
Peellandstraat 10 is gelegen in de plaats Vught, de gemeente Vught en de provincie Noord-Brabant. Het perceel waarop het verblijfsobject staat is 9775 m² groot. De oppervlakte van het adres is 125 m², wat zich rond het Nederlandse gemiddelde van 119 m² bevindt. Er zijn geen kleinere objecten in deze straat. De gemiddelde oppervlakte is er 128 m². Het grootste verblijfsobject is 145 m². De meeste Nederlandse gebouwen zijn gebouwd in de periode 1965-1984. Zo ook het pand waarin Peellandstraat 10 ligt, dat gebouwd is in 1972. In de straat is dit het nieuwste pand en stamt het oudste object uit het jaar 1972. Het gemiddelde bouwjaar in de straat is 1972. De volgende gebruiksdoelen zijn geregistreerd voor dit adres: 'woonfunctie'.
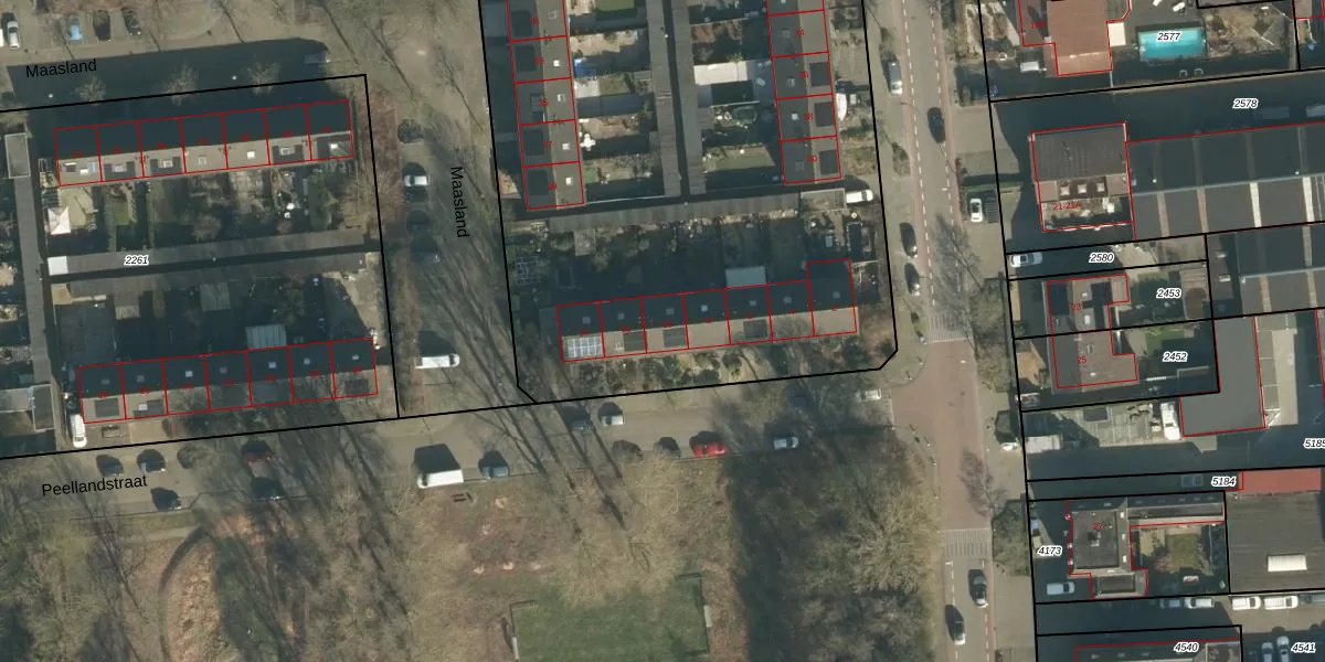
Het adres ligt op het perceel VUG00-D-2260, dat zich in de kadastrale gemeente Vught bevindt. De oppervlakte van het perceel is 9775 m². Dat is groter dan gemiddeld in Vught, waar de gemiddelde perceeloppervlakte op 2683,78 m² ligt. De grootste perceeloppervlakte in de kadastrale gemeente is 65,7 ha. De kleinste oppervlakte bedraagt 0 m². Op het perceel zijn 47 adressen aanwezig. De laatste wijziging in het de Basisregistratie Kadaster (BRK) was op 27-04-2004.
Het adres ligt in een gebouw van het type 'rijwoning tussen'. Bij de laatste meting is voor het adres het energielabel A geregistreerd. Het hoogste energielabel in de straat is A; het laagste is G. Het gemiddelde energielabel is er A. Het adres Peellandstraat 10 heeft als status: 'verblijfsobject in gebruik'. Het pand waarin dit adres ligt heeft als status: 'pand in gebruik'.
Peellandstraat 10 is een adres gelegen in de gemeente Vught, provincie Noord-Brabant. Dit adres is geregistreerd in de Basisregistratie Adressen en Gebouwen (BAG) met als unieke identificatie 0865010000006333.
Het pand op Peellandstraat 10 is gebouwd in 1972, wat betekent dat het 54 jaar oud is. Dit is een ouder pand. Het pand heeft mogelijk aanzienlijke renovaties nodig om aan de huidige standaarden te voldoen.
De woning op Peellandstraat 10 heeft een gebruiksoppervlakte van 125 m². Dit is gemiddeld vergeleken met de gemiddelde Nederlandse woning, die een oppervlakte heeft van ongeveer 119 m². De gebruiksoppervlakte is de maat die wordt gebruikt in de BAG-registratie, de landelijke registratie van de Nederlandse overheid.
Peellandstraat 10 heeft als functie: wonen. Deze gebruiksfunctie(s) zijn vastgelegd in de BAG-registratie en geven aan waarvoor het adres officieel mag worden gebruikt.
Peellandstraat 10 is gelegen op kadastraal perceel VUG00D2260. Deze kadastrale aanduiding is uniek en wordt gebruikt door het Kadaster om eigendomsrechten en andere zakelijke rechten vast te leggen. Het perceel maakt onderdeel uit van de kadastrale gemeente Vught.
Het perceel waarop Peellandstraat 10 staat heeft een oppervlakte van 9775 m². Dit is een zeer groot perceel. De perceeloppervlakte wordt geregistreerd door het Kadaster. Gedetailleerde informatie over de maten van dit perceel kunt u vinden in het rapport Kadastrale kaart met maatvoering van Peellandstraat 10.
De eigenaar van Peellandstraat 10 is op te vragen op deze pagina.
De informatie over dit adres is afkomstig uit officiële overheidsregistraties, voornamelijk de Basisregistratie Adressen en Gebouwen (BAG) en de Basisregistratie Kadaster (BRK). Deze gegevens worden beheerd door respectievelijk gemeenten en het Kadaster, en worden regelmatig bijgewerkt. Energielabelgegevens komen uit de database van de Rijksdienst voor Ondernemend Nederland (RVO).
