
Het adres Morskers Driehuisweg 18 bevindt zich in de plaats Winterswijk Meddo, in de gemeente Winterswijk Meddo en de provincie Gelderland. De oppervlakte van het verblijfsobject is met 186 m² aan de grote kant. Het perceel heeft een oppervlakte van 2,6 ha. De oppervlakte van het adres is klein vergeleken met de andere objecten in de straat. De oppervlakte van het kleinste object in de straat bedraagt 150 m², terwijl het grootste object 2281 m² groot is. Het gebouw waarin Morskers Driehuisweg 18 ligt komt uit het jaar 1870. Objecten die gebouwd zijn vóór 1965 classificeren we hier als oud. Het nieuwste gebouw in de straat komt uit 2008 en het oudste uit 1650. Dit object is relatief oud. Het verblijfsobject heeft de volgende gebruiksdoelen: 'woonfunctie'.
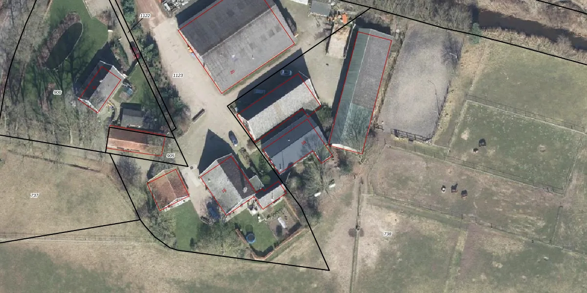
Het adres is gelegen op perceel 738 in de sectie S en de kadastrale gemeente Winterswijk. De kadastrale aanduiding is aldus WTW00-S-738. De gemiddelde perceeloppervlakte in de kadastrale gemeente Winterswijk is 5372,16 m². Dit perceel is met zijn 2,6 ha dus groter dan gemiddeld. Het kleinste perceel in de kadastrale gemeente is 0 m² groot. De grootste perceeloppervlakte is 57,2 ha. Op het perceel bevinden zich geen andere adressen. In de Basisregistratie Kadaster (BRK) werden de grenzen van het perceel geregistreerd op 08-12-2008.
Er is geen energielabel geregistreerd voor het adres. Het hoogste energielabel in de straat is A; het laagste is G. Het gemiddelde energielabel is er D. Het adres Morskers Driehuisweg 18 heeft als status: 'verblijfsobject in gebruik'. Het pand waarin dit adres ligt heeft als status: 'pand in gebruik'.
Morskers Driehuisweg 18 is een adres gelegen in de gemeente Winterswijk, provincie Gelderland. Dit adres is geregistreerd in de Basisregistratie Adressen en Gebouwen (BAG) met als unieke identificatie 0294010000416459.
Het pand op Morskers Driehuisweg 18 is gebouwd in 1870, wat betekent dat het 156 jaar oud is. Dit is een ouder pand. Het pand heeft mogelijk aanzienlijke renovaties nodig om aan de huidige standaarden te voldoen.
De woning op Morskers Driehuisweg 18 heeft een gebruiksoppervlakte van 186 m². Dit is ruim vergeleken met de gemiddelde Nederlandse woning, die een oppervlakte heeft van ongeveer 119 m². De gebruiksoppervlakte is de maat die wordt gebruikt in de BAG-registratie, de landelijke registratie van de Nederlandse overheid.
Morskers Driehuisweg 18 heeft als functie: wonen. Deze gebruiksfunctie(s) zijn vastgelegd in de BAG-registratie en geven aan waarvoor het adres officieel mag worden gebruikt.
Morskers Driehuisweg 18 is gelegen op kadastraal perceel WTW00S738. Deze kadastrale aanduiding is uniek en wordt gebruikt door het Kadaster om eigendomsrechten en andere zakelijke rechten vast te leggen. Het perceel maakt onderdeel uit van de kadastrale gemeente Winterswijk.
Het perceel waarop Morskers Driehuisweg 18 staat heeft een oppervlakte van 2,6 ha. Dit is een zeer groot perceel. De perceeloppervlakte wordt geregistreerd door het Kadaster. Gedetailleerde informatie over de maten van dit perceel kunt u vinden in het rapport Kadastrale kaart met maatvoering van Morskers Driehuisweg 18.
De eigenaar van Morskers Driehuisweg 18 is op te vragen op deze pagina.
De informatie over dit adres is afkomstig uit officiële overheidsregistraties, voornamelijk de Basisregistratie Adressen en Gebouwen (BAG) en de Basisregistratie Kadaster (BRK). Deze gegevens worden beheerd door respectievelijk gemeenten en het Kadaster, en worden regelmatig bijgewerkt. Energielabelgegevens komen uit de database van de Rijksdienst voor Ondernemend Nederland (RVO).
