
Het adres Timmermannsweg 102 bevindt zich in de plaats Ysselsteyn, in de gemeente Ysselsteyn en de provincie Limburg. Het object heeft een oppervlakte van 306 m², wat relatief groot is. Het perceel waarop het adres ligt is 1460 m² groot. Het object is klein ten opzichte van de andere adressen in de straat. Het grootste verblijfsobject is 3402 m² groot en het kleinste is 9 m². In het jaar 1996 is het pand waarin Timmermannsweg 102 ligt gebouwd. Dat is relatief recent: de meeste gebouwen in Nederland zijn gebouwd in de periode 1965-1984. Vergeleken met de andere panden in de straat is dit gebouw nieuw. Het vroegste bouwjaar is er 1921 en het laatste is 2021. Voor het verblijfsobject gelden deze gebruiksdoelen: 'woonfunctie'.
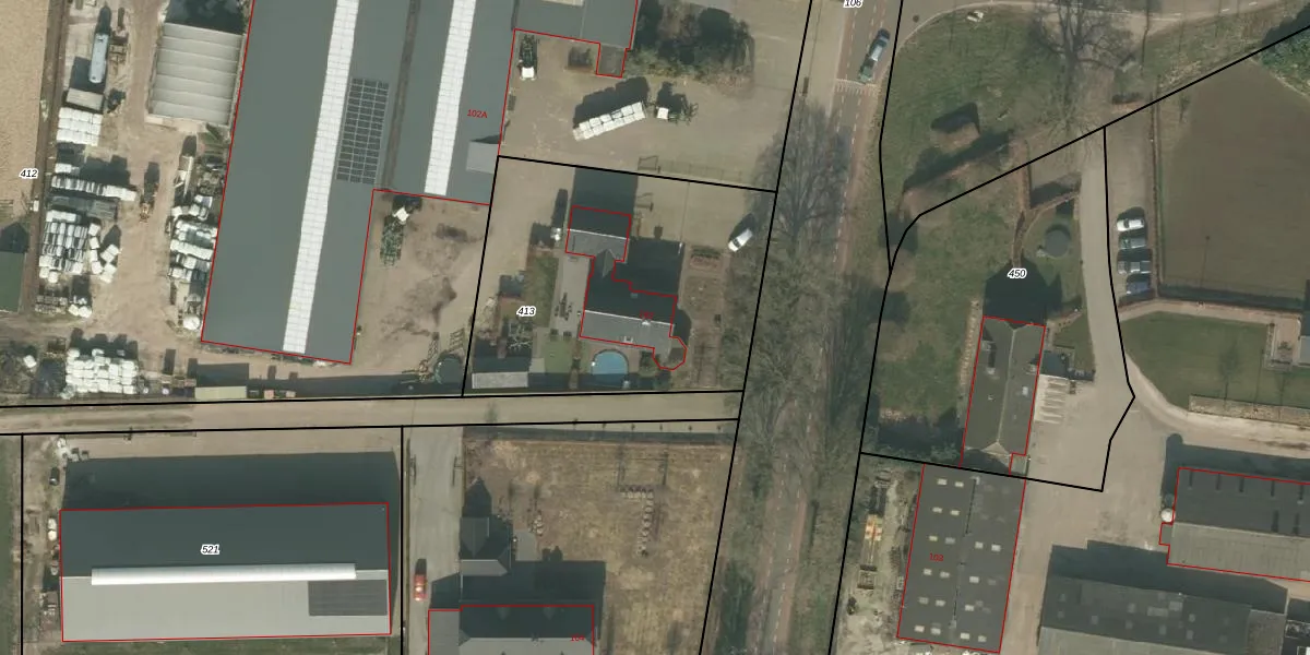
Het perceel waarop het adres ligt is VRY00-I-413. De afkorting 'VRY00' staat voor kadastrale gemeente Venray. De gemiddelde perceelgrootte in Venray is 6011,63 m². Dit perceel is kleiner: de perceeloppervlakte bedraagt 1460 m². De grootste perceeloppervlakte in de kadastrale gemeente is 1,79 km². De kleinste oppervlakte bedraagt 0 m². Dit is het enige adres dat aanwezig is op het perceel. In de Basisregistratie Kadaster (BRK) werden de grenzen van het perceel geregistreerd op 27-08-2008.
Er is geen energielabel geregistreerd voor het adres. Het hoogste energielabel in de straat is A+++; het laagste is G. Het gemiddelde energielabel is er C. Het adres Timmermannsweg 102 heeft als status: 'verblijfsobject in gebruik'. Het pand waarin dit adres ligt heeft als status: 'pand in gebruik'.
Timmermannsweg 102 is een adres gelegen in de gemeente Venray, provincie Limburg. Dit adres is geregistreerd in de Basisregistratie Adressen en Gebouwen (BAG) met als unieke identificatie 0984010000315069.
Het pand op Timmermannsweg 102 is gebouwd in 1996, wat betekent dat het 30 jaar oud is. Dit is een pand van middelbare leeftijd. Het pand is van gemiddelde leeftijd en zal waarschijnlijk verouderde elementen bevatten.
De woning op Timmermannsweg 102 heeft een gebruiksoppervlakte van 306 m². Dit is ruim vergeleken met de gemiddelde Nederlandse woning, die een oppervlakte heeft van ongeveer 119 m². De gebruiksoppervlakte is de maat die wordt gebruikt in de BAG-registratie, de landelijke registratie van de Nederlandse overheid.
Timmermannsweg 102 heeft als functie: wonen. Deze gebruiksfunctie(s) zijn vastgelegd in de BAG-registratie en geven aan waarvoor het adres officieel mag worden gebruikt.
Timmermannsweg 102 is gelegen op kadastraal perceel VRY00I413. Deze kadastrale aanduiding is uniek en wordt gebruikt door het Kadaster om eigendomsrechten en andere zakelijke rechten vast te leggen. Het perceel maakt onderdeel uit van de kadastrale gemeente Venray.
Het perceel waarop Timmermannsweg 102 staat heeft een oppervlakte van 1460 m². Dit is een zeer groot perceel. De perceeloppervlakte wordt geregistreerd door het Kadaster. Gedetailleerde informatie over de maten van dit perceel kunt u vinden in het rapport Kadastrale kaart met maatvoering van Timmermannsweg 102.
De eigenaar van Timmermannsweg 102 is op te vragen op deze pagina.
De informatie over dit adres is afkomstig uit officiële overheidsregistraties, voornamelijk de Basisregistratie Adressen en Gebouwen (BAG) en de Basisregistratie Kadaster (BRK). Deze gegevens worden beheerd door respectievelijk gemeenten en het Kadaster, en worden regelmatig bijgewerkt. Energielabelgegevens komen uit de database van de Rijksdienst voor Ondernemend Nederland (RVO).
