
Utrechtseweg 88 is een adres in Zeist, dat zich bevindt binnen de gemeentegrenzen van Zeist en de grenzen van de provincie Utrecht. Het object heeft een oppervlakte van 772 m², wat relatief groot is. Het perceel waarop het adres ligt is 1605 m² groot. In vergelijking met de andere adressen in de straat is de oppervlakte van dit object relatief groot. Het grootste verblijfsobject heeft een oppervlakte van 1,1 ha, de oppervlakte van het kleinste object bedraagt 5 m². Het adres Utrechtseweg 88 ligt in een relatief oud pand uit het jaar 1931. Panden van vóór het jaar 1965 hebben we hier geclassificeerd als oud. Het bouwjaar is oud vergeleken met dat van de andere panden in de straat. Het oudste bouwjaar is er 1800 en de nieuwste is 2022. Het verblijfsobject heeft de volgende gebruiksdoelen: 'gezondheidszorgfunctie'.
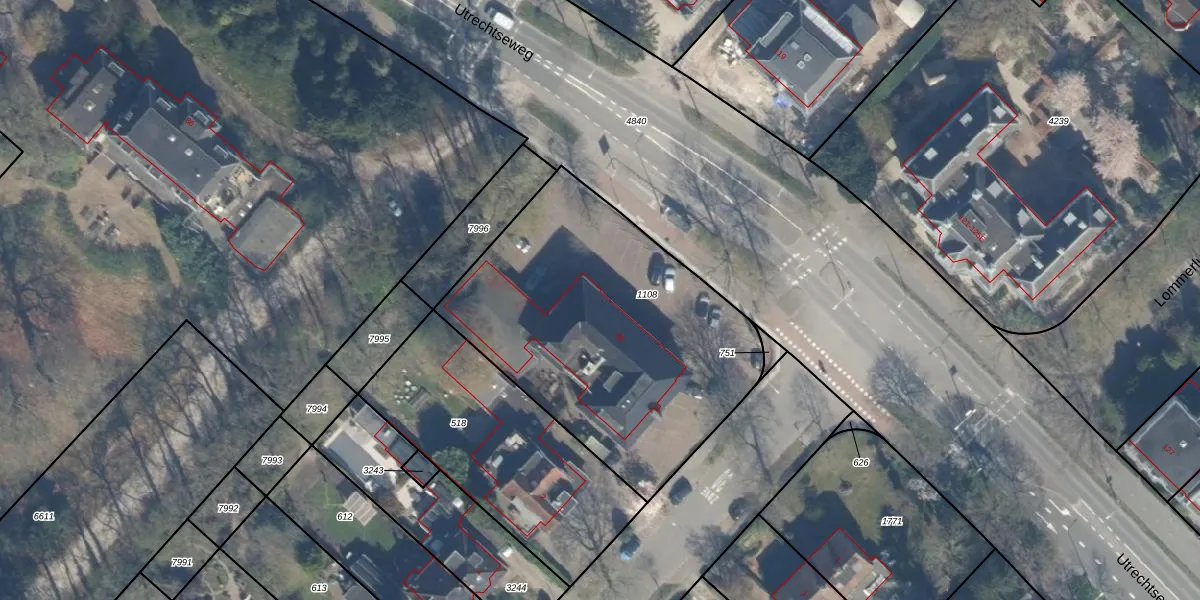
Het perceel waarop het adres ligt is ZEI00-N-1108. De afkorting 'ZEI00' staat voor kadastrale gemeente Zeist. Het perceel is kleiner dan gemiddeld in Zeist. Het perceel is 1605 m² groot, terwijl het gemiddelde ligt op 2183,12 m². De grootste perceeloppervlakte in de kadastrale gemeente is 1,78 km². De kleinste oppervlakte bedraagt 0 m². Dit is het enige adres dat aanwezig is op het perceel. De huidige grenzen van het perceel zijn digitaal in de Basisregistratie Kadaster (BRK) geregistreerd op 05-06-2003.
Bij de laatste meting is voor het adres het energielabel F geregistreerd. Het hoogste energielabel in de straat is A+++; het laagste is G. Het gemiddelde energielabel is er A. Het adres Utrechtseweg 88 heeft als status: 'verblijfsobject in gebruik'. Het pand waarin dit adres ligt heeft als status: 'pand in gebruik'.
Utrechtseweg 88 is een adres gelegen in de gemeente Zeist, provincie Utrecht. Dit adres is geregistreerd in de Basisregistratie Adressen en Gebouwen (BAG) met als unieke identificatie 0355010000797436.
Het pand op Utrechtseweg 88 is gebouwd in 1931, wat betekent dat het 95 jaar oud is. Dit is een ouder pand. Het pand heeft mogelijk aanzienlijke renovaties nodig om aan de huidige standaarden te voldoen.
De woning op Utrechtseweg 88 heeft een gebruiksoppervlakte van 772 m². Dit is ruim vergeleken met de gemiddelde Nederlandse woning, die een oppervlakte heeft van ongeveer 119 m². De gebruiksoppervlakte is de maat die wordt gebruikt in de BAG-registratie, de landelijke registratie van de Nederlandse overheid.
Utrechtseweg 88 heeft als functie: gezondheidszorg. Deze gebruiksfunctie(s) zijn vastgelegd in de BAG-registratie en geven aan waarvoor het adres officieel mag worden gebruikt.
Utrechtseweg 88 is gelegen op kadastraal perceel ZEI00N1108. Deze kadastrale aanduiding is uniek en wordt gebruikt door het Kadaster om eigendomsrechten en andere zakelijke rechten vast te leggen. Het perceel maakt onderdeel uit van de kadastrale gemeente Zeist.
Het perceel waarop Utrechtseweg 88 staat heeft een oppervlakte van 1605 m². Dit is een zeer groot perceel. De perceeloppervlakte wordt geregistreerd door het Kadaster. Gedetailleerde informatie over de maten van dit perceel kunt u vinden in het rapport Kadastrale kaart met maatvoering van Utrechtseweg 88.
De eigenaar van Utrechtseweg 88 is op te vragen op deze pagina.
De informatie over dit adres is afkomstig uit officiële overheidsregistraties, voornamelijk de Basisregistratie Adressen en Gebouwen (BAG) en de Basisregistratie Kadaster (BRK). Deze gegevens worden beheerd door respectievelijk gemeenten en het Kadaster, en worden regelmatig bijgewerkt. Energielabelgegevens komen uit de database van de Rijksdienst voor Ondernemend Nederland (RVO).
