Product Functies Prijzen Meer

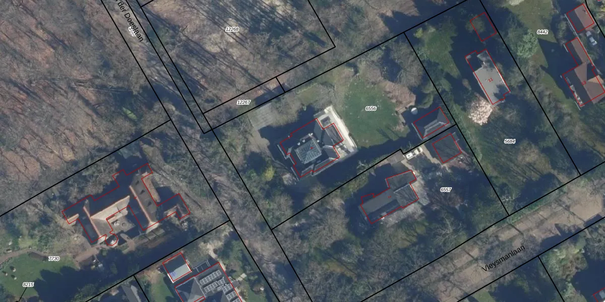
Adressen

Gebruik de zoekbalk of klik op een perceel voor informatie over de adressen binnen dit perceel.
Locatie
Meten
Lagen
Download

Van der Doeslaan 4

2242PP, Wassenaar

1519312 Wat moet ik bieden voor deze woning?
481 m²
woonfunctie
2.550 m² perceeloppervlakte
A

Het adres Van der Doeslaan 4 bevindt zich in de plaats Wassenaar, in de gemeente Wassenaar en de provincie Zuid-Holland. Het object heeft een oppervlakte van 481 m², wat relatief groot is. Het perceel waarop het adres ligt is 2550 m² groot. De oppervlakte van dit adres is groot vergeleken met de oppervlaktes van andere adressen in de straat. De kleinste oppervlakte bedraagt er 134 m², de grootste 808 m². In het jaar 2009 is het pand waarin Van der Doeslaan 4 ligt gebouwd. Dat is relatief recent: de meeste gebouwen in Nederland zijn gebouwd in de periode 1965-1984. Vergeleken met de andere panden in de straat is dit gebouw nieuw. Het vroegste bouwjaar is er 1928 en het laatste is 2025. Het verblijfsobject heeft de volgende gebruiksdoelen: 'woonfunctie'.

Verkoopdata beschikbaar

Deze woning is voor het laatst verkocht op 1 april 2024. Meer informatie over deze transactie? Bestel het Woningtransactierapport om de verkoopprijs en andere informatie te zien.

Perceel

Het adres ligt op het perceel WSN01-B-6556, dat zich in de kadastrale gemeente Wassenaar bevindt. Het perceel is kleiner dan gemiddeld in Wassenaar. Het perceel is 2550 m² groot, terwijl het gemiddelde ligt op 4922,69 m². De grootste perceeloppervlakte in de kadastrale gemeente is 9,50 km². De kleinste oppervlakte bedraagt 0 m². Dit is het enige adres dat aanwezig is op het perceel. In de Basisregistratie Kadaster (BRK) werden de grenzen van het perceel geregistreerd op 28-01-2022.

Energielabel en status

Het adres ligt in een gebouw van het type 'vrijstaande woning'. Bij de laatste meting is voor het adres het energielabel A geregistreerd. Het hoogste energielabel in de straat is A+++; het laagste is G. Het gemiddelde energielabel is er B. Het adres Van der Doeslaan 4 heeft als status: 'verblijfsobject in gebruik'. Het pand waarin dit adres ligt heeft als status: 'pand in gebruik'.

Meer lezen

Adres

Gebruiksoppervlakte
481 m²
Bruto vloeroppervlakte
Q93Fjx4S H4srcBUpgrade naar KadastraleKaart Pro
Gebruiksdoel(en)
Woonfunctie
Status
Verblijfsobject in gebruik
Type
Vrijstaande woning
Gasloos
tGXOpXcPmTJyn8 XvUpgrade naar KadastraleKaart Pro
Gebeurtenissen
Appartementsrechten
Ykvnq3TF5VLj3Upgrade naar KadastraleKaart Pro
Eigenaar
Eigendomsinformatie 12,95
Adresinformatie bestellen
Adrespakket 34,95
VBO ID
0629010000030727
Woning laatst verkocht in
2024 -
Verkoopprijs opvragen 8,95

Pand

Bouwjaar pand
2009
Aantal adressen in dit gebouw
1 adres
Hoogte pand
tOX DG5kPHkpcR5Hy Upgrade naar KadastraleKaart Pro
Aantal bouwlagen (schatting)
mv6zGiRtThF4kLAfBBCCHGUpgrade naar KadastraleKaart Pro
Volume
FNfIZOqBgjddU PMJUpgrade naar KadastraleKaart Pro
Oppervlakte dak
IGDHQMjVdn2pIpChLgUpgrade naar KadastraleKaart Pro
Oppervlakte buitenmuur
NUaLiyXiTN2Ry9Upgrade naar KadastraleKaart Pro
Status pand
Pand in gebruik
Pand ID
0629100000020772

Perceel

Kadastrale aanduiding
Wassenaar B 6556 (WSN01 B 6556)
Oppervlakte
2.550 m²
Maatvoering
Kadastrale kaart met maatvoering 59,95
Omtrek
217 meter
Datum laatst gewijzigd
28/01/2022
Aantal adressen op perceel
1
Hoogte boven N.A.P.
ICNXJYEWmfS Tu6wM Upgrade naar KadastraleKaart Pro

Veelgestelde vragen

Van der Doeslaan 4 is een adres gelegen in de gemeente Wassenaar, provincie Zuid-Holland. Dit adres is geregistreerd in de Basisregistratie Adressen en Gebouwen (BAG) met als unieke identificatie 0629010000030727.

Het pand op Van der Doeslaan 4 is gebouwd in 2009, wat betekent dat het 17 jaar oud is. Dit is een relatief modern pand. Ten opzichte van de nationale woningvoorraad is het pand relatief modern, maar er kunnen enkele verouderde elementen zijn die aandacht nodig hebben.

De woning op Van der Doeslaan 4 heeft een gebruiksoppervlakte van 481 m². Dit is ruim vergeleken met de gemiddelde Nederlandse woning, die een oppervlakte heeft van ongeveer 119 m². De gebruiksoppervlakte is de maat die wordt gebruikt in de BAG-registratie, de landelijke registratie van de Nederlandse overheid.

Van der Doeslaan 4 heeft als functie: wonen. Deze gebruiksfunctie(s) zijn vastgelegd in de BAG-registratie en geven aan waarvoor het adres officieel mag worden gebruikt.

Van der Doeslaan 4 is gelegen op kadastraal perceel WSN01B6556. Deze kadastrale aanduiding is uniek en wordt gebruikt door het Kadaster om eigendomsrechten en andere zakelijke rechten vast te leggen. Het perceel maakt onderdeel uit van de kadastrale gemeente Wassenaar.

Het perceel waarop Van der Doeslaan 4 staat heeft een oppervlakte van 2550 m². Dit is een zeer groot perceel. De perceeloppervlakte wordt geregistreerd door het Kadaster. Gedetailleerde informatie over de maten van dit perceel kunt u vinden in het rapport Kadastrale kaart met maatvoering van Van der Doeslaan 4.

De eigenaar van Van der Doeslaan 4 is op te vragen op deze pagina.

De informatie over dit adres is afkomstig uit officiële overheidsregistraties, voornamelijk de Basisregistratie Adressen en Gebouwen (BAG) en de Basisregistratie Kadaster (BRK). Deze gegevens worden beheerd door respectievelijk gemeenten en het Kadaster, en worden regelmatig bijgewerkt. Energielabelgegevens komen uit de database van de Rijksdienst voor Ondernemend Nederland (RVO).

Maatvoeringsrapport

Wie is de eigenaar?

Bekijk de eigenaar van Van der Doeslaan 4 met de eigendomsinformatie.
Bekijk de eigenaar van dit adres.
Maatvoeringsrapport

Maatvoering van het perceel

Bestel de maatvoering voor Van der Doeslaan 4 met het maatvoeringsrapport.
Bestel de maatvoering voor dit adres.

360°-foto's van de omgeving

Google Street View
Upgrade nu voor 360° Street View foto's

Zon en schaduw rondom adres

Buurt
Rijksdorp met De Pan
Inwoners: 350
Woningen: 140
Wijk
Wijk 01 Noordoostelijk deel der gemeente
Inwoners: 20.000
Woningen: 9.048
Gemeente
Wassenaar
Inwoners: 27.100
Woningen: 12.262