
Schollevaarweg 6 is een adres in Zeewolde, dat zich bevindt binnen de gemeentegrenzen van Zeewolde en de grenzen van de provincie Flevoland. De oppervlakte van het verblijfsobject is met 198 m² aan de grote kant. Het perceel heeft een oppervlakte van 1000 m². Het adres is klein vergeleken met andere objecten in de straat. Het grootste object in de straat heeft een oppervlakte van 1,3 ha, het kleinste is 131 m² groot. De meeste Nederlandse gebouwen zijn gebouwd in de periode 1965-1984. Zo ook het pand waarin Schollevaarweg 6 ligt, dat gebouwd is in 1980. Gemiddeld zijn de gebouwen in de straat gebouwd in 1992. Dit is het oudste pand in de straat. Het meest recente komt uit het jaar 2016. Het verblijfsobject heeft de volgende gebruiksdoelen: 'woonfunctie' en 'industriefunctie'.
Deze woning is voor het laatst verkocht op 1 juli 1996. Meer informatie over deze transactie? Bestel het Woningtransactierapport om de verkoopprijs en andere informatie te zien.
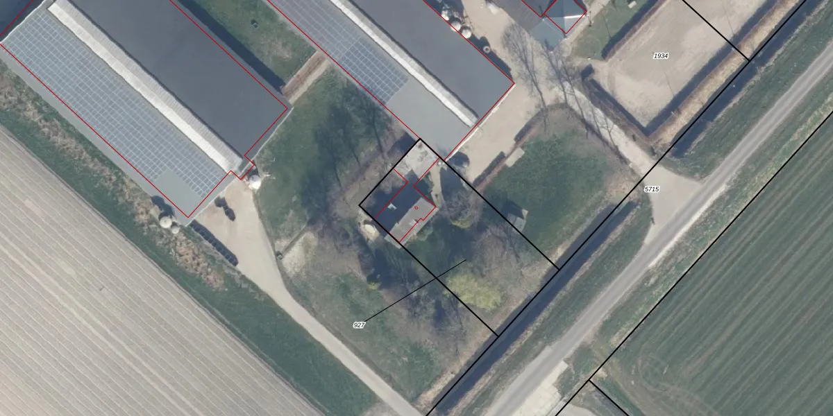
Het adres ligt op het perceel ZWD03-D-927, dat zich in de kadastrale gemeente Zeewolde bevindt. Het perceel is kleiner dan gemiddeld in Zeewolde. Het perceel is 1000 m² groot, terwijl het gemiddelde ligt op 1,9 ha. De grootste perceeloppervlakte in de kadastrale gemeente is 6,16 km². De kleinste oppervlakte bedraagt 0 m². Op het perceel bevinden zich geen andere adressen. De huidige grenzen van het perceel zijn digitaal in de Basisregistratie Kadaster (BRK) geregistreerd op 09-09-1999.
Er is geen energielabel geregistreerd voor het adres. Het hoogste energielabel in de straat is A+; het laagste is G. Het gemiddelde energielabel is er B. Het adres Schollevaarweg 6 heeft als status: 'verblijfsobject in gebruik'. Het pand waarin dit adres ligt heeft als status: 'pand in gebruik'.
Schollevaarweg 6 is een adres gelegen in de gemeente Zeewolde, provincie Flevoland. Dit adres is geregistreerd in de Basisregistratie Adressen en Gebouwen (BAG) met als unieke identificatie 0050010000367730.
Het pand op Schollevaarweg 6 is gebouwd in 1980, wat betekent dat het 46 jaar oud is. Dit is een pand van middelbare leeftijd. Het pand is van gemiddelde leeftijd en zal waarschijnlijk verouderde elementen bevatten.
De woning op Schollevaarweg 6 heeft een gebruiksoppervlakte van 198 m². Dit is ruim vergeleken met de gemiddelde Nederlandse woning, die een oppervlakte heeft van ongeveer 119 m². De gebruiksoppervlakte is de maat die wordt gebruikt in de BAG-registratie, de landelijke registratie van de Nederlandse overheid.
Schollevaarweg 6 heeft als functie: wonen en industrie. Deze gebruiksfunctie(s) zijn vastgelegd in de BAG-registratie en geven aan waarvoor het adres officieel mag worden gebruikt.
Schollevaarweg 6 is gelegen op kadastraal perceel ZWD03D927. Deze kadastrale aanduiding is uniek en wordt gebruikt door het Kadaster om eigendomsrechten en andere zakelijke rechten vast te leggen. Het perceel maakt onderdeel uit van de kadastrale gemeente Zeewolde.
Het perceel waarop Schollevaarweg 6 staat heeft een oppervlakte van 1000 m². Dit is een zeer groot perceel. De perceeloppervlakte wordt geregistreerd door het Kadaster. Gedetailleerde informatie over de maten van dit perceel kunt u vinden in het rapport Kadastrale kaart met maatvoering van Schollevaarweg 6.
De eigenaar van Schollevaarweg 6 is op te vragen op deze pagina.
De informatie over dit adres is afkomstig uit officiële overheidsregistraties, voornamelijk de Basisregistratie Adressen en Gebouwen (BAG) en de Basisregistratie Kadaster (BRK). Deze gegevens worden beheerd door respectievelijk gemeenten en het Kadaster, en worden regelmatig bijgewerkt. Energielabelgegevens komen uit de database van de Rijksdienst voor Ondernemend Nederland (RVO).
