
Urnenveldweg 5 is gelegen in de plaats Wijchen, de gemeente Wijchen en de provincie Gelderland. De oppervlakte van het verblijfsobject is met 227 m² aan de grote kant. Het perceel heeft een oppervlakte van 2776 m². Het object is klein ten opzichte van de andere adressen in de straat. Het grootste verblijfsobject is 966 m² groot en het kleinste is 79 m². De meeste Nederlandse gebouwen zijn gebouwd in de periode 1965-1984. Zo ook het pand waarin Urnenveldweg 5 ligt, dat gebouwd is in 1981. Dit object is relatief nieuw in de straat. Het nieuwste gebouw komt er uit het jaar 2020 en het oudste uit het jaar 1930. Het verblijfsobject heeft de volgende gebruiksdoelen: 'woonfunctie'.
Deze woning is voor het laatst verkocht op 1 juni 2020. Meer informatie over deze transactie? Bestel het Woningtransactierapport om de verkoopprijs en andere informatie te zien.
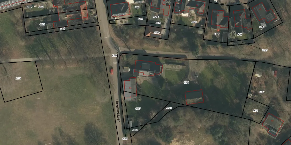
Het perceel waarop het adres ligt is WCN00-H-5296. De afkorting 'WCN00' staat voor kadastrale gemeente Wijchen. De gemiddelde perceeloppervlakte in de kadastrale gemeente Wijchen is 1827,1 m². Dit perceel is met zijn 2776 m² dus groter dan gemiddeld. De grootste perceeloppervlakte in de kadastrale gemeente is 66,4 ha. De kleinste oppervlakte bedraagt 0 m². Op het perceel liggen in totaal 2 adressen. De laatste wijziging in het de Basisregistratie Kadaster (BRK) was op 28-10-2016.
Er is geen energielabel geregistreerd voor het adres. Het hoogste energielabel in de straat is A; het laagste is G. Het gemiddelde energielabel is er B. Het adres Urnenveldweg 5 heeft als status: 'verblijfsobject in gebruik'. Het pand waarin dit adres ligt heeft als status: 'pand in gebruik'.
Urnenveldweg 5 is een adres gelegen in de gemeente Wijchen, provincie Gelderland. Dit adres is geregistreerd in de Basisregistratie Adressen en Gebouwen (BAG) met als unieke identificatie 0296010000013340.
Het pand op Urnenveldweg 5 is gebouwd in 1981, wat betekent dat het 45 jaar oud is. Dit is een pand van middelbare leeftijd. Het pand is van gemiddelde leeftijd en zal waarschijnlijk verouderde elementen bevatten.
De woning op Urnenveldweg 5 heeft een gebruiksoppervlakte van 227 m². Dit is ruim vergeleken met de gemiddelde Nederlandse woning, die een oppervlakte heeft van ongeveer 119 m². De gebruiksoppervlakte is de maat die wordt gebruikt in de BAG-registratie, de landelijke registratie van de Nederlandse overheid.
Urnenveldweg 5 heeft als functie: wonen. Deze gebruiksfunctie(s) zijn vastgelegd in de BAG-registratie en geven aan waarvoor het adres officieel mag worden gebruikt.
Urnenveldweg 5 is gelegen op kadastraal perceel WCN00H5296. Deze kadastrale aanduiding is uniek en wordt gebruikt door het Kadaster om eigendomsrechten en andere zakelijke rechten vast te leggen. Het perceel maakt onderdeel uit van de kadastrale gemeente Wijchen.
Het perceel waarop Urnenveldweg 5 staat heeft een oppervlakte van 2776 m². Dit is een zeer groot perceel. De perceeloppervlakte wordt geregistreerd door het Kadaster. Gedetailleerde informatie over de maten van dit perceel kunt u vinden in het rapport Kadastrale kaart met maatvoering van Urnenveldweg 5.
De eigenaar van Urnenveldweg 5 is op te vragen op deze pagina.
De informatie over dit adres is afkomstig uit officiële overheidsregistraties, voornamelijk de Basisregistratie Adressen en Gebouwen (BAG) en de Basisregistratie Kadaster (BRK). Deze gegevens worden beheerd door respectievelijk gemeenten en het Kadaster, en worden regelmatig bijgewerkt. Energielabelgegevens komen uit de database van de Rijksdienst voor Ondernemend Nederland (RVO).
