
Voordersteeg 37 is gelegen in de plaats Wilp, de gemeente Voorst en de provincie Gelderland. De oppervlakte van het verblijfsobject is met 152 m² aan de grote kant. Het perceel heeft een oppervlakte van 710 m². Het object is klein ten opzichte van de andere adressen in de straat. Het grootste verblijfsobject is 3028 m² groot en het kleinste is 4 m². In Nederland komt het grootste deel van de gebouwen uit de periode 1965-1984. Ook het bouwjaar van Voordersteeg 37 is afkomstig uit die periode: het betreft namelijk een pand uit 1966. Het nieuwste gebouw in de straat komt uit 2023 en het oudste uit 1872. Dit object is relatief oud. De volgende gebruiksdoelen zijn geregistreerd voor dit adres: 'woonfunctie'.
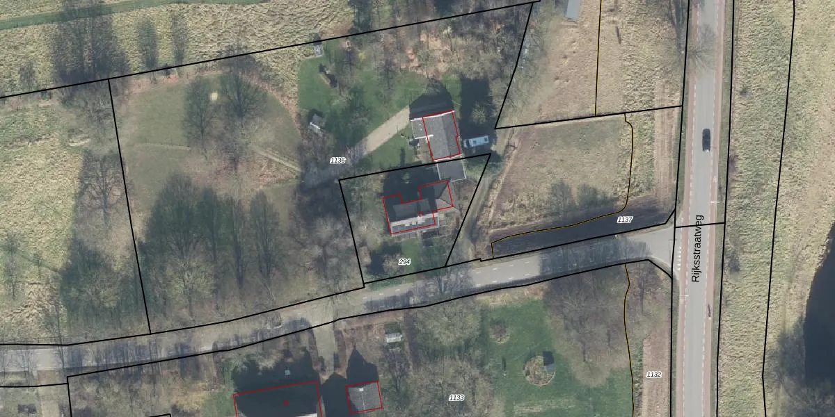
Het perceel waarop het adres ligt is VOO00-S-294. De afkorting 'VOO00' staat voor kadastrale gemeente Voorst. Het perceel is 710 m² groot. Dat is kleiner dan de gemiddelde perceeloppervlakte in Voorst, dat op 1,0 ha ligt. Het grootste perceel in de kadastrale gemeente is 94,4 ha. Het kleinste perceel heeft een oppervlakte van 0 m². Op het perceel bevinden zich geen andere adressen. De laatste wijziging in het de Basisregistratie Kadaster (BRK) was op 07-07-2004.
Er is geen energielabel geregistreerd voor het adres. Het hoogste energielabel in de straat is C; het laagste is G. Het gemiddelde energielabel is er C. Het adres Voordersteeg 37 heeft als status: 'verblijfsobject in gebruik'. Het pand waarin dit adres ligt heeft als status: 'pand in gebruik'.
Voordersteeg 37 is een adres gelegen in de gemeente Voorst, provincie Gelderland. Dit adres is geregistreerd in de Basisregistratie Adressen en Gebouwen (BAG) met als unieke identificatie 0285010000101655.
Het pand op Voordersteeg 37 is gebouwd in 1966, wat betekent dat het 60 jaar oud is. Dit is een ouder pand. Het pand heeft mogelijk aanzienlijke renovaties nodig om aan de huidige standaarden te voldoen.
De woning op Voordersteeg 37 heeft een gebruiksoppervlakte van 152 m². Dit is ruim vergeleken met de gemiddelde Nederlandse woning, die een oppervlakte heeft van ongeveer 119 m². De gebruiksoppervlakte is de maat die wordt gebruikt in de BAG-registratie, de landelijke registratie van de Nederlandse overheid.
Voordersteeg 37 heeft als functie: wonen. Deze gebruiksfunctie(s) zijn vastgelegd in de BAG-registratie en geven aan waarvoor het adres officieel mag worden gebruikt.
Voordersteeg 37 is gelegen op kadastraal perceel VOO00S294. Deze kadastrale aanduiding is uniek en wordt gebruikt door het Kadaster om eigendomsrechten en andere zakelijke rechten vast te leggen. Het perceel maakt onderdeel uit van de kadastrale gemeente Voorst.
Het perceel waarop Voordersteeg 37 staat heeft een oppervlakte van 710 m². Dit is een groot perceel. De perceeloppervlakte wordt geregistreerd door het Kadaster. Gedetailleerde informatie over de maten van dit perceel kunt u vinden in het rapport Kadastrale kaart met maatvoering van Voordersteeg 37.
De eigenaar van Voordersteeg 37 is op te vragen op deze pagina.
De informatie over dit adres is afkomstig uit officiële overheidsregistraties, voornamelijk de Basisregistratie Adressen en Gebouwen (BAG) en de Basisregistratie Kadaster (BRK). Deze gegevens worden beheerd door respectievelijk gemeenten en het Kadaster, en worden regelmatig bijgewerkt. Energielabelgegevens komen uit de database van de Rijksdienst voor Ondernemend Nederland (RVO).
