
Het adres Schupperijweg 30 bevindt zich in de plaats Wenum Wiesel, in de gemeente Wenum Wiesel en de provincie Gelderland. De oppervlakte bedraagt 478 m², waarmee het adres groter dan gemiddeld is. De grootte van het perceel waarop het adres ligt is 1212 m². Dit is het grootste verblijfsobject. Gemiddeld hebben de objecten in de straat een oppervlakte van 175 m². Het kleinste verblijfsobject is er 10 m². Het pand waarin Schupperijweg 30 ligt is gebouwd in het jaar 2008. Panden die gebouwd zijn na het jaar 1984 noemen we hier relatief nieuw. Veel andere gebouwen in de straat zijn ouder dan dit pand. Het oudste pand komt uit het jaar 1907 en het nieuwste uit 2017. Het verblijfsobject heeft de volgende gebruiksdoelen: 'woonfunctie'.
Deze woning is voor het laatst verkocht op 1 juli 2018. Meer informatie over deze transactie? Bestel het Woningtransactierapport om de verkoopprijs en andere informatie te zien.
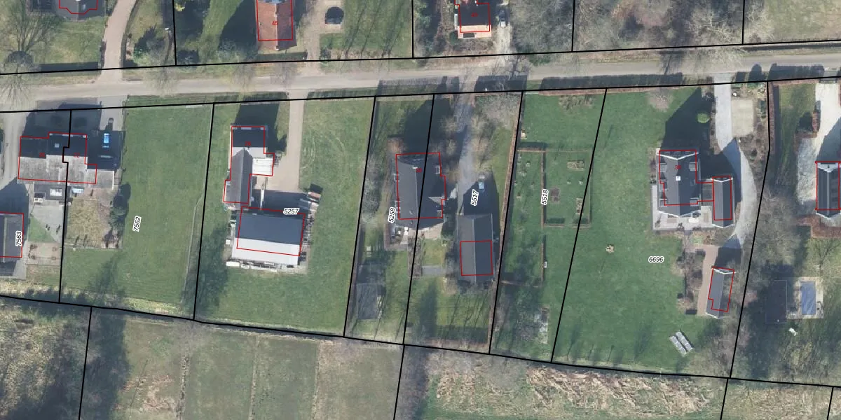
Het adres is gelegen op perceel 5517 in de sectie D en de kadastrale gemeente Apeldoorn. De kadastrale aanduiding is aldus APD01-D-5517. Het perceel is kleiner dan gemiddeld in Apeldoorn. Het perceel is 1212 m² groot, terwijl het gemiddelde ligt op 3523,22 m². Het kleinste perceel in de kadastrale gemeente is 0 m² groot. De grootste perceeloppervlakte is 4,54 km². Er zijn geen andere adressen aanwezig op het perceel. In de Basisregistratie Kadaster (BRK) werden de grenzen van het perceel geregistreerd op 12-08-1999.
Het adres ligt in een gebouw van het type 'vrijstaande woning'. Bij de laatste meting is voor het adres het energielabel A geregistreerd. Het hoogste energielabel in de straat is A+++; het laagste is G. Het gemiddelde energielabel is er B. Het adres Schupperijweg 30 heeft als status: 'verblijfsobject in gebruik'. Het pand waarin dit adres ligt heeft als status: 'pand in gebruik'.
Schupperijweg 30 is een adres gelegen in de gemeente Apeldoorn, provincie Gelderland. Dit adres is geregistreerd in de Basisregistratie Adressen en Gebouwen (BAG) met als unieke identificatie 0200010000186969.
Het pand op Schupperijweg 30 is gebouwd in 2008, wat betekent dat het 18 jaar oud is. Dit is een relatief modern pand. Ten opzichte van de nationale woningvoorraad is het pand relatief modern, maar er kunnen enkele verouderde elementen zijn die aandacht nodig hebben.
De woning op Schupperijweg 30 heeft een gebruiksoppervlakte van 478 m². Dit is ruim vergeleken met de gemiddelde Nederlandse woning, die een oppervlakte heeft van ongeveer 119 m². De gebruiksoppervlakte is de maat die wordt gebruikt in de BAG-registratie, de landelijke registratie van de Nederlandse overheid.
Schupperijweg 30 heeft als functie: wonen. Deze gebruiksfunctie(s) zijn vastgelegd in de BAG-registratie en geven aan waarvoor het adres officieel mag worden gebruikt.
Schupperijweg 30 is gelegen op kadastraal perceel APD01D5517. Deze kadastrale aanduiding is uniek en wordt gebruikt door het Kadaster om eigendomsrechten en andere zakelijke rechten vast te leggen. Het perceel maakt onderdeel uit van de kadastrale gemeente Apeldoorn.
Het perceel waarop Schupperijweg 30 staat heeft een oppervlakte van 1212 m². Dit is een zeer groot perceel. De perceeloppervlakte wordt geregistreerd door het Kadaster. Gedetailleerde informatie over de maten van dit perceel kunt u vinden in het rapport Kadastrale kaart met maatvoering van Schupperijweg 30.
De eigenaar van Schupperijweg 30 is op te vragen op deze pagina.
De informatie over dit adres is afkomstig uit officiële overheidsregistraties, voornamelijk de Basisregistratie Adressen en Gebouwen (BAG) en de Basisregistratie Kadaster (BRK). Deze gegevens worden beheerd door respectievelijk gemeenten en het Kadaster, en worden regelmatig bijgewerkt. Energielabelgegevens komen uit de database van de Rijksdienst voor Ondernemend Nederland (RVO).
