
Schollevaarweg 5 is gelegen in de plaats Zeewolde, de gemeente Zeewolde en de provincie Flevoland. Het verblijfsobject is 131 m² groot en bevindt zich op een perceel met een oppervlakte van 2350 m². Gemiddeld hebben adressen in Nederland een oppervlakte van 119 m². In de straat is dit het kleinste object. Het grootste verblijfsobject heeft een oppervlakte van 1,3 ha. De gemiddelde grootte is er 1028 m². De meeste Nederlandse gebouwen zijn gebouwd in de periode 1965-1984. Zo ook het pand waarin Schollevaarweg 5 ligt, dat gebouwd is in 1981. Het bouwjaar is oud vergeleken met dat van de andere panden in de straat. Het oudste bouwjaar is er 1980 en de nieuwste is 2016. De volgende gebruiksdoelen zijn geregistreerd voor dit adres: 'woonfunctie' en 'industriefunctie'.
Deze woning is voor het laatst verkocht op 1 december 2023. Meer informatie over deze transactie? Bestel het Woningtransactierapport om de verkoopprijs en andere informatie te zien.
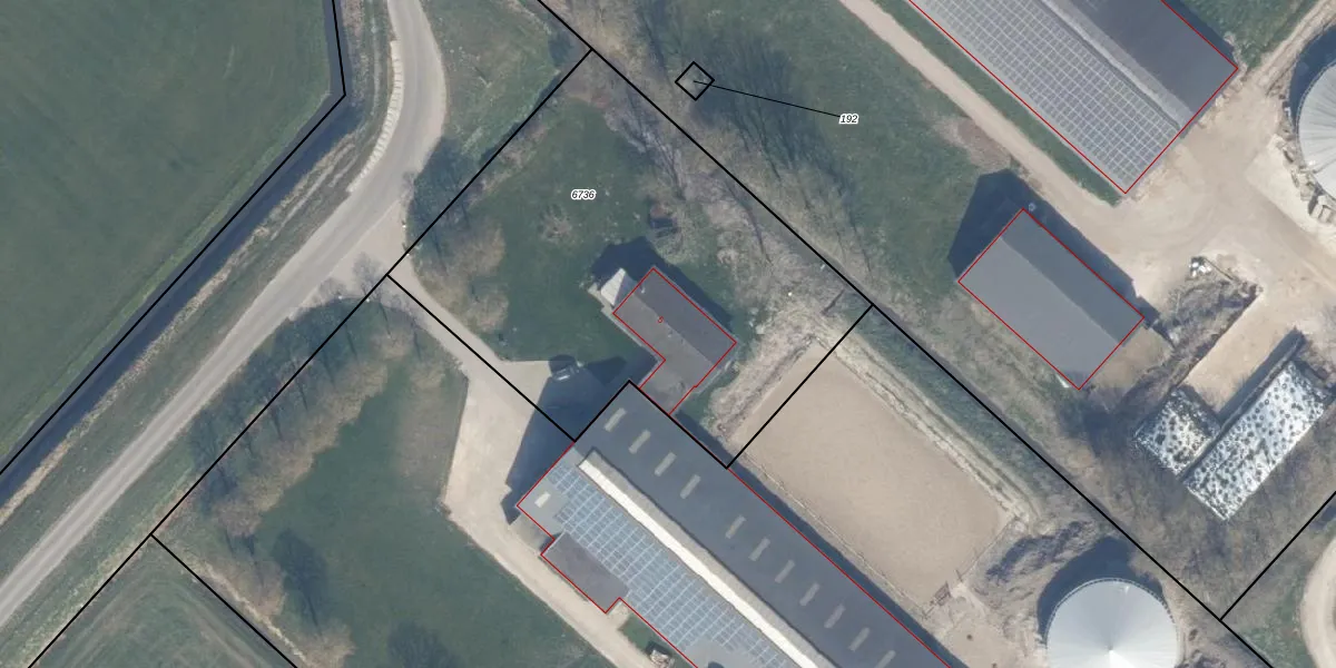
Het perceel waarop het adres ligt is ZWD03-A-6736. De afkorting 'ZWD03' staat voor kadastrale gemeente Zeewolde. Het perceel is 2350 m² groot. Dat is kleiner dan de gemiddelde perceeloppervlakte in Zeewolde, dat op 1,9 ha ligt. De grootste perceeloppervlakte in de kadastrale gemeente is 6,16 km². De kleinste oppervlakte bedraagt 0 m². Dit is het enige adres dat aanwezig is op het perceel. De laatste wijziging in het de Basisregistratie Kadaster (BRK) was op 04-03-2024.
Er is geen energielabel geregistreerd voor het adres. Het hoogste energielabel in de straat is A+; het laagste is G. Het gemiddelde energielabel is er B. Het adres Schollevaarweg 5 heeft als status: 'verblijfsobject in gebruik'. Het pand waarin dit adres ligt heeft als status: 'pand in gebruik'.
Schollevaarweg 5 is een adres gelegen in de gemeente Zeewolde, provincie Flevoland. Dit adres is geregistreerd in de Basisregistratie Adressen en Gebouwen (BAG) met als unieke identificatie 0050010000375316.
Het pand op Schollevaarweg 5 is gebouwd in 1981, wat betekent dat het 45 jaar oud is. Dit is een pand van middelbare leeftijd. Het pand is van gemiddelde leeftijd en zal waarschijnlijk verouderde elementen bevatten.
De woning op Schollevaarweg 5 heeft een gebruiksoppervlakte van 131 m². Dit is gemiddeld vergeleken met de gemiddelde Nederlandse woning, die een oppervlakte heeft van ongeveer 119 m². De gebruiksoppervlakte is de maat die wordt gebruikt in de BAG-registratie, de landelijke registratie van de Nederlandse overheid.
Schollevaarweg 5 heeft als functie: wonen en industrie. Deze gebruiksfunctie(s) zijn vastgelegd in de BAG-registratie en geven aan waarvoor het adres officieel mag worden gebruikt.
Schollevaarweg 5 is gelegen op kadastraal perceel ZWD03A6736. Deze kadastrale aanduiding is uniek en wordt gebruikt door het Kadaster om eigendomsrechten en andere zakelijke rechten vast te leggen. Het perceel maakt onderdeel uit van de kadastrale gemeente Zeewolde.
Het perceel waarop Schollevaarweg 5 staat heeft een oppervlakte van 2350 m². Dit is een zeer groot perceel. De perceeloppervlakte wordt geregistreerd door het Kadaster. Gedetailleerde informatie over de maten van dit perceel kunt u vinden in het rapport Kadastrale kaart met maatvoering van Schollevaarweg 5.
De eigenaar van Schollevaarweg 5 is op te vragen op deze pagina.
De informatie over dit adres is afkomstig uit officiële overheidsregistraties, voornamelijk de Basisregistratie Adressen en Gebouwen (BAG) en de Basisregistratie Kadaster (BRK). Deze gegevens worden beheerd door respectievelijk gemeenten en het Kadaster, en worden regelmatig bijgewerkt. Energielabelgegevens komen uit de database van de Rijksdienst voor Ondernemend Nederland (RVO).
