
Urnenveldweg 4 is een adres in Wijchen, dat zich bevindt binnen de gemeentegrenzen van Wijchen en de grenzen van de provincie Gelderland. De oppervlakte van het verblijfsobject is met 176 m² aan de grote kant. Het perceel heeft een oppervlakte van 505 m². Het object is klein ten opzichte van de andere adressen in de straat. Het grootste verblijfsobject is 966 m² groot en het kleinste is 79 m². Het adres Urnenveldweg 4 ligt in een relatief oud pand uit het jaar 1939. Panden van vóór het jaar 1965 hebben we hier geclassificeerd als oud. Het nieuwste gebouw in de straat komt uit 2020 en het oudste uit 1930. Dit object is relatief oud. Het verblijfsobject heeft de volgende gebruiksdoelen: 'woonfunctie'.
Deze woning is voor het laatst verkocht op 1 maart 1999. Meer informatie over deze transactie? Bestel het Woningtransactierapport om de verkoopprijs en andere informatie te zien.
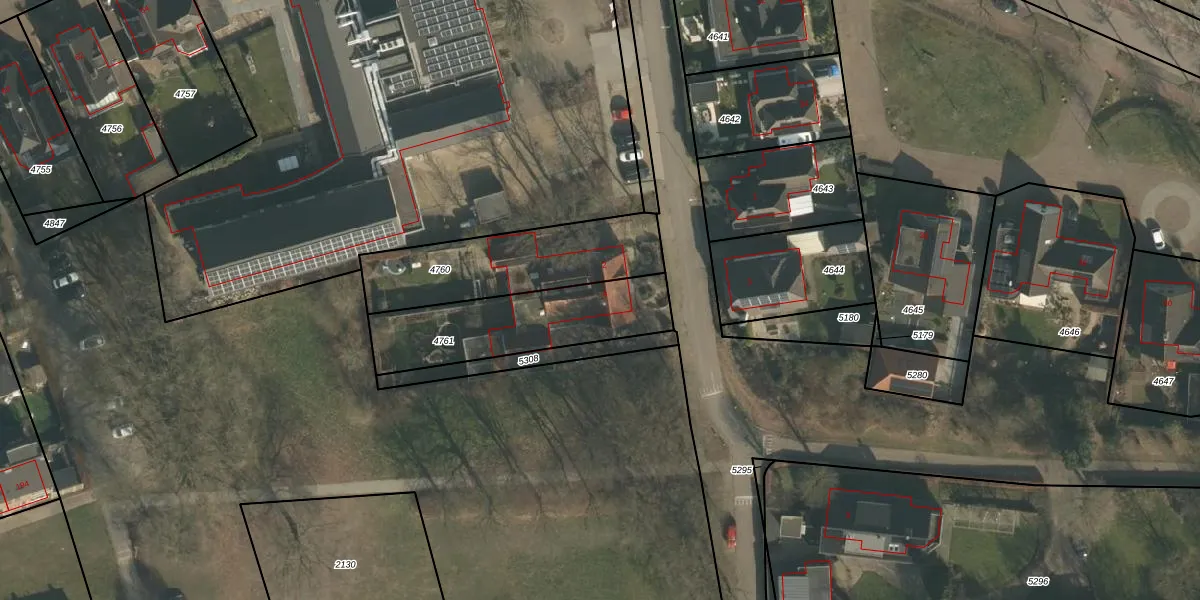
Het perceel waarop het adres ligt is WCN00-H-4761. De afkorting 'WCN00' staat voor kadastrale gemeente Wijchen. Het perceel is kleiner dan gemiddeld in Wijchen. Het perceel is 505 m² groot, terwijl het gemiddelde ligt op 1827,1 m². De grootste perceeloppervlakte in de kadastrale gemeente is 66,4 ha. De kleinste oppervlakte bedraagt 0 m². Op het perceel bevinden zich geen andere adressen. De huidige grenzen van het perceel zijn digitaal in de Basisregistratie Kadaster (BRK) geregistreerd op 02-11-2009.
Er is geen energielabel geregistreerd voor het adres. Het hoogste energielabel in de straat is A; het laagste is G. Het gemiddelde energielabel is er B. Het adres Urnenveldweg 4 heeft als status: 'verblijfsobject in gebruik'. Het pand waarin dit adres ligt heeft als status: 'pand in gebruik'.
Urnenveldweg 4 is een adres gelegen in de gemeente Wijchen, provincie Gelderland. Dit adres is geregistreerd in de Basisregistratie Adressen en Gebouwen (BAG) met als unieke identificatie 0296010000013339.
Het pand op Urnenveldweg 4 is gebouwd in 1939, wat betekent dat het 87 jaar oud is. Dit is een ouder pand. Het pand heeft mogelijk aanzienlijke renovaties nodig om aan de huidige standaarden te voldoen.
De woning op Urnenveldweg 4 heeft een gebruiksoppervlakte van 176 m². Dit is ruim vergeleken met de gemiddelde Nederlandse woning, die een oppervlakte heeft van ongeveer 119 m². De gebruiksoppervlakte is de maat die wordt gebruikt in de BAG-registratie, de landelijke registratie van de Nederlandse overheid.
Urnenveldweg 4 heeft als functie: wonen. Deze gebruiksfunctie(s) zijn vastgelegd in de BAG-registratie en geven aan waarvoor het adres officieel mag worden gebruikt.
Urnenveldweg 4 is gelegen op kadastraal perceel WCN00H4761. Deze kadastrale aanduiding is uniek en wordt gebruikt door het Kadaster om eigendomsrechten en andere zakelijke rechten vast te leggen. Het perceel maakt onderdeel uit van de kadastrale gemeente Wijchen.
Het perceel waarop Urnenveldweg 4 staat heeft een oppervlakte van 505 m². Dit is een groot perceel. De perceeloppervlakte wordt geregistreerd door het Kadaster. Gedetailleerde informatie over de maten van dit perceel kunt u vinden in het rapport Kadastrale kaart met maatvoering van Urnenveldweg 4.
De eigenaar van Urnenveldweg 4 is op te vragen op deze pagina.
De informatie over dit adres is afkomstig uit officiële overheidsregistraties, voornamelijk de Basisregistratie Adressen en Gebouwen (BAG) en de Basisregistratie Kadaster (BRK). Deze gegevens worden beheerd door respectievelijk gemeenten en het Kadaster, en worden regelmatig bijgewerkt. Energielabelgegevens komen uit de database van de Rijksdienst voor Ondernemend Nederland (RVO).
