
Wieselse Kampweg 9 is een adres in Wenum Wiesel, dat zich bevindt binnen de gemeentegrenzen van Wenum Wiesel en de grenzen van de provincie Gelderland. Het object heeft een oppervlakte van 228 m², wat relatief groot is. Het perceel waarop het adres ligt is 940 m² groot. Vergeleken met de andere verblijfsobjecten in de straat is dit object groot. De oppervlakte van het grootste object in de straat is 1490 m², die van het kleinste bedraagt 23 m². Het adres Wieselse Kampweg 9 ligt in een relatief oud pand uit het jaar 1936. Panden van vóór het jaar 1965 hebben we hier geclassificeerd als oud. Het bouwjaar is oud vergeleken met dat van de andere panden in de straat. Het oudste bouwjaar is er 1900 en de nieuwste is 2025. Voor het verblijfsobject gelden deze gebruiksdoelen: 'woonfunctie'.
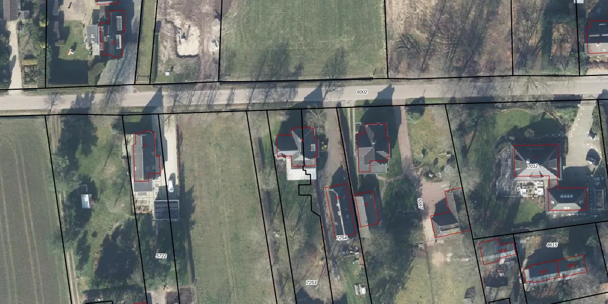
Het adres is gelegen op perceel 7254 in de sectie D en de kadastrale gemeente Apeldoorn. De kadastrale aanduiding is aldus APD01-D-7254. De gemiddelde perceelgrootte in Apeldoorn is 3523,22 m². Dit perceel is kleiner: de perceeloppervlakte bedraagt 940 m². De grootste perceeloppervlakte in de kadastrale gemeente is 4,54 km². De kleinste oppervlakte bedraagt 0 m². Er zijn 2 adressen aanwezig op het perceel. De huidige grenzen van het perceel zijn digitaal in de Basisregistratie Kadaster (BRK) geregistreerd op 03-08-1999.
Het adres ligt in een gebouw van het type 'vrijstaande woning'. Bij de laatste meting is voor het adres het energielabel F geregistreerd. Het hoogste energielabel in de straat is A; het laagste is G. Het gemiddelde energielabel is er C. Het adres Wieselse Kampweg 9 heeft als status: 'verblijfsobject in gebruik'. Het pand waarin dit adres ligt heeft als status: 'pand in gebruik'.
Wieselse Kampweg 9 is een adres gelegen in de gemeente Apeldoorn, provincie Gelderland. Dit adres is geregistreerd in de Basisregistratie Adressen en Gebouwen (BAG) met als unieke identificatie 0200010000222608.
Het pand op Wieselse Kampweg 9 is gebouwd in 1936, wat betekent dat het 90 jaar oud is. Dit is een ouder pand. Het pand heeft mogelijk aanzienlijke renovaties nodig om aan de huidige standaarden te voldoen.
De woning op Wieselse Kampweg 9 heeft een gebruiksoppervlakte van 228 m². Dit is ruim vergeleken met de gemiddelde Nederlandse woning, die een oppervlakte heeft van ongeveer 119 m². De gebruiksoppervlakte is de maat die wordt gebruikt in de BAG-registratie, de landelijke registratie van de Nederlandse overheid.
Wieselse Kampweg 9 heeft als functie: wonen. Deze gebruiksfunctie(s) zijn vastgelegd in de BAG-registratie en geven aan waarvoor het adres officieel mag worden gebruikt.
Wieselse Kampweg 9 is gelegen op kadastraal perceel APD01D7254. Deze kadastrale aanduiding is uniek en wordt gebruikt door het Kadaster om eigendomsrechten en andere zakelijke rechten vast te leggen. Het perceel maakt onderdeel uit van de kadastrale gemeente Apeldoorn.
Het perceel waarop Wieselse Kampweg 9 staat heeft een oppervlakte van 940 m². Dit is een groot perceel. De perceeloppervlakte wordt geregistreerd door het Kadaster. Gedetailleerde informatie over de maten van dit perceel kunt u vinden in het rapport Kadastrale kaart met maatvoering van Wieselse Kampweg 9.
De eigenaar van Wieselse Kampweg 9 is op te vragen op deze pagina.
De informatie over dit adres is afkomstig uit officiële overheidsregistraties, voornamelijk de Basisregistratie Adressen en Gebouwen (BAG) en de Basisregistratie Kadaster (BRK). Deze gegevens worden beheerd door respectievelijk gemeenten en het Kadaster, en worden regelmatig bijgewerkt. Energielabelgegevens komen uit de database van de Rijksdienst voor Ondernemend Nederland (RVO).
