
Keppelseweg 33-C-03 is gelegen in de plaats Wehl, de gemeente Doetinchem en de provincie Gelderland. De oppervlakte van het object bedraagt 85 m². Dat is klein vergeleken met het Nederlandse gemiddelde. Het perceel waarop het adres ligt is 1273 m² groot. Het adres is klein vergeleken met andere objecten in de straat. Het grootste object in de straat heeft een oppervlakte van 3186 m², het kleinste is 30 m² groot. In het jaar 2026 is het pand waarin Keppelseweg 33-C-03 ligt gebouwd. Dat is relatief recent: de meeste gebouwen in Nederland zijn gebouwd in de periode 1965-1984. In de straat is dit het nieuwste pand en stamt het oudste object uit het jaar 1735. Het gemiddelde bouwjaar in de straat is 1973. De volgende gebruiksdoelen zijn geregistreerd voor dit adres: 'woonfunctie'.
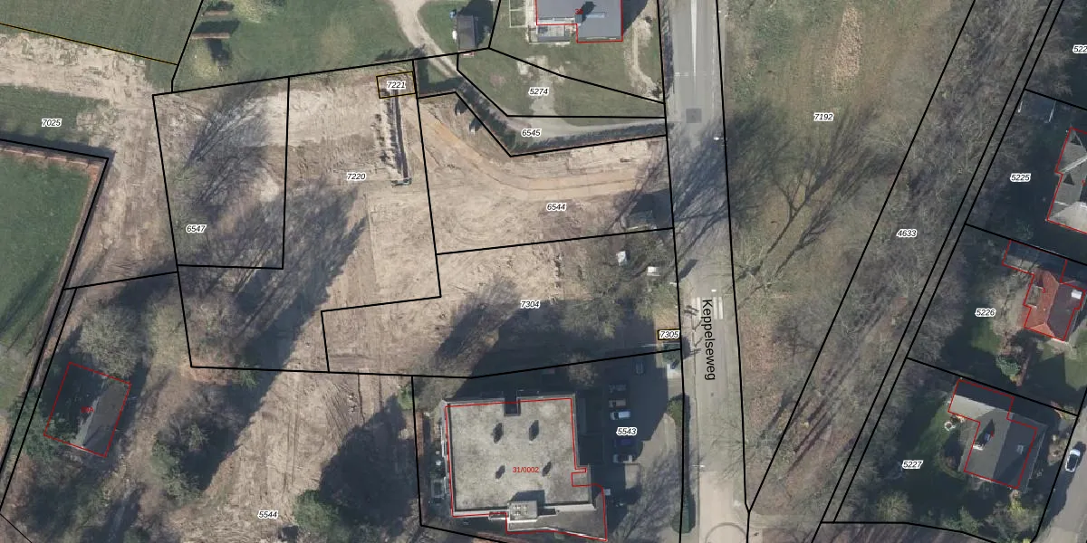
Het adres ligt op het perceel WEH00-H-7304, dat zich in de kadastrale gemeente Wehl bevindt. Het perceel is 1273 m² groot. Dat is kleiner dan de gemiddelde perceeloppervlakte in Wehl, dat op 4397,74 m² ligt. De grootste perceeloppervlakte in de kadastrale gemeente is 20,1 ha. De kleinste oppervlakte bedraagt 1 m². Op het perceel zijn 20 adressen aanwezig. De laatste wijziging in het de Basisregistratie Kadaster (BRK) was op 09-02-2026.
Er is geen energielabel geregistreerd voor het adres. Het hoogste energielabel in de straat is A; het laagste is G. Het gemiddelde energielabel is er B. Het adres Keppelseweg 33-C-03 heeft als status: 'verblijfsobject gevormd'. Het pand waarin dit adres ligt heeft als status: 'bouw gestart'.
Keppelseweg 33-C-03 is een adres gelegen in de gemeente Doetinchem, provincie Gelderland. Dit adres is geregistreerd in de Basisregistratie Adressen en Gebouwen (BAG) met als unieke identificatie 0222010000693606.
Het pand op Keppelseweg 33-C-03 is gebouwd in 2026, wat betekent dat het 0 jaar oud is. Dit is een vrij nieuw pand. Het pand is dus waarschijnlijk goed geïsoleerd, geluidsdicht en voldoet aan de huidige bouwstandaarden. Op korte termijn zijn er waarschijnlijk weinig onderhoudskosten.
De woning op Keppelseweg 33-C-03 heeft een gebruiksoppervlakte van 85 m². Dit is onder het gemiddelde vergeleken met de gemiddelde Nederlandse woning, die een oppervlakte heeft van ongeveer 119 m². De gebruiksoppervlakte is de maat die wordt gebruikt in de BAG-registratie, de landelijke registratie van de Nederlandse overheid.
Keppelseweg 33-C-03 heeft als functie: wonen. Deze gebruiksfunctie(s) zijn vastgelegd in de BAG-registratie en geven aan waarvoor het adres officieel mag worden gebruikt.
Keppelseweg 33-C-03 is gelegen op kadastraal perceel WEH00H7304. Deze kadastrale aanduiding is uniek en wordt gebruikt door het Kadaster om eigendomsrechten en andere zakelijke rechten vast te leggen. Het perceel maakt onderdeel uit van de kadastrale gemeente Wehl.
Het perceel waarop Keppelseweg 33-C-03 staat heeft een oppervlakte van 1273 m². Dit is een zeer groot perceel. De perceeloppervlakte wordt geregistreerd door het Kadaster. Gedetailleerde informatie over de maten van dit perceel kunt u vinden in het rapport Kadastrale kaart met maatvoering van Keppelseweg 33-C-03.
De eigenaar van Keppelseweg 33-C-03 is op te vragen op deze pagina.
De informatie over dit adres is afkomstig uit officiële overheidsregistraties, voornamelijk de Basisregistratie Adressen en Gebouwen (BAG) en de Basisregistratie Kadaster (BRK). Deze gegevens worden beheerd door respectievelijk gemeenten en het Kadaster, en worden regelmatig bijgewerkt. Energielabelgegevens komen uit de database van de Rijksdienst voor Ondernemend Nederland (RVO).
