
Graafschap Hornelaan 190 is gelegen in de plaats Weert, de gemeente Weert en de provincie Limburg. De oppervlakte van het verblijfsobject is met 160 m² aan de grote kant. Het perceel heeft een oppervlakte van 557 m². De oppervlakte van het adres is klein vergeleken met de andere objecten in de straat. De oppervlakte van het kleinste object in de straat bedraagt 4 m², terwijl het grootste object 9,2 ha groot is. Het pand waarin Graafschap Hornelaan 190 ligt is gebouwd in het jaar 1986. Panden die gebouwd zijn na het jaar 1984 noemen we hier relatief nieuw. Het nieuwste gebouw in de straat komt uit 2026 en het oudste uit 1900. Dit object is relatief oud. Het verblijfsobject heeft de volgende gebruiksdoelen: 'winkelfunctie'.
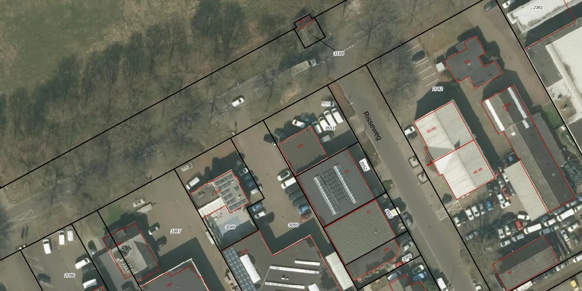
Het adres is gelegen op perceel 3551 in de sectie T en de kadastrale gemeente Weert. De kadastrale aanduiding is aldus WEE01-T-3551. Het perceel is kleiner dan gemiddeld in Weert. Het perceel is 557 m² groot, terwijl het gemiddelde ligt op 3764,43 m². Het kleinste perceel in de kadastrale gemeente is 0 m² groot. De grootste perceeloppervlakte is 3,08 km². Op het perceel bevinden zich geen andere adressen. De laatste wijziging in het de Basisregistratie Kadaster (BRK) was op 11-12-2012.
Er is geen energielabel geregistreerd voor het adres. Het hoogste energielabel in de straat is A+++++; het laagste is G. Het gemiddelde energielabel is er A. Het adres Graafschap Hornelaan 190 heeft als status: 'verblijfsobject in gebruik'. Het pand waarin dit adres ligt heeft als status: 'pand in gebruik'.
Graafschap Hornelaan 190 is een adres gelegen in de gemeente Weert, provincie Limburg. Dit adres is geregistreerd in de Basisregistratie Adressen en Gebouwen (BAG) met als unieke identificatie 0988010000061637.
Het pand op Graafschap Hornelaan 190 is gebouwd in 1986, wat betekent dat het 40 jaar oud is. Dit is een pand van middelbare leeftijd. Het pand is van gemiddelde leeftijd en zal waarschijnlijk verouderde elementen bevatten.
De woning op Graafschap Hornelaan 190 heeft een gebruiksoppervlakte van 160 m². Dit is ruim vergeleken met de gemiddelde Nederlandse woning, die een oppervlakte heeft van ongeveer 119 m². De gebruiksoppervlakte is de maat die wordt gebruikt in de BAG-registratie, de landelijke registratie van de Nederlandse overheid.
Graafschap Hornelaan 190 heeft als functie: winkel/handel. Deze gebruiksfunctie(s) zijn vastgelegd in de BAG-registratie en geven aan waarvoor het adres officieel mag worden gebruikt.
Graafschap Hornelaan 190 is gelegen op kadastraal perceel WEE01T3551. Deze kadastrale aanduiding is uniek en wordt gebruikt door het Kadaster om eigendomsrechten en andere zakelijke rechten vast te leggen. Het perceel maakt onderdeel uit van de kadastrale gemeente Weert.
Het perceel waarop Graafschap Hornelaan 190 staat heeft een oppervlakte van 557 m². Dit is een groot perceel. De perceeloppervlakte wordt geregistreerd door het Kadaster. Gedetailleerde informatie over de maten van dit perceel kunt u vinden in het rapport Kadastrale kaart met maatvoering van Graafschap Hornelaan 190.
De eigenaar van Graafschap Hornelaan 190 is op te vragen op deze pagina.
De informatie over dit adres is afkomstig uit officiële overheidsregistraties, voornamelijk de Basisregistratie Adressen en Gebouwen (BAG) en de Basisregistratie Kadaster (BRK). Deze gegevens worden beheerd door respectievelijk gemeenten en het Kadaster, en worden regelmatig bijgewerkt. Energielabelgegevens komen uit de database van de Rijksdienst voor Ondernemend Nederland (RVO).
