
Lathmerweg 7-E is een adres in Wilp, dat zich bevindt binnen de gemeentegrenzen van Wilp en de grenzen van de provincie Gelderland. Het verblijfsobject is vergeleken met het Nederlandse gemiddelde aan de kleine kant: de oppervlakte is 37 m². Het perceel waarop het adres zich bevindt heeft een oppervlakte van 12,3 ha. Dit is het kleinste object van de straat. De gemiddelde oppervlakte van verblijfsobjecten is er 843 m². De grootste oppervlakte in de straat is 3378 m². In het jaar 2012 is het pand waarin Lathmerweg 7-E ligt gebouwd. Dat is relatief recent: de meeste gebouwen in Nederland zijn gebouwd in de periode 1965-1984. Dit object is relatief nieuw in de straat. Het nieuwste gebouw komt er uit het jaar 2018 en het oudste uit het jaar 1890. Het verblijfsobject heeft de volgende gebruiksdoelen: 'overige gebruiksfunctie'.
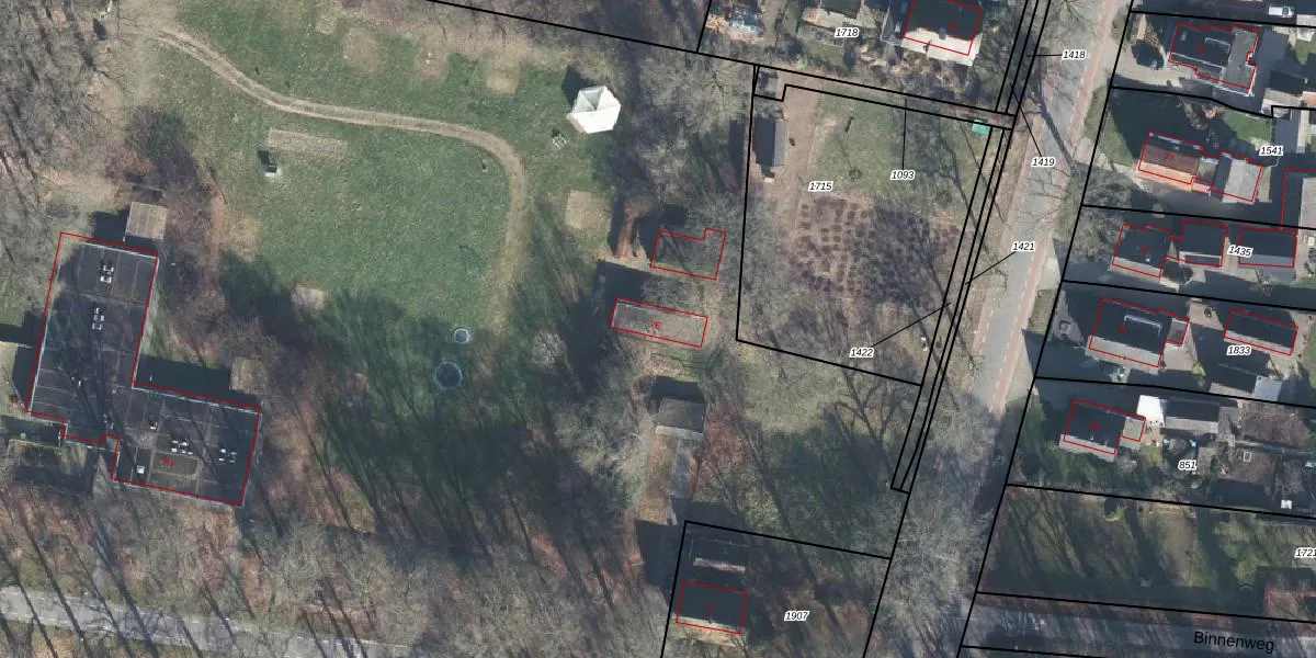
Het adres is gelegen op perceel 1906 in de sectie C en de kadastrale gemeente Wilp. De kadastrale aanduiding is aldus WIL00-C-1906. De gemiddelde perceeloppervlakte in de kadastrale gemeente Wilp is 4334,71 m². Dit perceel is met zijn 12,3 ha dus groter dan gemiddeld. De grootste perceeloppervlakte in de kadastrale gemeente is 48,0 ha. De kleinste oppervlakte bedraagt 0 m². Op het perceel liggen in totaal 11 adressen. De huidige grenzen van het perceel zijn digitaal in de Basisregistratie Kadaster (BRK) geregistreerd op 19-03-2026.
Er is geen energielabel geregistreerd voor het adres. Het hoogste energielabel in de straat is G; het laagste is G. Het gemiddelde energielabel is er G. Het adres Lathmerweg 7-E heeft als status: 'verblijfsobject in gebruik'. Het pand waarin dit adres ligt heeft als status: 'pand in gebruik'.
Lathmerweg 7-E is een adres gelegen in de gemeente Voorst, provincie Gelderland. Dit adres is geregistreerd in de Basisregistratie Adressen en Gebouwen (BAG) met als unieke identificatie 0285010000111885.
Het pand op Lathmerweg 7-E is gebouwd in 2012, wat betekent dat het 14 jaar oud is. Dit is een relatief modern pand. Ten opzichte van de nationale woningvoorraad is het pand relatief modern, maar er kunnen enkele verouderde elementen zijn die aandacht nodig hebben.
De woning op Lathmerweg 7-E heeft een gebruiksoppervlakte van 37 m². Dit is relatief klein vergeleken met de gemiddelde Nederlandse woning, die een oppervlakte heeft van ongeveer 119 m². De gebruiksoppervlakte is de maat die wordt gebruikt in de BAG-registratie, de landelijke registratie van de Nederlandse overheid.
Lathmerweg 7-E heeft als functie: overige doeleinden. Deze gebruiksfunctie(s) zijn vastgelegd in de BAG-registratie en geven aan waarvoor het adres officieel mag worden gebruikt.
Lathmerweg 7-E is gelegen op kadastraal perceel WIL00C1906. Deze kadastrale aanduiding is uniek en wordt gebruikt door het Kadaster om eigendomsrechten en andere zakelijke rechten vast te leggen. Het perceel maakt onderdeel uit van de kadastrale gemeente Wilp.
Het perceel waarop Lathmerweg 7-E staat heeft een oppervlakte van 12,3 ha. Dit is een zeer groot perceel. De perceeloppervlakte wordt geregistreerd door het Kadaster. Gedetailleerde informatie over de maten van dit perceel kunt u vinden in het rapport Kadastrale kaart met maatvoering van Lathmerweg 7-E.
De eigenaar van Lathmerweg 7-E is op te vragen op deze pagina.
De informatie over dit adres is afkomstig uit officiële overheidsregistraties, voornamelijk de Basisregistratie Adressen en Gebouwen (BAG) en de Basisregistratie Kadaster (BRK). Deze gegevens worden beheerd door respectievelijk gemeenten en het Kadaster, en worden regelmatig bijgewerkt. Energielabelgegevens komen uit de database van de Rijksdienst voor Ondernemend Nederland (RVO).
