
Het adres Elburgerweg 26 bevindt zich in de plaats Wenum Wiesel, in de gemeente Wenum Wiesel en de provincie Gelderland. De oppervlakte van het verblijfsobject is met 177 m² aan de grote kant. Het perceel heeft een oppervlakte van 2803 m². Het object is klein ten opzichte van de andere adressen in de straat. Het grootste verblijfsobject is 1690 m² groot en het kleinste is 62 m². Elburgerweg 26 bevindt zich in een pand uit het jaar 1919. Daarmee behoort het tot de groep relatief oude panden in Nederland die gebouwd zijn vóór 1965. Gemiddeld zijn de gebouwen in de straat gebouwd in 1959. Dit is het oudste pand in de straat. Het meest recente komt uit het jaar 2021. Voor het verblijfsobject gelden deze gebruiksdoelen: 'woonfunctie'.
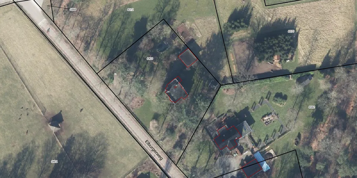
Het perceel waarop het adres ligt is APD01-D-6403. De afkorting 'APD01' staat voor kadastrale gemeente Apeldoorn. De gemiddelde perceelgrootte in Apeldoorn is 3522,41 m². Dit perceel is kleiner: de perceeloppervlakte bedraagt 2803 m². Het grootste perceel in de kadastrale gemeente is 4,54 km². Het kleinste perceel heeft een oppervlakte van 0 m². Op het perceel bevinden zich geen andere adressen. In de Basisregistratie Kadaster (BRK) werden de grenzen van het perceel geregistreerd op 04-08-1999.
Er is geen energielabel geregistreerd voor het adres. Het hoogste energielabel in de straat is B; het laagste is G. Het gemiddelde energielabel is er D. Het adres Elburgerweg 26 heeft als status: 'verblijfsobject in gebruik'. Het pand waarin dit adres ligt heeft als status: 'pand in gebruik'.
Elburgerweg 26 is een adres gelegen in de gemeente Apeldoorn, provincie Gelderland. Dit adres is geregistreerd in de Basisregistratie Adressen en Gebouwen (BAG) met als unieke identificatie 0200010000059953.
Het pand op Elburgerweg 26 is gebouwd in 1919, wat betekent dat het 107 jaar oud is. Dit is een ouder pand. Het pand heeft mogelijk aanzienlijke renovaties nodig om aan de huidige standaarden te voldoen.
De woning op Elburgerweg 26 heeft een gebruiksoppervlakte van 177 m². Dit is ruim vergeleken met de gemiddelde Nederlandse woning, die een oppervlakte heeft van ongeveer 119 m². De gebruiksoppervlakte is de maat die wordt gebruikt in de BAG-registratie, de landelijke registratie van de Nederlandse overheid.
Elburgerweg 26 heeft als functie: wonen. Deze gebruiksfunctie(s) zijn vastgelegd in de BAG-registratie en geven aan waarvoor het adres officieel mag worden gebruikt.
Elburgerweg 26 is gelegen op kadastraal perceel APD01D6403. Deze kadastrale aanduiding is uniek en wordt gebruikt door het Kadaster om eigendomsrechten en andere zakelijke rechten vast te leggen. Het perceel maakt onderdeel uit van de kadastrale gemeente Apeldoorn.
Het perceel waarop Elburgerweg 26 staat heeft een oppervlakte van 2803 m². Dit is een zeer groot perceel. De perceeloppervlakte wordt geregistreerd door het Kadaster. Gedetailleerde informatie over de maten van dit perceel kunt u vinden in het rapport Kadastrale kaart met maatvoering van Elburgerweg 26.
De eigenaar van Elburgerweg 26 is op te vragen op deze pagina.
De informatie over dit adres is afkomstig uit officiële overheidsregistraties, voornamelijk de Basisregistratie Adressen en Gebouwen (BAG) en de Basisregistratie Kadaster (BRK). Deze gegevens worden beheerd door respectievelijk gemeenten en het Kadaster, en worden regelmatig bijgewerkt. Energielabelgegevens komen uit de database van de Rijksdienst voor Ondernemend Nederland (RVO).
