
Wielseweg 5-A-67 is gelegen in de plaats Zeewolde, de gemeente Zeewolde en de provincie Flevoland. Het verblijfsobject is vergeleken met het Nederlandse gemiddelde aan de kleine kant: de oppervlakte is 72 m². Het perceel waarop het adres zich bevindt heeft een oppervlakte van 4,8 ha. Het object is klein ten opzichte van de andere adressen in de straat. Het grootste verblijfsobject is 1920 m² groot en het kleinste is 18 m². De gemiddelde bouwperiode van gebouwen in Nederland ligt tussen de jaren 1965-1984. Dat geldt ook voor het bouwjaar van Wielseweg 5-A-67: het is gebouwd in het jaar 1978. Gemiddeld zijn de gebouwen in de straat gebouwd in 1984. Dit is het oudste pand in de straat. Het meest recente komt uit het jaar 2025. Het verblijfsobject heeft de volgende gebruiksdoelen: 'logiesfunctie'.
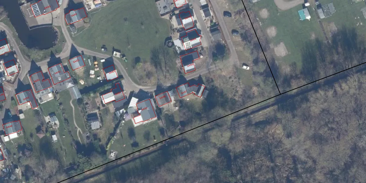
Het perceel waarop het adres ligt is ZWD03-B-1462. De afkorting 'ZWD03' staat voor kadastrale gemeente Zeewolde. De gemiddelde perceeloppervlakte in de kadastrale gemeente Zeewolde is 1,9 ha. Dit perceel is met zijn 4,8 ha dus groter dan gemiddeld. Het kleinste perceel in de kadastrale gemeente is 0 m² groot. De grootste perceeloppervlakte is 6,16 km². Op het perceel liggen in totaal 70 adressen. De laatste wijziging in het de Basisregistratie Kadaster (BRK) was op 10-11-2010.
Het adres ligt in een gebouw van het type 'vrijstaande woning'. Bij de laatste meting is voor het adres het energielabel C geregistreerd. Het hoogste energielabel in de straat is B; het laagste is G. Het gemiddelde energielabel is er D. Het adres Wielseweg 5-A-67 heeft als status: 'verblijfsobject in gebruik'. Het pand waarin dit adres ligt heeft als status: 'pand in gebruik'.
Wielseweg 5-A-67 is een adres gelegen in de gemeente Zeewolde, provincie Flevoland. Dit adres is geregistreerd in de Basisregistratie Adressen en Gebouwen (BAG) met als unieke identificatie 0050010000373422.
Het pand op Wielseweg 5-A-67 is gebouwd in 1978, wat betekent dat het 48 jaar oud is. Dit is een pand van middelbare leeftijd. Het pand is van gemiddelde leeftijd en zal waarschijnlijk verouderde elementen bevatten.
De woning op Wielseweg 5-A-67 heeft een gebruiksoppervlakte van 72 m². Dit is relatief klein vergeleken met de gemiddelde Nederlandse woning, die een oppervlakte heeft van ongeveer 119 m². De gebruiksoppervlakte is de maat die wordt gebruikt in de BAG-registratie, de landelijke registratie van de Nederlandse overheid.
Wielseweg 5-A-67 heeft als functie: logies/verblijf. Deze gebruiksfunctie(s) zijn vastgelegd in de BAG-registratie en geven aan waarvoor het adres officieel mag worden gebruikt.
Wielseweg 5-A-67 is gelegen op kadastraal perceel ZWD03B1462. Deze kadastrale aanduiding is uniek en wordt gebruikt door het Kadaster om eigendomsrechten en andere zakelijke rechten vast te leggen. Het perceel maakt onderdeel uit van de kadastrale gemeente Zeewolde.
Het perceel waarop Wielseweg 5-A-67 staat heeft een oppervlakte van 4,8 ha. Dit is een zeer groot perceel. De perceeloppervlakte wordt geregistreerd door het Kadaster. Gedetailleerde informatie over de maten van dit perceel kunt u vinden in het rapport Kadastrale kaart met maatvoering van Wielseweg 5-A-67.
De eigenaar van Wielseweg 5-A-67 is op te vragen op deze pagina.
De informatie over dit adres is afkomstig uit officiële overheidsregistraties, voornamelijk de Basisregistratie Adressen en Gebouwen (BAG) en de Basisregistratie Kadaster (BRK). Deze gegevens worden beheerd door respectievelijk gemeenten en het Kadaster, en worden regelmatig bijgewerkt. Energielabelgegevens komen uit de database van de Rijksdienst voor Ondernemend Nederland (RVO).
