
Oosteinde 99 is een adres in Vriezenveen, dat zich bevindt binnen de gemeentegrenzen van Vriezenveen en de grenzen van de provincie Overijssel. De oppervlakte bedraagt 191 m², waarmee het adres groter dan gemiddeld is. De grootte van het perceel waarop het adres ligt is 3495 m². Het adres is klein vergeleken met andere objecten in de straat. Het grootste object in de straat heeft een oppervlakte van 2,1 ha, het kleinste is 18 m² groot. Het gebouw waarin Oosteinde 99 ligt komt uit het jaar 1900. Objecten die gebouwd zijn vóór 1965 classificeren we hier als oud. In de straat komt het nieuwste gebouw uit het jaar 2025 en het oudste uit 1754. Het bouwjaar van dit object is relatief oud. Het verblijfsobject heeft de volgende gebruiksdoelen: 'winkelfunctie'.
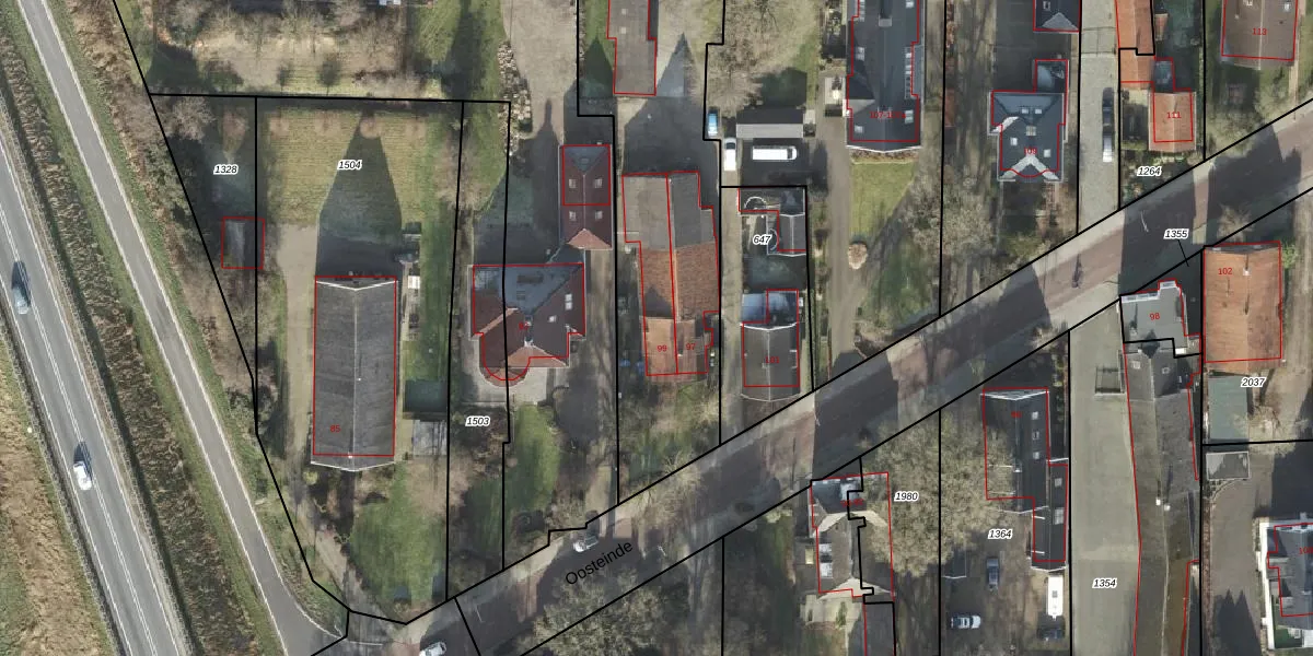
Het adres ligt op het perceel VZV00-H-1086, dat zich in de kadastrale gemeente Vriezenveen bevindt. Het perceel is kleiner dan gemiddeld in Vriezenveen. Het perceel is 3495 m² groot, terwijl het gemiddelde ligt op 5659,73 m². Het kleinste perceel in de kadastrale gemeente is 0 m² groot. De grootste perceeloppervlakte is 2,84 km². Op het perceel zijn 2 adressen aanwezig. De huidige grenzen van het perceel zijn digitaal in de Basisregistratie Kadaster (BRK) geregistreerd op 26-06-2020.
Er is geen energielabel geregistreerd voor het adres. Het hoogste energielabel in de straat is A++++; het laagste is G. Het gemiddelde energielabel is er C. Het adres Oosteinde 99 heeft als status: 'verblijfsobject in gebruik'. Het pand waarin dit adres ligt heeft als status: 'pand in gebruik'.
Oosteinde 99 is een adres gelegen in de gemeente Twenterand, provincie Overijssel. Dit adres is geregistreerd in de Basisregistratie Adressen en Gebouwen (BAG) met als unieke identificatie 1700010000000724.
Het pand op Oosteinde 99 is gebouwd in 1900, wat betekent dat het 126 jaar oud is. Dit is een ouder pand. Het pand heeft mogelijk aanzienlijke renovaties nodig om aan de huidige standaarden te voldoen.
De woning op Oosteinde 99 heeft een gebruiksoppervlakte van 191 m². Dit is ruim vergeleken met de gemiddelde Nederlandse woning, die een oppervlakte heeft van ongeveer 119 m². De gebruiksoppervlakte is de maat die wordt gebruikt in de BAG-registratie, de landelijke registratie van de Nederlandse overheid.
Oosteinde 99 heeft als functie: winkel/handel. Deze gebruiksfunctie(s) zijn vastgelegd in de BAG-registratie en geven aan waarvoor het adres officieel mag worden gebruikt.
Oosteinde 99 is gelegen op kadastraal perceel VZV00H1086. Deze kadastrale aanduiding is uniek en wordt gebruikt door het Kadaster om eigendomsrechten en andere zakelijke rechten vast te leggen. Het perceel maakt onderdeel uit van de kadastrale gemeente Vriezenveen.
Het perceel waarop Oosteinde 99 staat heeft een oppervlakte van 3495 m². Dit is een zeer groot perceel. De perceeloppervlakte wordt geregistreerd door het Kadaster. Gedetailleerde informatie over de maten van dit perceel kunt u vinden in het rapport Kadastrale kaart met maatvoering van Oosteinde 99.
De eigenaar van Oosteinde 99 is op te vragen op deze pagina.
De informatie over dit adres is afkomstig uit officiële overheidsregistraties, voornamelijk de Basisregistratie Adressen en Gebouwen (BAG) en de Basisregistratie Kadaster (BRK). Deze gegevens worden beheerd door respectievelijk gemeenten en het Kadaster, en worden regelmatig bijgewerkt. Energielabelgegevens komen uit de database van de Rijksdienst voor Ondernemend Nederland (RVO).
