Het hoogste energielabel in de straat is A; het laagste is G. Het gemiddelde energielabel is er D. Het adres Rietdijk 16-a heeft als status: 'verblijfsobject in gebruik'. Het pand waarin dit adres ligt heeft als status: 'pand in gebruik'.
Rietdijk 16-a is een adres gelegen in de gemeente Bernheze, provincie Noord-Brabant. Dit adres is geregistreerd in de Basisregistratie Adressen en Gebouwen (BAG) met als unieke identificatie 1721010000003030.
Het pand op Rietdijk 16-a is gebouwd in 1994, wat betekent dat het 32 jaar oud is. Dit is een pand van middelbare leeftijd. Het pand is van gemiddelde leeftijd en zal waarschijnlijk verouderde elementen bevatten.
De woning op Rietdijk 16-a heeft een gebruiksoppervlakte van 299 m². Dit is ruim vergeleken met de gemiddelde Nederlandse woning, die een oppervlakte heeft van ongeveer 119 m². De gebruiksoppervlakte is de maat die wordt gebruikt in de BAG-registratie, de landelijke registratie van de Nederlandse overheid.
Rietdijk 16-a heeft als functie: wonen. Deze gebruiksfunctie(s) zijn vastgelegd in de BAG-registratie en geven aan waarvoor het adres officieel mag worden gebruikt.
Rietdijk 16-a is gelegen op kadastraal perceel NTR00G909. Deze kadastrale aanduiding is uniek en wordt gebruikt door het Kadaster om eigendomsrechten en andere zakelijke rechten vast te leggen. Het perceel maakt onderdeel uit van de kadastrale gemeente Nistelrode.
Het perceel waarop Rietdijk 16-a staat heeft een oppervlakte van 1,6 ha. Dit is een zeer groot perceel. De perceeloppervlakte wordt geregistreerd door het Kadaster. Gedetailleerde informatie over de maten van dit perceel kunt u vinden in het rapport Kadastrale kaart met maatvoering van Rietdijk 16-a.
De eigenaar van Rietdijk 16-a is op te vragen op deze pagina.
De informatie over dit adres is afkomstig uit officiële overheidsregistraties, voornamelijk de Basisregistratie Adressen en Gebouwen (BAG) en de Basisregistratie Kadaster (BRK). Deze gegevens worden beheerd door respectievelijk gemeenten en het Kadaster, en worden regelmatig bijgewerkt. Energielabelgegevens komen uit de database van de Rijksdienst voor Ondernemend Nederland (RVO).
