
Het adres Kloosterlaan 7-k-2 bevindt zich in de plaats Wessem, in de gemeente Wessem en de provincie Limburg. Het perceel waarop het adres gelegen is heeft een oppervlakte van 2740 m². Het verblijfsobject is met 26 m² relatief klein. De oppervlakte van het adres is klein vergeleken met de andere objecten in de straat. De oppervlakte van het kleinste object in de straat bedraagt 4 m², terwijl het grootste object 2544 m² groot is. Kloosterlaan 7-k-2 ligt in een gebouw uit het jaar 1991. Daarmee behoort het tot de groep panden van na 1984, die we als relatief nieuw bestempelen. Vergeleken met de andere panden in de straat is dit gebouw nieuw. Het vroegste bouwjaar is er 1800 en het laatste is 1993. Het verblijfsobject heeft de volgende gebruiksdoelen: 'gezondheidszorgfunctie'.
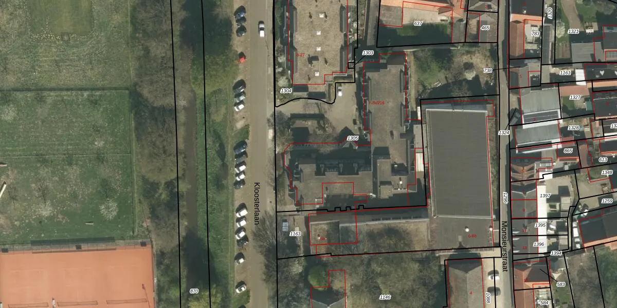
Het adres is gelegen op perceel 1305 in de sectie B en de kadastrale gemeente Wessem. De kadastrale aanduiding is aldus WSM01-B-1305. Het perceel is kleiner dan gemiddeld in Wessem. Het perceel is 2740 m² groot, terwijl het gemiddelde ligt op 3171,93 m². Het grootste perceel in de kadastrale gemeente is 76,2 ha. Het kleinste perceel heeft een oppervlakte van 0 m². Er zijn 46 adressen aanwezig op het perceel. In de Basisregistratie Kadaster (BRK) werden de grenzen van het perceel geregistreerd op 14-01-2008.
Er is geen energielabel geregistreerd voor het adres. Het hoogste energielabel in de straat is A; het laagste is G. Het gemiddelde energielabel is er A. Het adres Kloosterlaan 7-k-2 heeft als status: 'verblijfsobject in gebruik'. Het pand waarin dit adres ligt heeft als status: 'sloopvergunning verleend'.
Kloosterlaan 7-k-2 is een adres gelegen in de gemeente Maasgouw, provincie Limburg. Dit adres is geregistreerd in de Basisregistratie Adressen en Gebouwen (BAG) met als unieke identificatie 1641010001119639.
Het pand op Kloosterlaan 7-k-2 is gebouwd in 1991, wat betekent dat het 35 jaar oud is. Dit is een pand van middelbare leeftijd. Het pand is van gemiddelde leeftijd en zal waarschijnlijk verouderde elementen bevatten.
De woning op Kloosterlaan 7-k-2 heeft een gebruiksoppervlakte van 26 m². Dit is relatief klein vergeleken met de gemiddelde Nederlandse woning, die een oppervlakte heeft van ongeveer 119 m². De gebruiksoppervlakte is de maat die wordt gebruikt in de BAG-registratie, de landelijke registratie van de Nederlandse overheid.
Kloosterlaan 7-k-2 heeft als functie: gezondheidszorg. Deze gebruiksfunctie(s) zijn vastgelegd in de BAG-registratie en geven aan waarvoor het adres officieel mag worden gebruikt.
Kloosterlaan 7-k-2 is gelegen op kadastraal perceel WSM01B1305. Deze kadastrale aanduiding is uniek en wordt gebruikt door het Kadaster om eigendomsrechten en andere zakelijke rechten vast te leggen. Het perceel maakt onderdeel uit van de kadastrale gemeente Wessem.
Het perceel waarop Kloosterlaan 7-k-2 staat heeft een oppervlakte van 2740 m². Dit is een zeer groot perceel. De perceeloppervlakte wordt geregistreerd door het Kadaster. Gedetailleerde informatie over de maten van dit perceel kunt u vinden in het rapport Kadastrale kaart met maatvoering van Kloosterlaan 7-k-2.
De eigenaar van Kloosterlaan 7-k-2 is op te vragen op deze pagina.
De informatie over dit adres is afkomstig uit officiële overheidsregistraties, voornamelijk de Basisregistratie Adressen en Gebouwen (BAG) en de Basisregistratie Kadaster (BRK). Deze gegevens worden beheerd door respectievelijk gemeenten en het Kadaster, en worden regelmatig bijgewerkt. Energielabelgegevens komen uit de database van de Rijksdienst voor Ondernemend Nederland (RVO).
