
Vijfsprongweg 7-A is gelegen in de plaats Wekerom, de gemeente Ede en de provincie Gelderland. De oppervlakte van het verblijfsobject is met 294 m² aan de grote kant. Het perceel heeft een oppervlakte van 1000 m². Vergeleken met de andere verblijfsobjecten in de straat is dit object groot. De oppervlakte van het grootste object in de straat is 793 m², die van het kleinste bedraagt 25 m². Het pand waarin Vijfsprongweg 7-A ligt is gebouwd in het jaar 2007. Panden die gebouwd zijn na het jaar 1984 noemen we hier relatief nieuw. Dit object is relatief nieuw in de straat. Het nieuwste gebouw komt er uit het jaar 2023 en het oudste uit het jaar 1900. Het verblijfsobject heeft de volgende gebruiksdoelen: 'woonfunctie' en 'industriefunctie'.
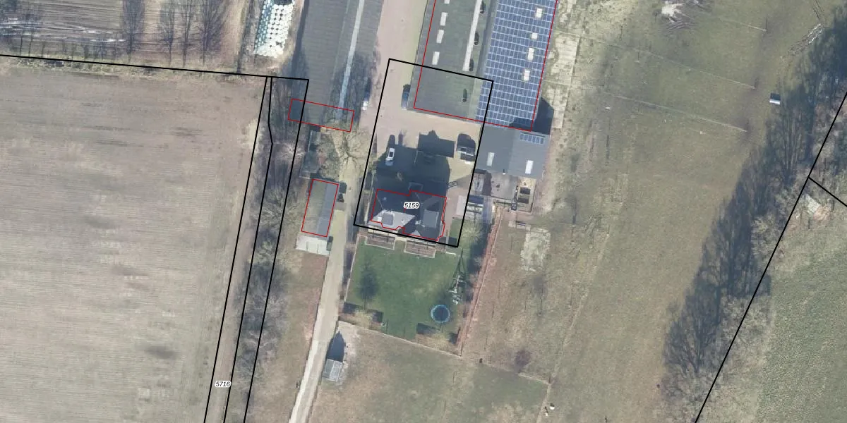
Het adres is gelegen op perceel 5159 in de sectie B en de kadastrale gemeente Ede. De kadastrale aanduiding is aldus EDE01-B-5159. Het perceel is kleiner dan gemiddeld in Ede. Het perceel is 1000 m² groot, terwijl het gemiddelde ligt op 2764,86 m². Het kleinste perceel in de kadastrale gemeente is 0 m² groot. De grootste perceeloppervlakte is 2,10 km². Op het perceel liggen in totaal 2 adressen. De laatste wijziging in het de Basisregistratie Kadaster (BRK) was op 22-08-2005.
Er is geen energielabel geregistreerd voor het adres. Het hoogste energielabel in de straat is A; het laagste is G. Het gemiddelde energielabel is er B. Het adres Vijfsprongweg 7-A heeft als status: 'verblijfsobject in gebruik'. Het pand waarin dit adres ligt heeft als status: 'pand in gebruik'.
Vijfsprongweg 7-A is een adres gelegen in de gemeente Ede, provincie Gelderland. Dit adres is geregistreerd in de Basisregistratie Adressen en Gebouwen (BAG) met als unieke identificatie 0228010000058257.
Het pand op Vijfsprongweg 7-A is gebouwd in 2007, wat betekent dat het 19 jaar oud is. Dit is een relatief modern pand. Ten opzichte van de nationale woningvoorraad is het pand relatief modern, maar er kunnen enkele verouderde elementen zijn die aandacht nodig hebben.
De woning op Vijfsprongweg 7-A heeft een gebruiksoppervlakte van 294 m². Dit is ruim vergeleken met de gemiddelde Nederlandse woning, die een oppervlakte heeft van ongeveer 119 m². De gebruiksoppervlakte is de maat die wordt gebruikt in de BAG-registratie, de landelijke registratie van de Nederlandse overheid.
Vijfsprongweg 7-A heeft als functie: wonen en industrie. Deze gebruiksfunctie(s) zijn vastgelegd in de BAG-registratie en geven aan waarvoor het adres officieel mag worden gebruikt.
Vijfsprongweg 7-A is gelegen op kadastraal perceel EDE01B5159. Deze kadastrale aanduiding is uniek en wordt gebruikt door het Kadaster om eigendomsrechten en andere zakelijke rechten vast te leggen. Het perceel maakt onderdeel uit van de kadastrale gemeente Ede.
Het perceel waarop Vijfsprongweg 7-A staat heeft een oppervlakte van 1000 m². Dit is een zeer groot perceel. De perceeloppervlakte wordt geregistreerd door het Kadaster. Gedetailleerde informatie over de maten van dit perceel kunt u vinden in het rapport Kadastrale kaart met maatvoering van Vijfsprongweg 7-A.
De eigenaar van Vijfsprongweg 7-A is op te vragen op deze pagina.
De informatie over dit adres is afkomstig uit officiële overheidsregistraties, voornamelijk de Basisregistratie Adressen en Gebouwen (BAG) en de Basisregistratie Kadaster (BRK). Deze gegevens worden beheerd door respectievelijk gemeenten en het Kadaster, en worden regelmatig bijgewerkt. Energielabelgegevens komen uit de database van de Rijksdienst voor Ondernemend Nederland (RVO).
