
Het adres Dammerweg 1-d bevindt zich in de plaats Weesp, in de gemeente Weesp en de provincie Noord-Holland. De oppervlakte van het adres is 150 m². Dat is vergelijkbaar met het gemiddelde Nederlandse oppervlakte van 119 m². De oppervlakte van het perceel waarin het adres ligt is 3937 m². Het object is klein ten opzichte van de andere adressen in de straat. Het grootste verblijfsobject is 777 m² groot en het kleinste is 21 m². Dammerweg 1-d ligt in een gebouw uit het jaar 2012. Daarmee behoort het tot de groep panden van na 1984, die we als relatief nieuw bestempelen. Dit object is relatief nieuw in de straat. Het nieuwste gebouw komt er uit het jaar 2016 en het oudste uit het jaar 1650. Voor het verblijfsobject gelden deze gebruiksdoelen: 'bijeenkomstfunctie'.
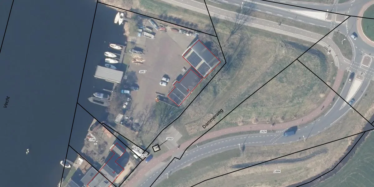
Het perceel waarop het adres ligt is WEE02-H-1857. De afkorting 'WEE02' staat voor kadastrale gemeente Weesp. Het perceel is met 3937 m² relatief groot. Het gemiddelde ligt in de kadastrale gemeente Weesp op 2519,63 m². Het grootste perceel in de kadastrale gemeente is 27,8 ha. Het kleinste perceel heeft een oppervlakte van 0 m². Op het perceel bevinden zich geen andere adressen. In de Basisregistratie Kadaster (BRK) werden de grenzen van het perceel geregistreerd op 02-05-2024.
Er is geen energielabel geregistreerd voor het adres. Het hoogste energielabel in de straat is C; het laagste is G. Het gemiddelde energielabel is er D. Het adres Dammerweg 1-d heeft als status: 'verblijfsobject in gebruik'. Het pand waarin dit adres ligt heeft als status: 'pand in gebruik'.
Dammerweg 1-d is een adres gelegen in de gemeente Amsterdam, provincie Noord-Holland. Dit adres is geregistreerd in de Basisregistratie Adressen en Gebouwen (BAG) met als unieke identificatie 0457010000059829.
Het pand op Dammerweg 1-d is gebouwd in 2012, wat betekent dat het 14 jaar oud is. Dit is een relatief modern pand. Ten opzichte van de nationale woningvoorraad is het pand relatief modern, maar er kunnen enkele verouderde elementen zijn die aandacht nodig hebben.
De woning op Dammerweg 1-d heeft een gebruiksoppervlakte van 150 m². Dit is ruim vergeleken met de gemiddelde Nederlandse woning, die een oppervlakte heeft van ongeveer 119 m². De gebruiksoppervlakte is de maat die wordt gebruikt in de BAG-registratie, de landelijke registratie van de Nederlandse overheid.
Dammerweg 1-d heeft als functie: bijeenkomsten. Deze gebruiksfunctie(s) zijn vastgelegd in de BAG-registratie en geven aan waarvoor het adres officieel mag worden gebruikt.
Dammerweg 1-d is gelegen op kadastraal perceel WEE02H1857. Deze kadastrale aanduiding is uniek en wordt gebruikt door het Kadaster om eigendomsrechten en andere zakelijke rechten vast te leggen. Het perceel maakt onderdeel uit van de kadastrale gemeente Weesp.
Het perceel waarop Dammerweg 1-d staat heeft een oppervlakte van 3937 m². Dit is een zeer groot perceel. De perceeloppervlakte wordt geregistreerd door het Kadaster. Gedetailleerde informatie over de maten van dit perceel kunt u vinden in het rapport Kadastrale kaart met maatvoering van Dammerweg 1-d.
De eigenaar van Dammerweg 1-d is op te vragen op deze pagina.
De informatie over dit adres is afkomstig uit officiële overheidsregistraties, voornamelijk de Basisregistratie Adressen en Gebouwen (BAG) en de Basisregistratie Kadaster (BRK). Deze gegevens worden beheerd door respectievelijk gemeenten en het Kadaster, en worden regelmatig bijgewerkt. Energielabelgegevens komen uit de database van de Rijksdienst voor Ondernemend Nederland (RVO).
