
Het adres Lingedijk 7-a bevindt zich in de plaats Wadenoijen, in de gemeente Wadenoijen en de provincie Gelderland. De oppervlakte bedraagt 3523 m², waarmee het adres groter dan gemiddeld is. De grootte van het perceel waarop het adres ligt is 807 m². Dit is het adres met de grootste oppervlakte van alle adressen in de straat. Gemiddeld hebben de objecten in de straat een oppervlakte van 262 m². De kleinste oppervlakte is er 18 m². Het gebouw waarin Lingedijk 7-a ligt komt uit het jaar 1910. Objecten die gebouwd zijn vóór 1965 classificeren we hier als oud. In de straat komt het nieuwste gebouw uit het jaar 2019 en het oudste uit 1450. Het bouwjaar van dit object is relatief oud. Het verblijfsobject heeft de volgende gebruiksdoelen: 'winkelfunctie'.
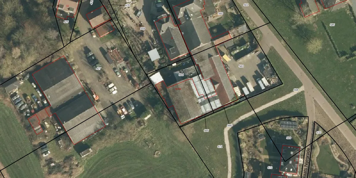
Het adres ligt op het perceel WDN03-A-564, dat zich in de kadastrale gemeente Wadenoijen bevindt. Het perceel is kleiner dan gemiddeld in Wadenoijen. Het perceel is 807 m² groot, terwijl het gemiddelde ligt op 6560,98 m². Het kleinste perceel in de kadastrale gemeente is 1 m² groot. De grootste perceeloppervlakte is 17,9 ha. Er zijn geen andere adressen aanwezig op het perceel. In de Basisregistratie Kadaster (BRK) werden de grenzen van het perceel geregistreerd op 02-03-2016.
Er is geen energielabel geregistreerd voor het adres. Het hoogste energielabel in de straat is A+++; het laagste is G. Het gemiddelde energielabel is er D. Het adres Lingedijk 7-a heeft als status: 'verblijfsobject in gebruik'. Het pand waarin dit adres ligt heeft als status: 'pand in gebruik'.
Lingedijk 7-a is een adres gelegen in de gemeente Tiel, provincie Gelderland. Dit adres is geregistreerd in de Basisregistratie Adressen en Gebouwen (BAG) met als unieke identificatie 0281010000067802.
Het pand op Lingedijk 7-a is gebouwd in 1910, wat betekent dat het 116 jaar oud is. Dit is een ouder pand. Het pand heeft mogelijk aanzienlijke renovaties nodig om aan de huidige standaarden te voldoen.
De woning op Lingedijk 7-a heeft een gebruiksoppervlakte van 3523 m². Dit is ruim vergeleken met de gemiddelde Nederlandse woning, die een oppervlakte heeft van ongeveer 119 m². De gebruiksoppervlakte is de maat die wordt gebruikt in de BAG-registratie, de landelijke registratie van de Nederlandse overheid.
Lingedijk 7-a heeft als functie: winkel/handel. Deze gebruiksfunctie(s) zijn vastgelegd in de BAG-registratie en geven aan waarvoor het adres officieel mag worden gebruikt.
Lingedijk 7-a is gelegen op kadastraal perceel WDN03A564. Deze kadastrale aanduiding is uniek en wordt gebruikt door het Kadaster om eigendomsrechten en andere zakelijke rechten vast te leggen. Het perceel maakt onderdeel uit van de kadastrale gemeente Wadenoijen.
Het perceel waarop Lingedijk 7-a staat heeft een oppervlakte van 807 m². Dit is een groot perceel. De perceeloppervlakte wordt geregistreerd door het Kadaster. Gedetailleerde informatie over de maten van dit perceel kunt u vinden in het rapport Kadastrale kaart met maatvoering van Lingedijk 7-a.
De eigenaar van Lingedijk 7-a is op te vragen op deze pagina.
De informatie over dit adres is afkomstig uit officiële overheidsregistraties, voornamelijk de Basisregistratie Adressen en Gebouwen (BAG) en de Basisregistratie Kadaster (BRK). Deze gegevens worden beheerd door respectievelijk gemeenten en het Kadaster, en worden regelmatig bijgewerkt. Energielabelgegevens komen uit de database van de Rijksdienst voor Ondernemend Nederland (RVO).
