
Busken Huetlaan 100 is gelegen in de plaats Waddinxveen, de gemeente Waddinxveen en de provincie Zuid-Holland. De oppervlakte van het object bedraagt 54 m². Dat is klein vergeleken met het Nederlandse gemiddelde. Het perceel waarop het adres ligt is 511 m² groot. Het adres is klein vergeleken met andere objecten in de straat. Het grootste object in de straat heeft een oppervlakte van 511 m², het kleinste is 19 m² groot. De meeste Nederlandse gebouwen zijn gebouwd in de periode 1965-1984. Zo ook het pand waarin Busken Huetlaan 100 ligt, dat gebouwd is in 1967. In de straat komt het nieuwste gebouw uit het jaar 2007 en het oudste uit 1965. Het bouwjaar van dit object is relatief oud. De volgende gebruiksdoelen zijn geregistreerd voor dit adres: 'woonfunctie'.
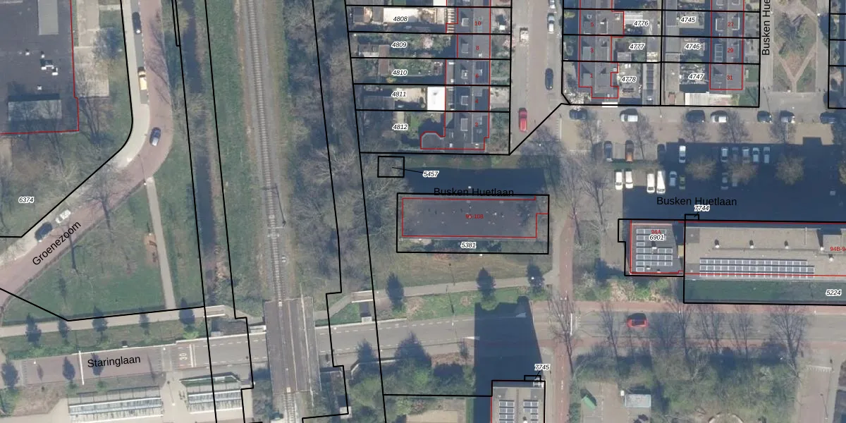
Het adres ligt op het perceel WDV01-B-5381, dat zich in de kadastrale gemeente Waddinxveen bevindt. Het perceel is 511 m² groot. Dat is kleiner dan de gemiddelde perceeloppervlakte in Waddinxveen, dat op 2158,97 m² ligt. De grootste perceeloppervlakte in de kadastrale gemeente is 49,8 ha. De kleinste oppervlakte bedraagt 0 m². Op het perceel zijn 7 adressen aanwezig. De laatste wijziging in het de Basisregistratie Kadaster (BRK) was op 22-10-2009.
Het adres ligt in een gebouw van het type 'appartement met het subtype hoekvloer'. Bij de laatste meting is voor het adres het energielabel C geregistreerd. Het hoogste energielabel in de straat is A; het laagste is G. Het gemiddelde energielabel is er C. Het adres Busken Huetlaan 100 heeft als status: 'verblijfsobject in gebruik'. Het pand waarin dit adres ligt heeft als status: 'pand in gebruik'.
Busken Huetlaan 100 is een adres gelegen in de gemeente Waddinxveen, provincie Zuid-Holland. Dit adres is geregistreerd in de Basisregistratie Adressen en Gebouwen (BAG) met als unieke identificatie 0627010000000830.
Het pand op Busken Huetlaan 100 is gebouwd in 1967, wat betekent dat het 59 jaar oud is. Dit is een ouder pand. Het pand heeft mogelijk aanzienlijke renovaties nodig om aan de huidige standaarden te voldoen.
De woning op Busken Huetlaan 100 heeft een gebruiksoppervlakte van 54 m². Dit is relatief klein vergeleken met de gemiddelde Nederlandse woning, die een oppervlakte heeft van ongeveer 119 m². De gebruiksoppervlakte is de maat die wordt gebruikt in de BAG-registratie, de landelijke registratie van de Nederlandse overheid.
Busken Huetlaan 100 heeft als functie: wonen. Deze gebruiksfunctie(s) zijn vastgelegd in de BAG-registratie en geven aan waarvoor het adres officieel mag worden gebruikt.
Busken Huetlaan 100 is gelegen op kadastraal perceel WDV01B5381. Deze kadastrale aanduiding is uniek en wordt gebruikt door het Kadaster om eigendomsrechten en andere zakelijke rechten vast te leggen. Het perceel maakt onderdeel uit van de kadastrale gemeente Waddinxveen.
Het perceel waarop Busken Huetlaan 100 staat heeft een oppervlakte van 511 m². Dit is een groot perceel. De perceeloppervlakte wordt geregistreerd door het Kadaster. Gedetailleerde informatie over de maten van dit perceel kunt u vinden in het rapport Kadastrale kaart met maatvoering van Busken Huetlaan 100.
De eigenaar van Busken Huetlaan 100 is op te vragen op deze pagina.
De informatie over dit adres is afkomstig uit officiële overheidsregistraties, voornamelijk de Basisregistratie Adressen en Gebouwen (BAG) en de Basisregistratie Kadaster (BRK). Deze gegevens worden beheerd door respectievelijk gemeenten en het Kadaster, en worden regelmatig bijgewerkt. Energielabelgegevens komen uit de database van de Rijksdienst voor Ondernemend Nederland (RVO).
