
Het adres de Hoge Enk 17 bevindt zich in de plaats Wilp, in de gemeente Wilp en de provincie Gelderland. Het verblijfsobject is 149 m² groot en bevindt zich op een perceel met een oppervlakte van 453 m². Gemiddeld hebben adressen in Nederland een oppervlakte van 119 m². Vergeleken met de andere verblijfsobjecten in de straat is dit object groot. De oppervlakte van het grootste object in de straat is 188 m², die van het kleinste bedraagt 83 m². de Hoge Enk 17 ligt in een gebouw uit het jaar 2025. Daarmee behoort het tot de groep panden van na 1984, die we als relatief nieuw bestempelen. Het bouwjaar is oud vergeleken met dat van de andere panden in de straat. Het oudste bouwjaar is er 2023 en de nieuwste is 2026. Het verblijfsobject heeft de volgende gebruiksdoelen: 'woonfunctie'.
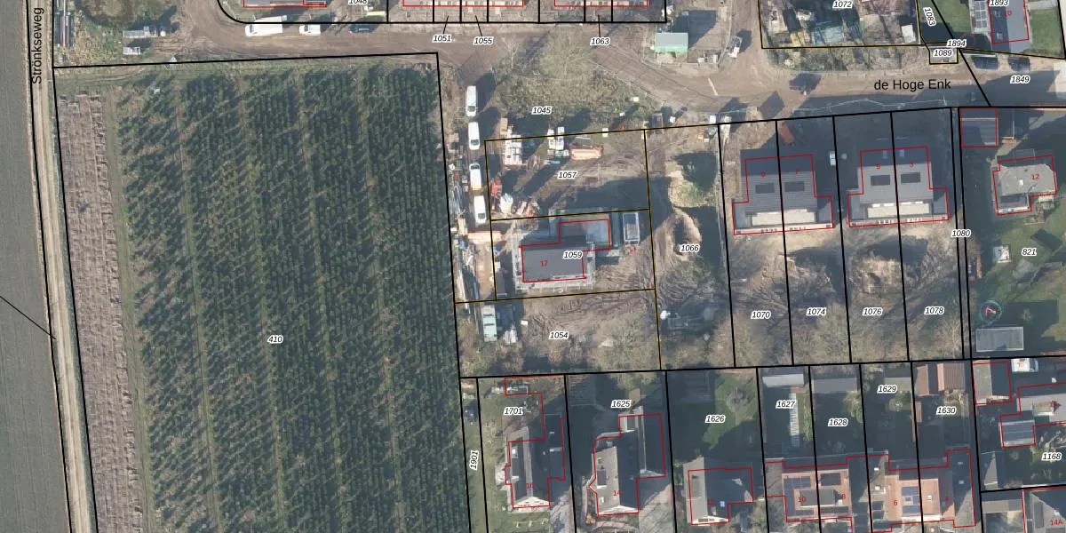
Het adres is gelegen op perceel 1059 in de sectie R en de kadastrale gemeente Voorst. De kadastrale aanduiding is aldus VOO00-R-1059. Het perceel is kleiner dan gemiddeld in Voorst. Het perceel is 453 m² groot, terwijl het gemiddelde ligt op 1,0 ha. Het grootste perceel in de kadastrale gemeente is 94,4 ha. Het kleinste perceel heeft een oppervlakte van 0 m². Dit is het enige adres dat aanwezig is op het perceel. In de Basisregistratie Kadaster (BRK) werden de grenzen van het perceel geregistreerd op 28-06-2023.
Er is geen energielabel geregistreerd voor het adres. Het hoogste energielabel in de straat is A+++; het laagste is G. Het gemiddelde energielabel is er A+++. Het adres de Hoge Enk 17 heeft als status: 'verblijfsobject in gebruik'. Het pand waarin dit adres ligt heeft als status: 'pand in gebruik'.
de Hoge Enk 17 is een adres gelegen in de gemeente Voorst, provincie Gelderland. Dit adres is geregistreerd in de Basisregistratie Adressen en Gebouwen (BAG) met als unieke identificatie 0285010000114723.
Het pand op de Hoge Enk 17 is gebouwd in 2025, wat betekent dat het 1 jaar oud is. Dit is een vrij nieuw pand. Het pand is dus waarschijnlijk goed geïsoleerd, geluidsdicht en voldoet aan de huidige bouwstandaarden. Op korte termijn zijn er waarschijnlijk weinig onderhoudskosten.
De woning op de Hoge Enk 17 heeft een gebruiksoppervlakte van 149 m². Dit is gemiddeld vergeleken met de gemiddelde Nederlandse woning, die een oppervlakte heeft van ongeveer 119 m². De gebruiksoppervlakte is de maat die wordt gebruikt in de BAG-registratie, de landelijke registratie van de Nederlandse overheid.
de Hoge Enk 17 heeft als functie: wonen. Deze gebruiksfunctie(s) zijn vastgelegd in de BAG-registratie en geven aan waarvoor het adres officieel mag worden gebruikt.
de Hoge Enk 17 is gelegen op kadastraal perceel VOO00R1059. Deze kadastrale aanduiding is uniek en wordt gebruikt door het Kadaster om eigendomsrechten en andere zakelijke rechten vast te leggen. Het perceel maakt onderdeel uit van de kadastrale gemeente Voorst.
Het perceel waarop de Hoge Enk 17 staat heeft een oppervlakte van 453 m². Dit is een groot perceel. De perceeloppervlakte wordt geregistreerd door het Kadaster. Gedetailleerde informatie over de maten van dit perceel kunt u vinden in het rapport Kadastrale kaart met maatvoering van de Hoge Enk 17.
De eigenaar van de Hoge Enk 17 is op te vragen op deze pagina.
De informatie over dit adres is afkomstig uit officiële overheidsregistraties, voornamelijk de Basisregistratie Adressen en Gebouwen (BAG) en de Basisregistratie Kadaster (BRK). Deze gegevens worden beheerd door respectievelijk gemeenten en het Kadaster, en worden regelmatig bijgewerkt. Energielabelgegevens komen uit de database van de Rijksdienst voor Ondernemend Nederland (RVO).
