
Het adres Ammonslaantje 40 bevindt zich in de plaats Wassenaar, in de gemeente Wassenaar en de provincie Zuid-Holland. De oppervlakte van het verblijfsobject is met 226 m² aan de grote kant. Het perceel heeft een oppervlakte van 330 m². Het adres is klein vergeleken met andere objecten in de straat. Het grootste object in de straat heeft een oppervlakte van 1047 m², het kleinste is 15 m² groot. Het adres Ammonslaantje 40 ligt in een relatief oud pand uit het jaar 1878. Panden van vóór het jaar 1965 hebben we hier geclassificeerd als oud. Gemiddeld zijn de gebouwen in de straat gebouwd in 1954. Dit is het oudste pand in de straat. Het meest recente komt uit het jaar 2026. De volgende gebruiksdoelen zijn geregistreerd voor dit adres: 'woonfunctie' en 'industriefunctie'.
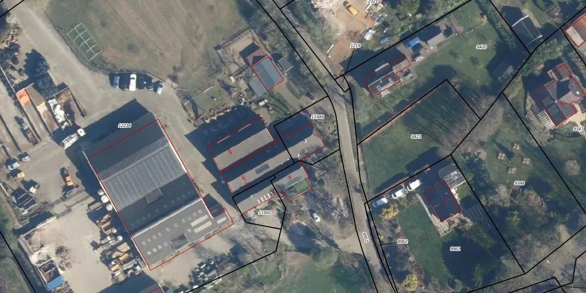
Het adres ligt op het perceel WSN01-B-11949, dat zich in de kadastrale gemeente Wassenaar bevindt. Het perceel is 330 m² groot. Dat is kleiner dan de gemiddelde perceeloppervlakte in Wassenaar, dat op 4922,69 m² ligt. De grootste perceeloppervlakte in de kadastrale gemeente is 9,50 km². De kleinste oppervlakte bedraagt 0 m². Op het perceel bevinden zich geen andere adressen. In de Basisregistratie Kadaster (BRK) werden de grenzen van het perceel geregistreerd op 18-10-2013.
Er is geen energielabel geregistreerd voor het adres. Het hoogste energielabel in de straat is A+++; het laagste is G. Het gemiddelde energielabel is er E. Het adres Ammonslaantje 40 heeft als status: 'verblijfsobject in gebruik'. Het pand waarin dit adres ligt heeft als status: 'pand in gebruik'.
Ammonslaantje 40 is een adres gelegen in de gemeente Wassenaar, provincie Zuid-Holland. Dit adres is geregistreerd in de Basisregistratie Adressen en Gebouwen (BAG) met als unieke identificatie 0629010000000213.
Het pand op Ammonslaantje 40 is gebouwd in 1878, wat betekent dat het 148 jaar oud is. Dit is een ouder pand. Het pand heeft mogelijk aanzienlijke renovaties nodig om aan de huidige standaarden te voldoen.
De woning op Ammonslaantje 40 heeft een gebruiksoppervlakte van 226 m². Dit is ruim vergeleken met de gemiddelde Nederlandse woning, die een oppervlakte heeft van ongeveer 119 m². De gebruiksoppervlakte is de maat die wordt gebruikt in de BAG-registratie, de landelijke registratie van de Nederlandse overheid.
Ammonslaantje 40 heeft als functie: wonen en industrie. Deze gebruiksfunctie(s) zijn vastgelegd in de BAG-registratie en geven aan waarvoor het adres officieel mag worden gebruikt.
Ammonslaantje 40 is gelegen op kadastraal perceel WSN01B11949. Deze kadastrale aanduiding is uniek en wordt gebruikt door het Kadaster om eigendomsrechten en andere zakelijke rechten vast te leggen. Het perceel maakt onderdeel uit van de kadastrale gemeente Wassenaar.
Het perceel waarop Ammonslaantje 40 staat heeft een oppervlakte van 330 m². Dit is een groot perceel. De perceeloppervlakte wordt geregistreerd door het Kadaster. Gedetailleerde informatie over de maten van dit perceel kunt u vinden in het rapport Kadastrale kaart met maatvoering van Ammonslaantje 40.
De eigenaar van Ammonslaantje 40 is op te vragen op deze pagina.
De informatie over dit adres is afkomstig uit officiële overheidsregistraties, voornamelijk de Basisregistratie Adressen en Gebouwen (BAG) en de Basisregistratie Kadaster (BRK). Deze gegevens worden beheerd door respectievelijk gemeenten en het Kadaster, en worden regelmatig bijgewerkt. Energielabelgegevens komen uit de database van de Rijksdienst voor Ondernemend Nederland (RVO).
