
Valendrieseweg 262 is gelegen in de plaats Wijchen, de gemeente Wijchen en de provincie Gelderland. De oppervlakte van het verblijfsobject is met 210 m² aan de grote kant. Het perceel heeft een oppervlakte van 1745 m². In vergelijking met de andere adressen in de straat is de oppervlakte van dit object relatief groot. Het grootste verblijfsobject heeft een oppervlakte van 678 m², de oppervlakte van het kleinste object bedraagt 10 m². Valendrieseweg 262 bevindt zich in een pand uit het jaar 1925. Daarmee behoort het tot de groep relatief oude panden in Nederland die gebouwd zijn vóór 1965. Het nieuwste gebouw in de straat komt uit 2022 en het oudste uit 1776. Dit object is relatief oud. Het verblijfsobject heeft de volgende gebruiksdoelen: 'woonfunctie'.
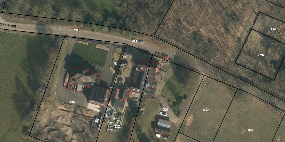
Het perceel waarop het adres ligt is WCN00-H-3092. De afkorting 'WCN00' staat voor kadastrale gemeente Wijchen. Het perceel is kleiner dan gemiddeld in Wijchen. Het perceel is 1745 m² groot, terwijl het gemiddelde ligt op 1827,1 m². Het grootste perceel in de kadastrale gemeente is 66,4 ha. Het kleinste perceel heeft een oppervlakte van 0 m². Op het perceel bevinden zich geen andere adressen. De laatste wijziging in het de Basisregistratie Kadaster (BRK) was op 28-01-2003.
Er is geen energielabel geregistreerd voor het adres. Het hoogste energielabel in de straat is A++++; het laagste is G. Het gemiddelde energielabel is er B. Het adres Valendrieseweg 262 heeft als status: 'verblijfsobject in gebruik'. Het pand waarin dit adres ligt heeft als status: 'pand in gebruik'.
Valendrieseweg 262 is een adres gelegen in de gemeente Wijchen, provincie Gelderland. Dit adres is geregistreerd in de Basisregistratie Adressen en Gebouwen (BAG) met als unieke identificatie 0296010000013743.
Het pand op Valendrieseweg 262 is gebouwd in 1925, wat betekent dat het 101 jaar oud is. Dit is een ouder pand. Het pand heeft mogelijk aanzienlijke renovaties nodig om aan de huidige standaarden te voldoen.
De woning op Valendrieseweg 262 heeft een gebruiksoppervlakte van 210 m². Dit is ruim vergeleken met de gemiddelde Nederlandse woning, die een oppervlakte heeft van ongeveer 119 m². De gebruiksoppervlakte is de maat die wordt gebruikt in de BAG-registratie, de landelijke registratie van de Nederlandse overheid.
Valendrieseweg 262 heeft als functie: wonen. Deze gebruiksfunctie(s) zijn vastgelegd in de BAG-registratie en geven aan waarvoor het adres officieel mag worden gebruikt.
Valendrieseweg 262 is gelegen op kadastraal perceel WCN00H3092. Deze kadastrale aanduiding is uniek en wordt gebruikt door het Kadaster om eigendomsrechten en andere zakelijke rechten vast te leggen. Het perceel maakt onderdeel uit van de kadastrale gemeente Wijchen.
Het perceel waarop Valendrieseweg 262 staat heeft een oppervlakte van 1745 m². Dit is een zeer groot perceel. De perceeloppervlakte wordt geregistreerd door het Kadaster. Gedetailleerde informatie over de maten van dit perceel kunt u vinden in het rapport Kadastrale kaart met maatvoering van Valendrieseweg 262.
De eigenaar van Valendrieseweg 262 is op te vragen op deze pagina.
De informatie over dit adres is afkomstig uit officiële overheidsregistraties, voornamelijk de Basisregistratie Adressen en Gebouwen (BAG) en de Basisregistratie Kadaster (BRK). Deze gegevens worden beheerd door respectievelijk gemeenten en het Kadaster, en worden regelmatig bijgewerkt. Energielabelgegevens komen uit de database van de Rijksdienst voor Ondernemend Nederland (RVO).
