
Kerkbuurt 72-A is gelegen in de plaats Wijdenes, de gemeente Drechterland en de provincie Noord-Holland. Het perceel waarop het adres gelegen is heeft een oppervlakte van 4740 m². Het verblijfsobject is met 43 m² relatief klein. Er zijn geen kleinere objecten in deze straat. De gemiddelde oppervlakte is er 315 m². Het grootste verblijfsobject is 7404 m². Kerkbuurt 72-A bevindt zich in een pand uit het jaar 1580. Daarmee behoort het tot de groep relatief oude panden in Nederland die gebouwd zijn vóór 1965. Het gemiddelde bouwjaar in de straat is 1918 en dat van het nieuwste object 2023. In de straat is dit het oudste pand. Voor het verblijfsobject gelden deze gebruiksdoelen: 'woonfunctie'.
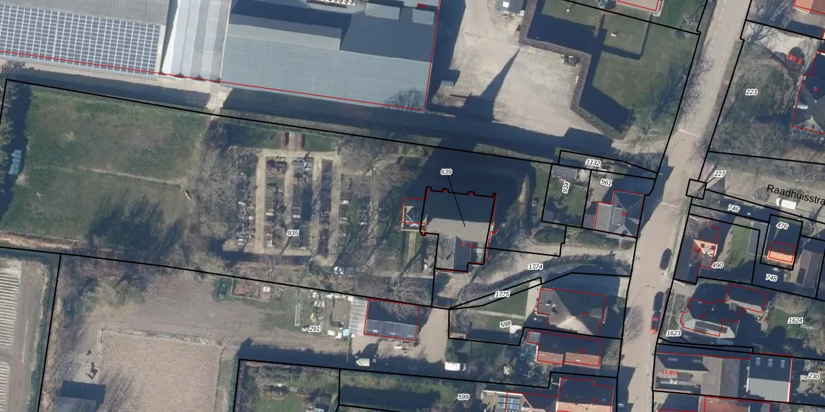
Het adres ligt op het perceel VHZ03-L-935, dat zich in de kadastrale gemeente Venhuizen bevindt. De gemiddelde perceelgrootte in Venhuizen is 9279,12 m². Dit perceel is kleiner: de perceeloppervlakte bedraagt 4740 m². Het grootste perceel in de kadastrale gemeente is 4,40 km². Het kleinste perceel heeft een oppervlakte van 0 m². Dit is het enige adres dat aanwezig is op het perceel. De laatste wijziging in het de Basisregistratie Kadaster (BRK) was op 08-09-2006.
Er is geen energielabel geregistreerd voor het adres. Het hoogste energielabel in de straat is A+; het laagste is G. Het gemiddelde energielabel is er D. Het adres Kerkbuurt 72-A heeft als status: 'verblijfsobject in gebruik'. Het pand waarin dit adres ligt heeft als status: 'pand in gebruik'.
Kerkbuurt 72-A is een adres gelegen in de gemeente Drechterland, provincie Noord-Holland. Dit adres is geregistreerd in de Basisregistratie Adressen en Gebouwen (BAG) met als unieke identificatie 0498010000008668.
Het pand op Kerkbuurt 72-A is gebouwd in 1580, wat betekent dat het 446 jaar oud is. Dit is een ouder pand. Het pand heeft mogelijk aanzienlijke renovaties nodig om aan de huidige standaarden te voldoen.
De woning op Kerkbuurt 72-A heeft een gebruiksoppervlakte van 43 m². Dit is relatief klein vergeleken met de gemiddelde Nederlandse woning, die een oppervlakte heeft van ongeveer 119 m². De gebruiksoppervlakte is de maat die wordt gebruikt in de BAG-registratie, de landelijke registratie van de Nederlandse overheid.
Kerkbuurt 72-A heeft als functie: wonen. Deze gebruiksfunctie(s) zijn vastgelegd in de BAG-registratie en geven aan waarvoor het adres officieel mag worden gebruikt.
Kerkbuurt 72-A is gelegen op kadastraal perceel VHZ03L935. Deze kadastrale aanduiding is uniek en wordt gebruikt door het Kadaster om eigendomsrechten en andere zakelijke rechten vast te leggen. Het perceel maakt onderdeel uit van de kadastrale gemeente Venhuizen.
Het perceel waarop Kerkbuurt 72-A staat heeft een oppervlakte van 4740 m². Dit is een zeer groot perceel. De perceeloppervlakte wordt geregistreerd door het Kadaster. Gedetailleerde informatie over de maten van dit perceel kunt u vinden in het rapport Kadastrale kaart met maatvoering van Kerkbuurt 72-A.
De eigenaar van Kerkbuurt 72-A is op te vragen op deze pagina.
De informatie over dit adres is afkomstig uit officiële overheidsregistraties, voornamelijk de Basisregistratie Adressen en Gebouwen (BAG) en de Basisregistratie Kadaster (BRK). Deze gegevens worden beheerd door respectievelijk gemeenten en het Kadaster, en worden regelmatig bijgewerkt. Energielabelgegevens komen uit de database van de Rijksdienst voor Ondernemend Nederland (RVO).
