
Goorweg 2 is gelegen in de plaats Winterswijk Meddo, de gemeente Winterswijk en de provincie Gelderland. Het object heeft een oppervlakte van 245 m², wat relatief groot is. Het perceel waarop het adres ligt is 3780 m² groot. Het object is klein ten opzichte van de andere adressen in de straat. Het grootste verblijfsobject is 2921 m² groot en het kleinste is 92 m². Goorweg 2 bevindt zich in een pand uit het jaar 1896. Daarmee behoort het tot de groep relatief oude panden in Nederland die gebouwd zijn vóór 1965. Het bouwjaar is oud vergeleken met dat van de andere panden in de straat. Het oudste bouwjaar is er 1828 en de nieuwste is 2026. Het verblijfsobject heeft de volgende gebruiksdoelen: 'woonfunctie'.
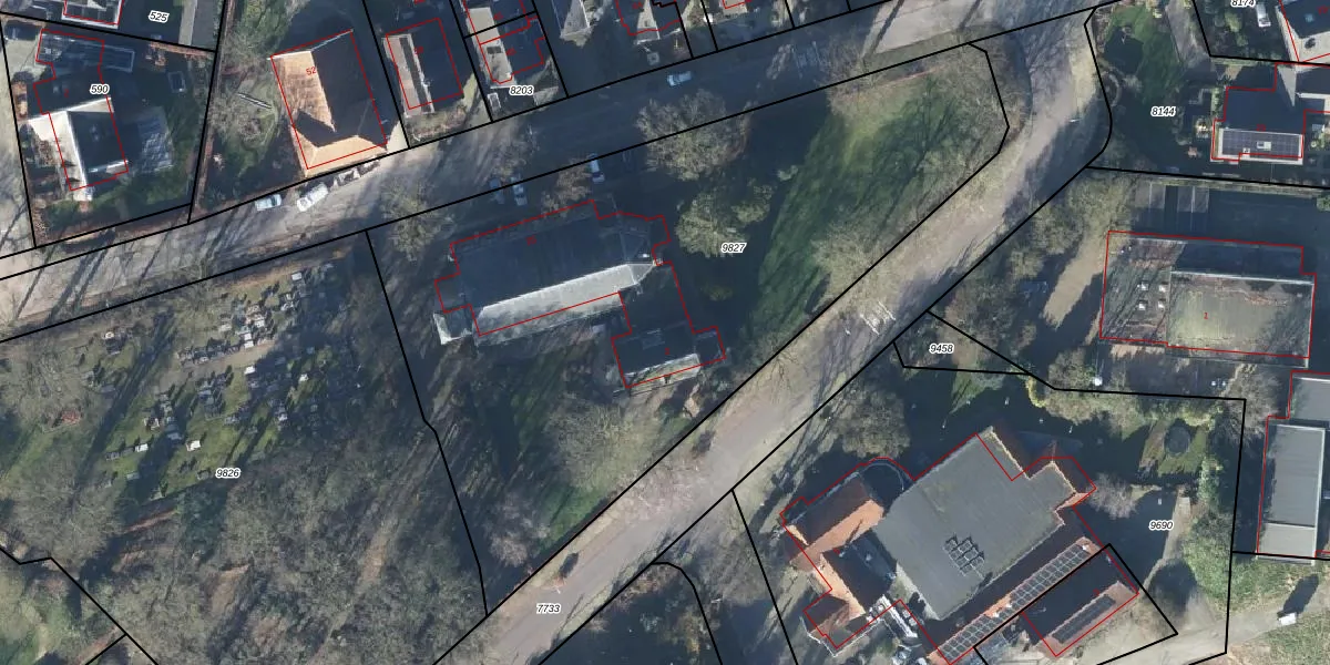
Het perceel waarop het adres ligt is WTW00-A-9827. De afkorting 'WTW00' staat voor kadastrale gemeente Winterswijk. Het perceel is kleiner dan gemiddeld in Winterswijk. Het perceel is 3780 m² groot, terwijl het gemiddelde ligt op 5383,2 m². Het grootste perceel in de kadastrale gemeente is 57,2 ha. Het kleinste perceel heeft een oppervlakte van 0 m². Er zijn 2 adressen aanwezig op het perceel. De laatste wijziging in het de Basisregistratie Kadaster (BRK) was op 27-09-2022.
Er is geen energielabel geregistreerd voor het adres. Het hoogste energielabel in de straat is A+; het laagste is G. Het gemiddelde energielabel is er B. Het adres Goorweg 2 heeft als status: 'verblijfsobject in gebruik'. Het pand waarin dit adres ligt heeft als status: 'pand in gebruik'.
Goorweg 2 is een adres gelegen in de gemeente Winterswijk, provincie Gelderland. Dit adres is geregistreerd in de Basisregistratie Adressen en Gebouwen (BAG) met als unieke identificatie 0294010000404222.
Het pand op Goorweg 2 is gebouwd in 1896, wat betekent dat het 130 jaar oud is. Dit is een ouder pand. Het pand heeft mogelijk aanzienlijke renovaties nodig om aan de huidige standaarden te voldoen.
De woning op Goorweg 2 heeft een gebruiksoppervlakte van 245 m². Dit is ruim vergeleken met de gemiddelde Nederlandse woning, die een oppervlakte heeft van ongeveer 119 m². De gebruiksoppervlakte is de maat die wordt gebruikt in de BAG-registratie, de landelijke registratie van de Nederlandse overheid.
Goorweg 2 heeft als functie: wonen. Deze gebruiksfunctie(s) zijn vastgelegd in de BAG-registratie en geven aan waarvoor het adres officieel mag worden gebruikt.
Goorweg 2 is gelegen op kadastraal perceel WTW00A9827. Deze kadastrale aanduiding is uniek en wordt gebruikt door het Kadaster om eigendomsrechten en andere zakelijke rechten vast te leggen. Het perceel maakt onderdeel uit van de kadastrale gemeente Winterswijk.
Het perceel waarop Goorweg 2 staat heeft een oppervlakte van 3780 m². Dit is een zeer groot perceel. De perceeloppervlakte wordt geregistreerd door het Kadaster. Gedetailleerde informatie over de maten van dit perceel kunt u vinden in het rapport Kadastrale kaart met maatvoering van Goorweg 2.
De eigenaar van Goorweg 2 is op te vragen op deze pagina.
De informatie over dit adres is afkomstig uit officiële overheidsregistraties, voornamelijk de Basisregistratie Adressen en Gebouwen (BAG) en de Basisregistratie Kadaster (BRK). Deze gegevens worden beheerd door respectievelijk gemeenten en het Kadaster, en worden regelmatig bijgewerkt. Energielabelgegevens komen uit de database van de Rijksdienst voor Ondernemend Nederland (RVO).
