
Prof. Nolenslaan 62 is een adres in Waalwijk, dat zich bevindt binnen de gemeentegrenzen van Waalwijk en de grenzen van de provincie Noord-Brabant. Het perceel waarop het verblijfsobject staat is 155 m² groot. De oppervlakte van het adres is 102 m², wat zich rond het Nederlandse gemiddelde van 119 m² bevindt. In vergelijking met de andere adressen in de straat is de oppervlakte van dit object relatief groot. Het grootste verblijfsobject heeft een oppervlakte van 158 m², de oppervlakte van het kleinste object bedraagt 4 m². In Nederland komt het grootste deel van de gebouwen uit de periode 1965-1984. Ook het bouwjaar van Prof. Nolenslaan 62 is afkomstig uit die periode: het betreft namelijk een pand uit 1966. In de straat komt het nieuwste gebouw uit het jaar 1988 en het oudste uit 1965. Het bouwjaar van dit object is relatief oud. Het verblijfsobject heeft de volgende gebruiksdoelen: 'woonfunctie'.
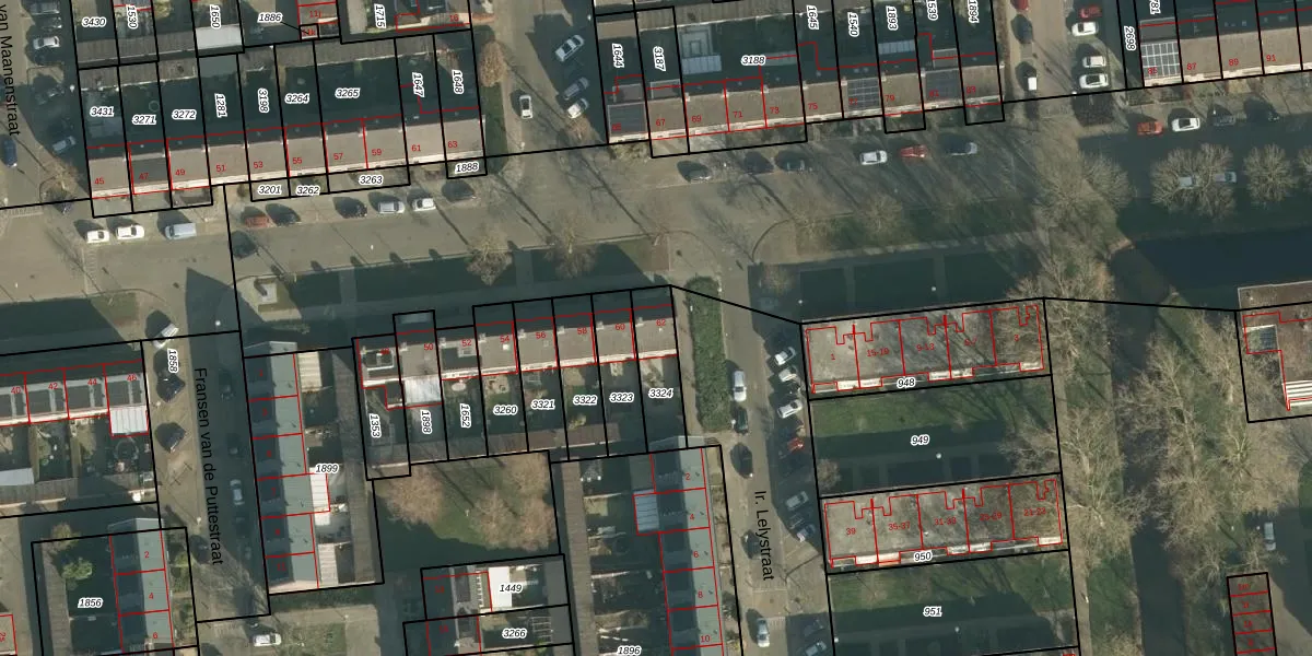
Het perceel waarop het adres ligt is WWK00-F-3324. De afkorting 'WWK00' staat voor kadastrale gemeente Waalwijk. Het perceel is kleiner dan gemiddeld in Waalwijk. Het perceel is 155 m² groot, terwijl het gemiddelde ligt op 1668,17 m². Het grootste perceel in de kadastrale gemeente is 57,3 ha. Het kleinste perceel heeft een oppervlakte van 0 m². Er zijn geen andere adressen aanwezig op het perceel. De huidige grenzen van het perceel zijn digitaal in de Basisregistratie Kadaster (BRK) geregistreerd op 03-05-2019.
Het adres ligt in een gebouw van het type 'rijwoning hoek'. Bij de laatste meting is voor het adres het energielabel C geregistreerd. Het hoogste energielabel in de straat is A++; het laagste is G. Het gemiddelde energielabel is er B. Het adres Prof. Nolenslaan 62 heeft als status: 'verblijfsobject in gebruik'. Het pand waarin dit adres ligt heeft als status: 'pand in gebruik'.
Prof. Nolenslaan 62 is een adres gelegen in de gemeente Waalwijk, provincie Noord-Brabant. Dit adres is geregistreerd in de Basisregistratie Adressen en Gebouwen (BAG) met als unieke identificatie 0867010000006407.
Het pand op Prof. Nolenslaan 62 is gebouwd in 1966, wat betekent dat het 60 jaar oud is. Dit is een ouder pand. Het pand heeft mogelijk aanzienlijke renovaties nodig om aan de huidige standaarden te voldoen.
De woning op Prof. Nolenslaan 62 heeft een gebruiksoppervlakte van 102 m². Dit is onder het gemiddelde vergeleken met de gemiddelde Nederlandse woning, die een oppervlakte heeft van ongeveer 119 m². De gebruiksoppervlakte is de maat die wordt gebruikt in de BAG-registratie, de landelijke registratie van de Nederlandse overheid.
Prof. Nolenslaan 62 heeft als functie: wonen. Deze gebruiksfunctie(s) zijn vastgelegd in de BAG-registratie en geven aan waarvoor het adres officieel mag worden gebruikt.
Prof. Nolenslaan 62 is gelegen op kadastraal perceel WWK00F3324. Deze kadastrale aanduiding is uniek en wordt gebruikt door het Kadaster om eigendomsrechten en andere zakelijke rechten vast te leggen. Het perceel maakt onderdeel uit van de kadastrale gemeente Waalwijk.
Het perceel waarop Prof. Nolenslaan 62 staat heeft een oppervlakte van 155 m². Dit is een middelgroot perceel. De perceeloppervlakte wordt geregistreerd door het Kadaster. Gedetailleerde informatie over de maten van dit perceel kunt u vinden in het rapport Kadastrale kaart met maatvoering van Prof. Nolenslaan 62.
De eigenaar van Prof. Nolenslaan 62 is op te vragen op deze pagina.
De informatie over dit adres is afkomstig uit officiële overheidsregistraties, voornamelijk de Basisregistratie Adressen en Gebouwen (BAG) en de Basisregistratie Kadaster (BRK). Deze gegevens worden beheerd door respectievelijk gemeenten en het Kadaster, en worden regelmatig bijgewerkt. Energielabelgegevens komen uit de database van de Rijksdienst voor Ondernemend Nederland (RVO).
