Product Functies Prijzen Meer

Adressen

Gebruik de zoekbalk of klik op een perceel voor informatie over de adressen binnen dit perceel.
Locatie
Meten
Lagen
Download

Martinilaan 2

5262BR, Vught

€ 1519312 Wat moet ik bieden voor deze woning?
561 m²
woonfunctie
1.745 m² perceeloppervlakte
?

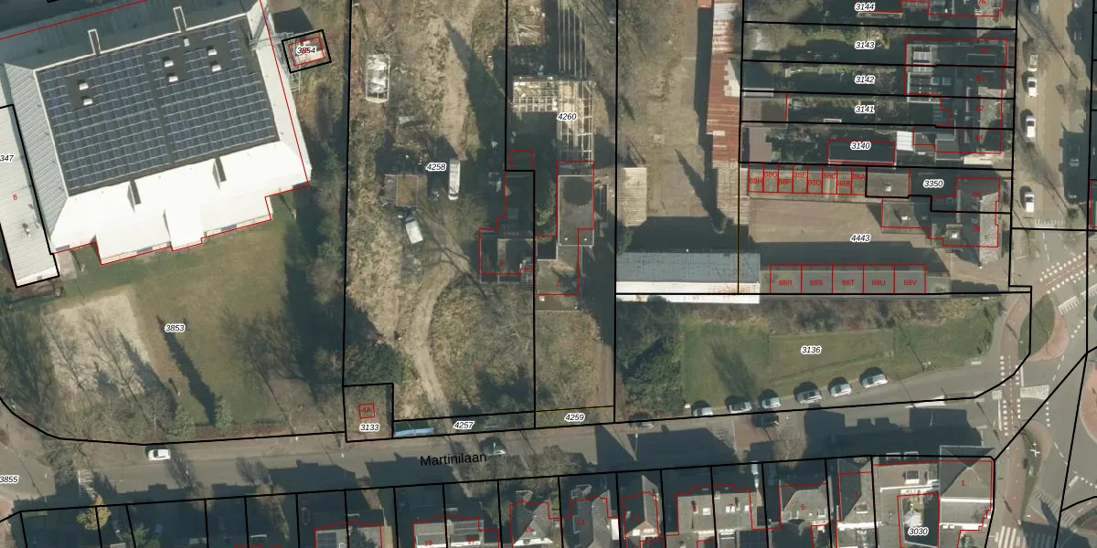
Martinilaan 2 is gelegen in de plaats Vught, de gemeente Vught en de provincie Noord-Brabant. De oppervlakte van het verblijfsobject is met 561 m² aan de grote kant. Het perceel heeft een oppervlakte van 1745 m². De oppervlakte van dit adres is groot vergeleken met de oppervlaktes van andere adressen in de straat. De kleinste oppervlakte bedraagt er 5 m², de grootste 2488 m². Martinilaan 2 bevindt zich in een pand uit het jaar 1930. Daarmee behoort het tot de groep relatief oude panden in Nederland die gebouwd zijn vóór 1965. Het nieuwste gebouw in de straat komt uit 2000 en het oudste uit 1918. Dit object is relatief oud. Voor het verblijfsobject gelden deze gebruiksdoelen: 'woonfunctie'.

Verkoopdata beschikbaar

Deze woning is voor het laatst verkocht op 1 september 2000. Meer informatie over deze transactie? Bestel het Woningtransactierapport om de verkoopprijs en andere informatie te zien.

Perceel

Het adres ligt op het perceel VUG00-E-4260, dat zich in de kadastrale gemeente Vught bevindt. De gemiddelde perceelgrootte in Vught is 2686,28 m². Dit perceel is kleiner: de perceeloppervlakte bedraagt 1745 m². Het grootste perceel in de kadastrale gemeente is 65,7 ha. Het kleinste perceel heeft een oppervlakte van 0 m². Op het perceel bevinden zich geen andere adressen. De laatste wijziging in het de Basisregistratie Kadaster (BRK) was op 07-03-2019.

Energielabel en status

Er is geen energielabel geregistreerd voor het adres. Het hoogste energielabel in de straat is A; het laagste is G. Het gemiddelde energielabel is er E. Het adres Martinilaan 2 heeft als status: 'verbouwing verblijfsobject'. Het pand waarin dit adres ligt heeft als status: 'verbouwing pand'.

Meer lezen

Adres

Gebruiksoppervlakte
561 m²
Bruto vloeroppervlakte
5XiSZ2FYh jsFmUpgrade naar KadastraleKaart Pro
Gebruiksdoel(en)
Woonfunctie
Status
Verbouwing verblijfsobject
Type
Onbekend
Gasloos
eZKmhGmxcUpgrade naar KadastraleKaart Pro
Gebeurtenissen
Appartementsrechten
rG1kuKB1ND7 2A4F1Upgrade naar KadastraleKaart Pro
Eigenaar
Eigendomsinformatie 12,95
Adresinformatie bestellen
Adrespakket 34,95
VBO ID
0865010000003139
Woning laatst verkocht in
2000 -
Verkoopprijs opvragen 8,95

Pand

Bouwjaar pand
1930
Aantal adressen in dit gebouw
1 adres
Hoogte pand
Wf ss1dym8ajzsz zo6KUpgrade naar KadastraleKaart Pro
Aantal bouwlagen (schatting)
7yLbuRdCd uzUpgrade naar KadastraleKaart Pro
Volume
nQIbqTOAjhHJwNBrUpgrade naar KadastraleKaart Pro
Oppervlakte dak
To86JtOBQoQ z0 OPC CMUpgrade naar KadastraleKaart Pro
Oppervlakte buitenmuur
l Xrtdcv MT Fu6Upgrade naar KadastraleKaart Pro
Status pand
Verbouwing pand
Pand ID
0865100000008285

Perceel

Kadastrale aanduiding
Vught E 4260 (VUG00 E 4260)
Oppervlakte
1.745 m²
Maatvoering
Kadastrale kaart met maatvoering 59,95
Omtrek
239 meter
Datum laatst gewijzigd
07/03/2019
Aantal adressen op perceel
1
Hoogte boven N.A.P.
AUGoB4vfnEt71J 1Upgrade naar KadastraleKaart Pro

Veelgestelde vragen

Martinilaan 2 is een adres gelegen in de gemeente Vught, provincie Noord-Brabant. Dit adres is geregistreerd in de Basisregistratie Adressen en Gebouwen (BAG) met als unieke identificatie 0865010000003139.

Het pand op Martinilaan 2 is gebouwd in 1930, wat betekent dat het 96 jaar oud is. Dit is een ouder pand. Het pand heeft mogelijk aanzienlijke renovaties nodig om aan de huidige standaarden te voldoen.

De woning op Martinilaan 2 heeft een gebruiksoppervlakte van 561 m². Dit is ruim vergeleken met de gemiddelde Nederlandse woning, die een oppervlakte heeft van ongeveer 119 m². De gebruiksoppervlakte is de maat die wordt gebruikt in de BAG-registratie, de landelijke registratie van de Nederlandse overheid.

Martinilaan 2 heeft als functie: wonen. Deze gebruiksfunctie(s) zijn vastgelegd in de BAG-registratie en geven aan waarvoor het adres officieel mag worden gebruikt.

Martinilaan 2 is gelegen op kadastraal perceel VUG00E4260. Deze kadastrale aanduiding is uniek en wordt gebruikt door het Kadaster om eigendomsrechten en andere zakelijke rechten vast te leggen. Het perceel maakt onderdeel uit van de kadastrale gemeente Vught.

Het perceel waarop Martinilaan 2 staat heeft een oppervlakte van 1745 m². Dit is een zeer groot perceel. De perceeloppervlakte wordt geregistreerd door het Kadaster. Gedetailleerde informatie over de maten van dit perceel kunt u vinden in het rapport Kadastrale kaart met maatvoering van Martinilaan 2.

De eigenaar van Martinilaan 2 is op te vragen op deze pagina

De informatie over dit adres is afkomstig uit officiële overheidsregistraties, voornamelijk de Basisregistratie Adressen en Gebouwen (BAG) en de Basisregistratie Kadaster (BRK). Deze gegevens worden beheerd door respectievelijk gemeenten en het Kadaster, en worden regelmatig bijgewerkt. Energielabelgegevens komen uit de database van de Rijksdienst voor Ondernemend Nederland (RVO).

Maatvoeringsrapport

Biedadvies

Loop uw droomhuis niet mis met ons biedadvies.
Loop uw droomhuis niet mis met ons biedadvies.
Maatvoeringsrapport

Bestel het adrespakket

Kom alles te weten over Martinilaan 2 met het adrespakket.
Kom alles te weten over Martinilaan 2 met het adrespakket.

360°-foto's van de omgeving

Google Street View
Upgrade nu voor 360° Street View foto's

Zon en schaduw rondom adres

Buurt
Vijverhof
Inwoners: 1.860
Woningen: 959
Wijk
Wijk 01 Vught-Zuid
Inwoners: 12.480
Woningen: 5.406
Gemeente
Vught
Inwoners: 32.356
Woningen: 13.875