
Het adres Twistweg 2-A bevindt zich in de plaats Vredepeel, in de gemeente Vredepeel en de provincie Limburg. Het object heeft een oppervlakte van 3237 m², wat relatief groot is. Het perceel waarop het adres ligt is 1,9 ha groot. Vergeleken met de andere verblijfsobjecten in de straat is dit object groot. De oppervlakte van het grootste object in de straat is 1,5 ha, die van het kleinste bedraagt 9 m². De meeste Nederlandse gebouwen zijn gebouwd in de periode 1965-1984. Zo ook het pand waarin Twistweg 2-A ligt, dat gebouwd is in 1980. Vergeleken met de andere panden in de straat is dit gebouw nieuw. Het vroegste bouwjaar is er 1946 en het laatste is 2024. De volgende gebruiksdoelen zijn geregistreerd voor dit adres: 'industriefunctie'.
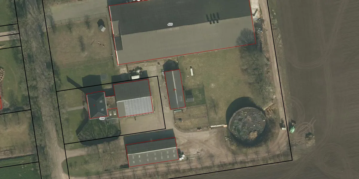
Het adres is gelegen op perceel 469 in de sectie K en de kadastrale gemeente Venray. De kadastrale aanduiding is aldus VRY00-K-469. De oppervlakte van het perceel is 1,9 ha. Dat is groter dan gemiddeld in Venray, waar de gemiddelde perceeloppervlakte op 6024,75 m² ligt. De grootste perceeloppervlakte in de kadastrale gemeente is 1,79 km². De kleinste oppervlakte bedraagt 0 m². Dit is het enige adres dat aanwezig is op het perceel. In de Basisregistratie Kadaster (BRK) werden de grenzen van het perceel geregistreerd op 07-06-2017.
Er is geen energielabel geregistreerd voor het adres. Het hoogste energielabel in de straat is B; het laagste is G. Het gemiddelde energielabel is er E. Het adres Twistweg 2-A heeft als status: 'verblijfsobject in gebruik'. Het pand waarin dit adres ligt heeft als status: 'sloopvergunning verleend'.
Twistweg 2-A is een adres gelegen in de gemeente Venray, provincie Limburg. Dit adres is geregistreerd in de Basisregistratie Adressen en Gebouwen (BAG) met als unieke identificatie 0984010001115361.
Het pand op Twistweg 2-A is gebouwd in 1980, wat betekent dat het 46 jaar oud is. Dit is een pand van middelbare leeftijd. Het pand is van gemiddelde leeftijd en zal waarschijnlijk verouderde elementen bevatten.
De woning op Twistweg 2-A heeft een gebruiksoppervlakte van 3237 m². Dit is ruim vergeleken met de gemiddelde Nederlandse woning, die een oppervlakte heeft van ongeveer 119 m². De gebruiksoppervlakte is de maat die wordt gebruikt in de BAG-registratie, de landelijke registratie van de Nederlandse overheid.
Twistweg 2-A heeft als functie: industrie. Deze gebruiksfunctie(s) zijn vastgelegd in de BAG-registratie en geven aan waarvoor het adres officieel mag worden gebruikt.
Twistweg 2-A is gelegen op kadastraal perceel VRY00K469. Deze kadastrale aanduiding is uniek en wordt gebruikt door het Kadaster om eigendomsrechten en andere zakelijke rechten vast te leggen. Het perceel maakt onderdeel uit van de kadastrale gemeente Venray.
Het perceel waarop Twistweg 2-A staat heeft een oppervlakte van 1,9 ha. Dit is een zeer groot perceel. De perceeloppervlakte wordt geregistreerd door het Kadaster. Gedetailleerde informatie over de maten van dit perceel kunt u vinden in het rapport Kadastrale kaart met maatvoering van Twistweg 2-A.
De eigenaar van Twistweg 2-A is op te vragen op deze pagina.
De informatie over dit adres is afkomstig uit officiële overheidsregistraties, voornamelijk de Basisregistratie Adressen en Gebouwen (BAG) en de Basisregistratie Kadaster (BRK). Deze gegevens worden beheerd door respectievelijk gemeenten en het Kadaster, en worden regelmatig bijgewerkt. Energielabelgegevens komen uit de database van de Rijksdienst voor Ondernemend Nederland (RVO).
