
Het adres Prinses Marijkelaan 9070 bevindt zich in de plaats Zeist, in de gemeente Zeist en de provincie Utrecht. Het object heeft een oppervlakte van 174 m², wat relatief groot is. Het perceel waarop het adres ligt is 878 m² groot. De oppervlakte van het adres is klein vergeleken met de andere objecten in de straat. De oppervlakte van het kleinste object in de straat bedraagt 12 m², terwijl het grootste object 4921 m² groot is. Prinses Marijkelaan 9070 bevindt zich in een pand uit het jaar 1960. Daarmee behoort het tot de groep relatief oude panden in Nederland die gebouwd zijn vóór 1965. Het gemiddelde bouwjaar in de straat is 1986 en dat van het nieuwste object 2024. In de straat is dit het oudste pand. De volgende gebruiksdoelen zijn geregistreerd voor dit adres: 'overige gebruiksfunctie'.
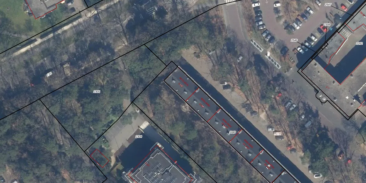
Het adres is gelegen op perceel 1849 in de sectie E en de kadastrale gemeente Zeist. De kadastrale aanduiding is aldus ZEI00-E-1849. Het perceel is 878 m² groot. Dat is kleiner dan de gemiddelde perceeloppervlakte in Zeist, dat op 2183,22 m² ligt. Het grootste perceel in de kadastrale gemeente is 1,78 km². Het kleinste perceel heeft een oppervlakte van 0 m². Er zijn 56 adressen aanwezig op het perceel. In de Basisregistratie Kadaster (BRK) werden de grenzen van het perceel geregistreerd op 07-06-2005.
Er is geen energielabel geregistreerd voor het adres. Het hoogste energielabel in de straat is A+++; het laagste is G. Het gemiddelde energielabel is er A. Het adres Prinses Marijkelaan 9070 heeft als status: 'verblijfsobject in gebruik'. Het pand waarin dit adres ligt heeft als status: 'pand in gebruik'.
Prinses Marijkelaan 9070 is een adres gelegen in de gemeente Zeist, provincie Utrecht. Dit adres is geregistreerd in de Basisregistratie Adressen en Gebouwen (BAG) met als unieke identificatie 0355010000772468.
Het pand op Prinses Marijkelaan 9070 is gebouwd in 1960, wat betekent dat het 66 jaar oud is. Dit is een ouder pand. Het pand heeft mogelijk aanzienlijke renovaties nodig om aan de huidige standaarden te voldoen.
De woning op Prinses Marijkelaan 9070 heeft een gebruiksoppervlakte van 174 m². Dit is ruim vergeleken met de gemiddelde Nederlandse woning, die een oppervlakte heeft van ongeveer 119 m². De gebruiksoppervlakte is de maat die wordt gebruikt in de BAG-registratie, de landelijke registratie van de Nederlandse overheid.
Prinses Marijkelaan 9070 heeft als functie: overige doeleinden. Deze gebruiksfunctie(s) zijn vastgelegd in de BAG-registratie en geven aan waarvoor het adres officieel mag worden gebruikt.
Prinses Marijkelaan 9070 is gelegen op kadastraal perceel ZEI00E1849. Deze kadastrale aanduiding is uniek en wordt gebruikt door het Kadaster om eigendomsrechten en andere zakelijke rechten vast te leggen. Het perceel maakt onderdeel uit van de kadastrale gemeente Zeist.
Het perceel waarop Prinses Marijkelaan 9070 staat heeft een oppervlakte van 878 m². Dit is een groot perceel. De perceeloppervlakte wordt geregistreerd door het Kadaster. Gedetailleerde informatie over de maten van dit perceel kunt u vinden in het rapport Kadastrale kaart met maatvoering van Prinses Marijkelaan 9070.
De eigenaar van Prinses Marijkelaan 9070 is op te vragen op deze pagina.
De informatie over dit adres is afkomstig uit officiële overheidsregistraties, voornamelijk de Basisregistratie Adressen en Gebouwen (BAG) en de Basisregistratie Kadaster (BRK). Deze gegevens worden beheerd door respectievelijk gemeenten en het Kadaster, en worden regelmatig bijgewerkt. Energielabelgegevens komen uit de database van de Rijksdienst voor Ondernemend Nederland (RVO).
