
Het adres Erasmusweg 2014 bevindt zich in de plaats Wateringen, in de gemeente Wateringen en de provincie Zuid-Holland. De oppervlakte van het verblijfsobject is met 221 m² aan de grote kant. Het perceel heeft een oppervlakte van 6875 m². Het adres is klein vergeleken met andere objecten in de straat. Het grootste object in de straat heeft een oppervlakte van 1665 m², het kleinste is 132 m² groot. De gemiddelde bouwperiode van gebouwen in Nederland ligt tussen de jaren 1965-1984. Dat geldt ook voor het bouwjaar van Erasmusweg 2014: het is gebouwd in het jaar 1979. Dit object is relatief nieuw in de straat. Het nieuwste gebouw komt er uit het jaar 1988 en het oudste uit het jaar 1940. Voor het verblijfsobject gelden deze gebruiksdoelen: 'woonfunctie'.
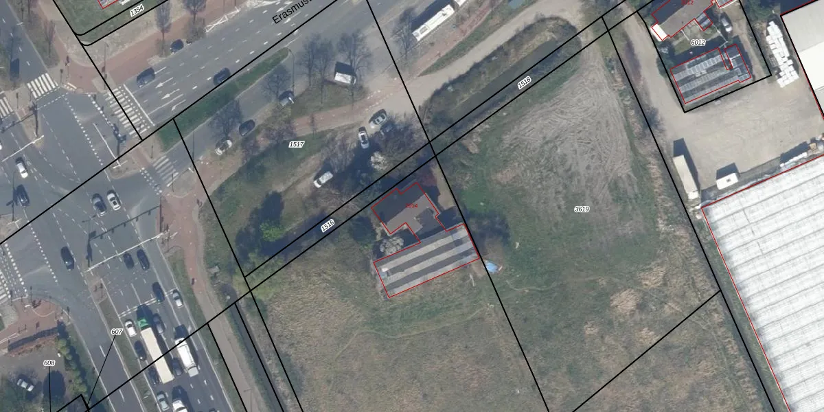
Het adres ligt op het perceel WTR00-A-4515, dat zich in de kadastrale gemeente Wateringen bevindt. Het perceel is met 6875 m² relatief groot. Het gemiddelde ligt in de kadastrale gemeente Wateringen op 1045,63 m². Het kleinste perceel in de kadastrale gemeente is 0 m² groot. De grootste perceeloppervlakte is 8,7 ha. Op het perceel bevinden zich geen andere adressen. In de Basisregistratie Kadaster (BRK) werden de grenzen van het perceel geregistreerd op 21-12-2006.
Er is geen energielabel geregistreerd voor het adres. Het hoogste energielabel in de straat is C; het laagste is G. Het gemiddelde energielabel is er C. Het adres Erasmusweg 2014 heeft als status: 'verblijfsobject in gebruik'. Het pand waarin dit adres ligt heeft als status: 'pand in gebruik'.
Erasmusweg 2014 is een adres gelegen in de gemeente Westland, provincie Zuid-Holland. Dit adres is geregistreerd in de Basisregistratie Adressen en Gebouwen (BAG) met als unieke identificatie 1783010000035540.
Het pand op Erasmusweg 2014 is gebouwd in 1979, wat betekent dat het 47 jaar oud is. Dit is een pand van middelbare leeftijd. Het pand is van gemiddelde leeftijd en zal waarschijnlijk verouderde elementen bevatten.
De woning op Erasmusweg 2014 heeft een gebruiksoppervlakte van 221 m². Dit is ruim vergeleken met de gemiddelde Nederlandse woning, die een oppervlakte heeft van ongeveer 119 m². De gebruiksoppervlakte is de maat die wordt gebruikt in de BAG-registratie, de landelijke registratie van de Nederlandse overheid.
Erasmusweg 2014 heeft als functie: wonen. Deze gebruiksfunctie(s) zijn vastgelegd in de BAG-registratie en geven aan waarvoor het adres officieel mag worden gebruikt.
Erasmusweg 2014 is gelegen op kadastraal perceel WTR00A4515. Deze kadastrale aanduiding is uniek en wordt gebruikt door het Kadaster om eigendomsrechten en andere zakelijke rechten vast te leggen. Het perceel maakt onderdeel uit van de kadastrale gemeente Wateringen.
Het perceel waarop Erasmusweg 2014 staat heeft een oppervlakte van 6875 m². Dit is een zeer groot perceel. De perceeloppervlakte wordt geregistreerd door het Kadaster. Gedetailleerde informatie over de maten van dit perceel kunt u vinden in het rapport Kadastrale kaart met maatvoering van Erasmusweg 2014.
De eigenaar van Erasmusweg 2014 is op te vragen op deze pagina.
De informatie over dit adres is afkomstig uit officiële overheidsregistraties, voornamelijk de Basisregistratie Adressen en Gebouwen (BAG) en de Basisregistratie Kadaster (BRK). Deze gegevens worden beheerd door respectievelijk gemeenten en het Kadaster, en worden regelmatig bijgewerkt. Energielabelgegevens komen uit de database van de Rijksdienst voor Ondernemend Nederland (RVO).
