
Het adres Kloosterlaan 6 bevindt zich in de plaats Wessem, in de gemeente Wessem en de provincie Limburg. Het object heeft een oppervlakte van 488 m², wat relatief groot is. Het perceel waarop het adres ligt is 1898 m² groot. Vergeleken met de andere verblijfsobjecten in de straat is dit object groot. De oppervlakte van het grootste object in de straat is 2544 m², die van het kleinste bedraagt 4 m². In Nederland komt het grootste deel van de gebouwen uit de periode 1965-1984. Ook het bouwjaar van Kloosterlaan 6 is afkomstig uit die periode: het betreft namelijk een pand uit 1970. Het bouwjaar is oud vergeleken met dat van de andere panden in de straat. Het oudste bouwjaar is er 1800 en de nieuwste is 1993. Het verblijfsobject heeft de volgende gebruiksdoelen: 'bijeenkomstfunctie'.
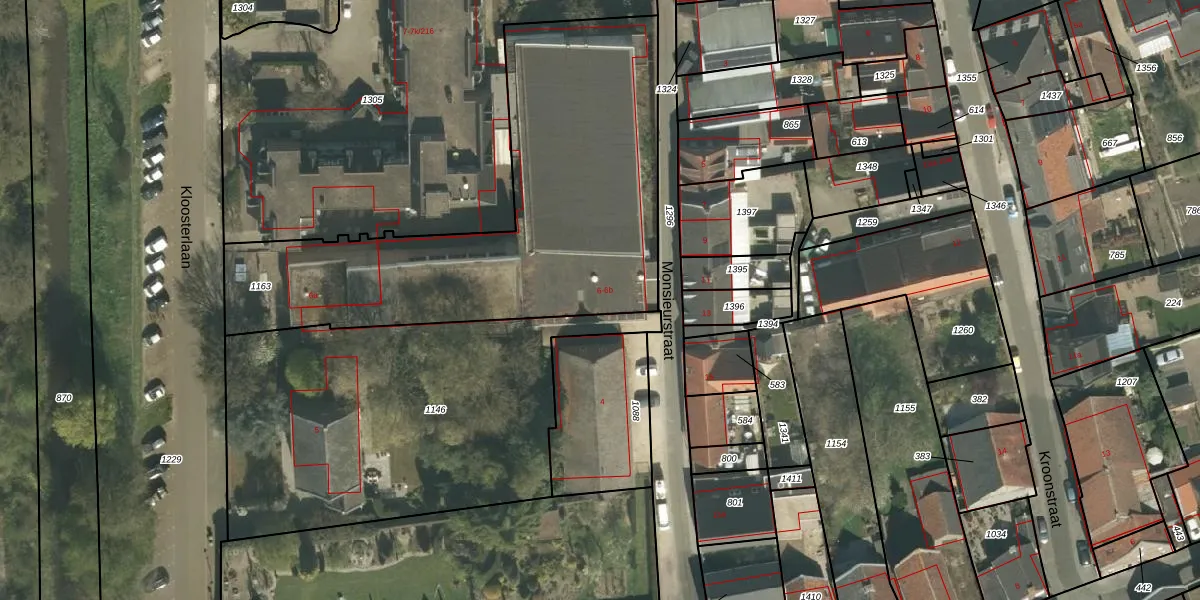
Het adres is gelegen op perceel 1163 in de sectie B en de kadastrale gemeente Wessem. De kadastrale aanduiding is aldus WSM01-B-1163. Het perceel is kleiner dan gemiddeld in Wessem. Het perceel is 1898 m² groot, terwijl het gemiddelde ligt op 3171,93 m². Het grootste perceel in de kadastrale gemeente is 76,2 ha. Het kleinste perceel heeft een oppervlakte van 0 m². Er zijn 3 adressen aanwezig op het perceel. In de Basisregistratie Kadaster (BRK) werden de grenzen van het perceel geregistreerd op 05-11-2007.
Er is geen energielabel geregistreerd voor het adres. Het hoogste energielabel in de straat is A; het laagste is G. Het gemiddelde energielabel is er A. Het adres Kloosterlaan 6 heeft als status: 'verblijfsobject in gebruik'. Het pand waarin dit adres ligt heeft als status: 'verbouwing pand'.
Kloosterlaan 6 is een adres gelegen in de gemeente Maasgouw, provincie Limburg. Dit adres is geregistreerd in de Basisregistratie Adressen en Gebouwen (BAG) met als unieke identificatie 1641010001113644.
Het pand op Kloosterlaan 6 is gebouwd in 1970, wat betekent dat het 56 jaar oud is. Dit is een ouder pand. Het pand heeft mogelijk aanzienlijke renovaties nodig om aan de huidige standaarden te voldoen.
De woning op Kloosterlaan 6 heeft een gebruiksoppervlakte van 488 m². Dit is ruim vergeleken met de gemiddelde Nederlandse woning, die een oppervlakte heeft van ongeveer 119 m². De gebruiksoppervlakte is de maat die wordt gebruikt in de BAG-registratie, de landelijke registratie van de Nederlandse overheid.
Kloosterlaan 6 heeft als functie: bijeenkomsten. Deze gebruiksfunctie(s) zijn vastgelegd in de BAG-registratie en geven aan waarvoor het adres officieel mag worden gebruikt.
Kloosterlaan 6 is gelegen op kadastraal perceel WSM01B1163. Deze kadastrale aanduiding is uniek en wordt gebruikt door het Kadaster om eigendomsrechten en andere zakelijke rechten vast te leggen. Het perceel maakt onderdeel uit van de kadastrale gemeente Wessem.
Het perceel waarop Kloosterlaan 6 staat heeft een oppervlakte van 1898 m². Dit is een zeer groot perceel. De perceeloppervlakte wordt geregistreerd door het Kadaster. Gedetailleerde informatie over de maten van dit perceel kunt u vinden in het rapport Kadastrale kaart met maatvoering van Kloosterlaan 6.
De eigenaar van Kloosterlaan 6 is op te vragen op deze pagina.
De informatie over dit adres is afkomstig uit officiële overheidsregistraties, voornamelijk de Basisregistratie Adressen en Gebouwen (BAG) en de Basisregistratie Kadaster (BRK). Deze gegevens worden beheerd door respectievelijk gemeenten en het Kadaster, en worden regelmatig bijgewerkt. Energielabelgegevens komen uit de database van de Rijksdienst voor Ondernemend Nederland (RVO).
