
Eindhovenseweg 99-a is gelegen in de plaats Waalre, de gemeente Waalre en de provincie Noord-Brabant. Het verblijfsobject is vergeleken met het Nederlandse gemiddelde aan de kleine kant: de oppervlakte is 60 m². Het perceel waarop het adres zich bevindt heeft een oppervlakte van 888 m². Het adres is klein vergeleken met andere objecten in de straat. Het grootste object in de straat heeft een oppervlakte van 5664 m², het kleinste is 6 m² groot. Eindhovenseweg 99-a bevindt zich in een pand uit het jaar 1939. Daarmee behoort het tot de groep relatief oude panden in Nederland die gebouwd zijn vóór 1965. Het nieuwste gebouw in de straat komt uit 2026 en het oudste uit 1884. Dit object is relatief oud. De volgende gebruiksdoelen zijn geregistreerd voor dit adres: 'woonfunctie'.
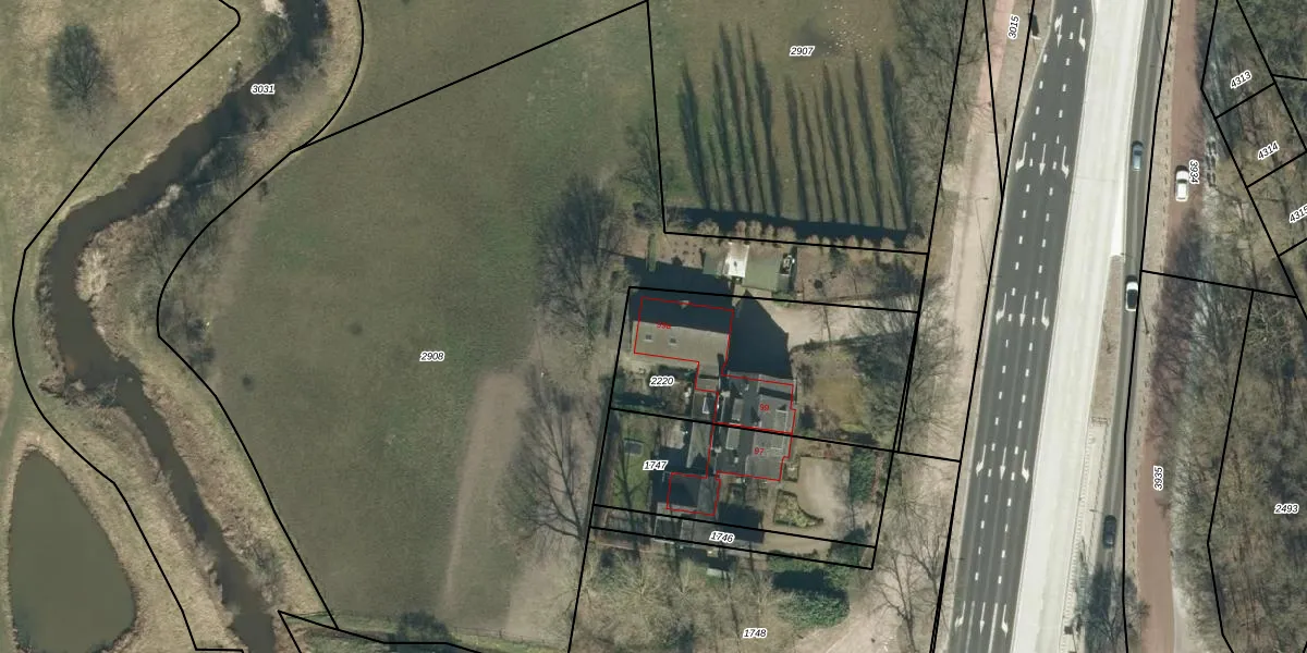
Het adres ligt op het perceel AAL01-E-2220, dat zich in de kadastrale gemeente Aalst Noord-Brabant bevindt. Het perceel is 888 m² groot. Dat is kleiner dan de gemiddelde perceeloppervlakte in Aalst Noord-Brabant, dat op 1714,4 m² ligt. Het grootste perceel in de kadastrale gemeente is 77,5 ha. Het kleinste perceel heeft een oppervlakte van 0 m². Op het perceel liggen in totaal 2 adressen. De laatste wijziging in het de Basisregistratie Kadaster (BRK) was op 26-03-2009.
Er is geen energielabel geregistreerd voor het adres. Het hoogste energielabel in de straat is A+++; het laagste is G. Het gemiddelde energielabel is er B. Het adres Eindhovenseweg 99-a heeft als status: 'verblijfsobject in gebruik'. Het pand waarin dit adres ligt heeft als status: 'pand in gebruik'.
Eindhovenseweg 99-a is een adres gelegen in de gemeente Waalre, provincie Noord-Brabant. Dit adres is geregistreerd in de Basisregistratie Adressen en Gebouwen (BAG) met als unieke identificatie 0866010000009936.
Het pand op Eindhovenseweg 99-a is gebouwd in 1939, wat betekent dat het 87 jaar oud is. Dit is een ouder pand. Het pand heeft mogelijk aanzienlijke renovaties nodig om aan de huidige standaarden te voldoen.
De woning op Eindhovenseweg 99-a heeft een gebruiksoppervlakte van 60 m². Dit is relatief klein vergeleken met de gemiddelde Nederlandse woning, die een oppervlakte heeft van ongeveer 119 m². De gebruiksoppervlakte is de maat die wordt gebruikt in de BAG-registratie, de landelijke registratie van de Nederlandse overheid.
Eindhovenseweg 99-a heeft als functie: wonen. Deze gebruiksfunctie(s) zijn vastgelegd in de BAG-registratie en geven aan waarvoor het adres officieel mag worden gebruikt.
Eindhovenseweg 99-a is gelegen op kadastraal perceel AAL01E2220. Deze kadastrale aanduiding is uniek en wordt gebruikt door het Kadaster om eigendomsrechten en andere zakelijke rechten vast te leggen. Het perceel maakt onderdeel uit van de kadastrale gemeente Aalst Noord-Brabant.
Het perceel waarop Eindhovenseweg 99-a staat heeft een oppervlakte van 888 m². Dit is een groot perceel. De perceeloppervlakte wordt geregistreerd door het Kadaster. Gedetailleerde informatie over de maten van dit perceel kunt u vinden in het rapport Kadastrale kaart met maatvoering van Eindhovenseweg 99-a.
De eigenaar van Eindhovenseweg 99-a is op te vragen op deze pagina.
De informatie over dit adres is afkomstig uit officiële overheidsregistraties, voornamelijk de Basisregistratie Adressen en Gebouwen (BAG) en de Basisregistratie Kadaster (BRK). Deze gegevens worden beheerd door respectievelijk gemeenten en het Kadaster, en worden regelmatig bijgewerkt. Energielabelgegevens komen uit de database van de Rijksdienst voor Ondernemend Nederland (RVO).
